APP下載
活動
爆料
圖輯
AI爆報
追蹤新聞
4
白沙屯媽祖遶境高雄
台灣彩券開獎直播中
三立iNEWS新聞台線上直播
LIVE三立+24小時直播
即時
小紅書遭封鎖
中日關係急凍
新聞
熱門
政治
社會
娛樂
生活
新奇
健康
國際
兩岸
運動
財經
房產
旅遊
科技
汽車
遊戲
ESG
影音
總覽
政論
節目
熱搜
直播
iNEWS
專題
總覽
特企
專頁
大事件
彩券
專欄
民調
快訊
野生朴寶劍買肉燥飯!一早慢跑又被捕獲
13:22
轉型正義是現在式 賴清德曝三推動方向
13:20
兒童溜梯「活春宮」女主角認了…曝賣肉價
13:12
舒華撞衫星巴克店員 網笑:上班get同款
13:12
三芝拖板車失控自撞路燈 駕駛送醫不治
13:10
氣溫降!武嶺路面結霜 多車打滑偏離道路
13:06
四大女神遶境!陳其邁扶轎…曝平安券領法
12:56
70歲蔡振南怎麼了「暴瘦一大圈」近況曝光
12:55
機票又要變貴!3大國航明調漲燃油附加費
12:54
台灣一哥超強!周天成入圍BWF最佳男單
12:50
主持到一半出事 百萬YTR突爆意外濺血
12:49
林岱安與悍將簽下7年大約 陳鏞基好不捨
12:48
粉絲高雄接機接到「百萬YTR」 本人嚇傻
12:46
台北1景點日本高中生最愛 畢旅團瘋朝聖
12:45
國民黨何時提名拚連任?鍾東錦:我沒意見
12:45
美國國安戰略提及台灣8次!王定宇曝意義
12:45
查報蕭美琴車隊路況 北市警撞車右手骨折
12:44
路口撞死鬼切婦!法官認證閃不掉…判無罪
12:43
抓尪偷吃「F」女怒告小三 法官:告錯人
12:43
玩很大11週年進軍美洲 吳宗憲崩潰被騙
12:38
台灣彩券開獎直播中
20:31
白沙屯媽祖遶境高雄
09:00
助理費爭議-別讓僵化的制度綁架服務熱忱
18:00
經部產發署力助數位醫療產 加速創新醫療
16:00
演員張世賢多年後重返房仲業開啟斜槓人生
14:00
永慶AI整合市場數據 !
14:00
馬光進軍醫療科技展 展示智慧中醫新勢力
12:00
「疲勞」元凶曝光 竟與微量元素有關
12:00
呼應「世界COPD日」林口長庚喚起警覺
11:00
首頁
關鍵字
美國國家海洋暨大氣總署
美國國家海洋暨大氣總署
大武崙1天3溺斃離岸流殺人?1動作可保命
基隆市大武崙沙灘12日傳出3人溺水身亡的憾事,引起網...
2023/08/13 12:48
除孤獨怪手 長賜輪脫困真正神力是它
長榮巨大貨輪長賜輪擱淺蘇伊士運河長達七天,因急欲救長...
2021/03/30 09:31
美氣象機構:今年7月全球史上最熱月
美國國家海洋暨大氣總署(NOAA)今天指出,2019...
2019/08/16 09:39
NOAA:台灣白海豚列入瀕危物種
環保團體台灣蠻野心足生態協會及台灣媽祖魚保育聯盟今(...
2018/05/09 19:48
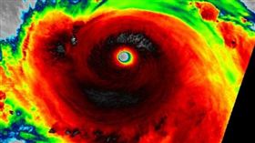
一張美國衛星照 告訴你莫蘭蒂有多威
今年第14號颱風「莫蘭蒂」威力強大,引發各國氣象局關...
2016/09/14 09:01
最新圖輯
更多
第62屆金馬獎得獎後台
第62屆金馬獎紅毯
劉書宏專訪
袁澧林、陳孝萱專訪
第36屆金曲獎星光大道
第36屆金曲獎得獎圖輯
NMIXX林口體育館粉絲演唱會
KISS OF LIFE台北演唱會
林芯儀專訪
GYUBIN大巨蛋開球
今日頭條
1
下指導棋?傳川普嗆高市「別插手台灣」
2
藍提「助理費除罪化」 王婉諭怒轟陳玉珍
3
三芝拖板車失控自撞路燈 駕駛送醫不治
4
川伯穩贏新北?她曝蘇巧慧優勢:藍別輕心
5
四大女神遶境!陳其邁扶轎…曝平安券領法
6
週休三日若過關!上班族曝「1狀況」更慘
7
女兒遭霸凌癲癇發作!網紅醫發聲:已報案
8
舒華撞衫星巴克店員 網笑:上班get同款
9
台北1景點日本高中生最愛 畢旅團瘋朝聖
10
中國球迷吼:支持日本的死 他1手勢反擊
HOT焦點
更多
永慶AI整合市場數據 !
「疲勞」元凶曝光 竟與微量元素有關
馬光進軍醫療科技展 展示智慧中醫新勢力
頻道推薦
直播✦活動
三立新聞網
為了提供更好的閱讀內容,我們使用相關網站技術來改善使用者體驗,也尊重用戶的隱私權,特別提出聲明。
了解最新隱私權聲明
知道了