APP下載
活動
爆料
圖輯
AI爆報
追蹤新聞
7
沈玉琳抗癌9個月首公開現身
賴清德召開民進黨中常會
【94要客訴】
以色列空襲伊朗總統府
台灣彩券開獎直播中
三立iNEWS新聞台線上直播
LIVE三立+24小時直播
即時
美以突襲伊朗
對等關稅違憲
新聞
熱門
政治
社會
娛樂
生活
新奇
健康
國際
兩岸
運動
財經
房產
旅遊
科技
汽車
遊戲
ESG
影音
總覽
政論
節目
熱搜
直播
iNEWS
專題
總覽
特企
專頁
大事件
彩券
專欄
民調
快訊
新/伊朗報復不停手!以色列「巨大爆炸」
13:05
開放粉絲競標體毛 陳沂直球對決三上悠亞
13:04
台人成日本藥妝店肥羊?中國店員狂跟推銷
13:02
劉亮佐走過離婚低潮!嘆夫妻關係本就失衡
13:02
婦出車禍反保命 意外揪出直腸長腫瘤
12:58
獨/名醫林禹宏逝 病榻前「1舉動」超催淚
12:58
繼父施暴生父逼下海!她扛千萬房貸連夜逃
12:56
三寶爸楊祐寧抱病現身 女兒爭寵日常曝光
12:55
呂秋遠:謝謝林禹宏從天堂來當病患的天使
12:55
中共懲獨查處劉世芳外甥 國台辦竟這麼說
12:54
攻伊第4天!美軍擊近2000目標、毀17軍艦
12:53
男童吞玩具球無心跳!保母粗心僅判1年8月
12:52
藍軍購條例版本爆分歧!趙少康提1解方
12:49
議會秘書「一家3口詭斷聯」!國中兒中輟
12:44
陳亭妃3/5 發「野球甜燒餅」力挺台灣隊
12:43
卡達停產LNG!綠委喊話:請社會大眾放心
12:42
老闆好心借車開!裝修工失聯1日陳屍車內
12:39
新/戰火突襲!國安基金評估臨時會
12:34
谷毛唯嘉奪2月最有價值球員 生涯首獲選
12:34
LINE推加油特效 中華隊貼圖免費下載!
12:33
台灣彩券開獎直播中
20:31
以色列空襲伊朗總統府
15:25
【94要客訴】
12:08
沈玉琳抗癌9個月首公開現身
13:00
賴清德召開民進黨中常會
13:00
純喫茶X《傳說對決》限時虛寶登場!
10:00
賓果賓果鬧元宵 大樂透、今彩539續加碼
12:00
開工打造好運勢 小人退散能量水晶迎貴人
12:00
祥獅獻瑞迎開工!愛妮雅集團新年藍圖首曝
17:00
瘦身急救章 一秒塑身穿上小號緊身洋裝
11:00
初九天公生 松山奉天宮備平安麵共享
16:00
捷運七張站走路2分鐘 友座明明德機能到位
15:00
開學換機酷澎火箭速配隔日到貨
10:00
企業暖心故事 一份工作撐起整個家
13:00
Xtars人氣直播主大揭密 鏡頭下的甘苦
13:00
土城永福岩清水祖師廟擲筊大賽 頭獎百萬
12:00
初一金山財神廟湧人潮 聯名蛋捲禮盒喜氣
11:00
「星城Online x戲說台灣」單元劇引爆話題
12:00
首頁
關鍵字
巴哈馬
巴哈馬
證明新疆集中營 卻恐被川普送至親中國家
中國38歲青年關恆,2020年冒死勇闖新疆,用自己的...
2025/12/16 17:52
插個插頭罰224美元?她轟拉斯維加斯太扯
美國拉斯維加斯一間知名飯店近日被旅客指控,因旅客使用...
2025/10/12 00:20
巴哈馬發聲明 正式承認巴勒斯坦為國家
巴哈馬外交部今天發聲明通知民眾,稱內閣決定正式承認巴...
2024/05/08 14:47
飛機餐改吃肯德基 乘客12小時只吃1塊雞
搭長途飛機都會吃到飛機餐,23日一架英國航空(Bri...
2023/07/31 19:31
正妹慘遭鯊魚群五馬分屍 父母親睹秒崩潰
大西洋島國巴哈馬發生一起超恐怖意外,一名女大生琳賽(...
2023/02/26 08:17
王思佳比基尼餵奶辣翻 真實身材超驚人
女星王思佳性格直率,講話直接一針見血,深受許多粉絲喜...
2023/01/21 06:00
FTX創辦人巴哈馬被捕 將引渡回紐約受審
加密貨幣交易所FTX創辦人暨前執行長佛瑞德(Sam ...
2022/12/13 09:30
FTX創辦人被控詐欺!首度露面:否認犯行
全球第2大加密貨幣交易所FTX近期破產,曾被譽為「幣...
2022/12/01 15:59
4年6起丟包船員…船東靠這招無法管
貝里斯籍雜貨輪「德運號」從2019年10月開始滯留台...
2022/08/20 10:08
3人陳屍巴哈馬度假村 遊客驚揭死因
巴哈馬熱門度假勝地近日傳出離奇命案,三名來自美國的遊...
2022/05/09 05:51
海龜遭虎鯊追捕!痛苦模樣惹網心疼
一名叫做Kai的男生和友人在巴哈馬的海上釣魚時,突然...
2021/07/08 09:33
她交往黑人罹愛滋病 17年後現況曝
愛情不分國界,大陸西安一名女學生朱力亞先前在學校認識...
2021/03/08 22:13
遊艇出發佛州 百慕達三角離奇失蹤
一艘載有20人的藍白色相間「Mako Cuddy」遊...
2021/01/03 16:29
瘋狂魔力轉圈圈 親人海豚逗樂潛水員
今年1月28日,潛水員Michael Aery在巴哈...
2020/05/24 22:00
慘遭鯊魚群五馬分屍…浮潛正妹秒慘死
大西洋島國巴哈馬日前發生一起鯊魚攻擊人類的恐怖意外,...
2019/12/22 11:33
慘遭鯊魚群五馬分屍…浮潛正妹秒慘死
大西洋島國巴哈馬日前發生一起鯊魚攻擊人類的恐怖意外,...
2019/10/12 11:15
大魚海中狂吸塑膠 漁夫一掏超傻眼!
人類不停往海洋當中排放垃圾,生態問題越來越嚴重!國外...
2019/09/19 15:26
川普憂災民龍蛇雜處 要求呈證明文件
美國總統川普今天警告,在讓巴哈馬的颶風多利安(Dor...
2019/09/10 11:35
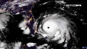
多利安釀20死!美英直升機救援!
颶風多利安(Dorian)肆虐巴哈馬造成嚴重災情,死...
2019/09/05 11:18
辣模為巴哈馬祈禱!養眼性感照引爭議
怪獸颶風「多利安」重創巴哈馬,造成當地嚴重災害,至少...
2019/09/04 18:32
颶風多利安巴哈馬釀7死 續朝美前進
怪獸級颶風多利安強度略為減弱,但威力仍不容小覷,重創...
2019/09/04 12:00
怪獸颶風襲!她收留97隻狗塞爆家中
史上第二強的怪獸級颶風「多利安」侵襲巴哈馬,不僅讓當...
2019/09/03 18:01
「怪獸颶風」橫掃!傳巴哈馬處處浮屍
怪獸級颶風多利安侵襲度假勝地巴哈馬,每小時風速達近3...
2019/09/03 15:40
颶風橫掃巴哈馬!重創1.3萬棟民宅
紅十字會與紅新月會國際聯合會(IFRC)今天表示,颶...
2019/09/02 23:15
5級颶風多利安肆虐!巴哈馬災情慘重
加勒比海天堂渡假勝地「巴哈馬」遭受5級颶風多利安襲擊...
2019/09/02 16:20
巴哈馬直升機墜毀 美億萬富翁罹難
巴哈馬警方表示,一架載有7名美國人的直升機今天在巴哈...
2019/07/05 14:43
慘遭鯊魚群五馬分屍…浮潛正妹秒慘死
大西洋島國巴哈馬近日發生一起鯊魚攻擊人類的恐怖意外,...
2019/06/28 09:23
穿比基尼慘遭豬咬 女模尖叫臀留咬痕
一名委內瑞拉的女模日前到加勒比海的「巴哈馬」度假,但...
2019/02/13 12:55
潛水突遭鯊魚狠咬頭 男奇蹟撿回小命
一名29歲美國男子克勞斯(Will Krause)今...
2018/11/30 14:14
網紅與鯊魚共游 美照拍一半慘遭狠咬
正值炎熱夏日,玩水行程也是許多人的首選,然而日前國外...
2018/07/13 22:51
最新圖輯
更多
初孟軒、鍾岳軒專訪
龍千玉與翁立友領豪記唱片群星拜年
Rain鄭智薰小巨蛋演唱會
金在中演唱會
羅志祥30周年演唱會
凱琳專訪
黃鐙輝、吳念軒、黃騰浩專訪
第62屆金馬獎得獎後台
第62屆金馬獎紅毯
劉書宏專訪
今日頭條
1
攻伊第4天!美軍擊近2000目標、毀17軍艦
2
藍委都沒看過黨版軍購!趙少康怒轟鄭麗文
3
議會秘書「一家3口詭斷聯」!國中兒中輟
4
許維恩乳癌切乳重建!王家梁讚成果:好大
5
獨/名醫林禹宏逝 病榻前「1舉動」超催淚
6
新/戰到必要為止!以目標消滅伊朗威脅
7
綺綺18歲冥誕!醫曝2跡象:她真的回來了
8
他才中台日戰門票又中台灣隊帽T 網羨煞
9
賴清德喊話奏效!台灣1水果將首度銷美國
10
不倫蔡瑞雪「那個凱文」昔示愛老婆人設崩
HOT焦點
更多
台灣燈會2燈區先點燈 民眾天燈寫嘉義夢
純喫茶X《傳說對決》限時虛寶登場!
開工打造好運勢 小人退散能量水晶迎貴人
頻道推薦
直播✦活動
三立新聞網
為了提供更好的閱讀內容,我們使用相關網站技術來改善使用者體驗,也尊重用戶的隱私權,特別提出聲明。
了解最新隱私權聲明
知道了