APP下載
活動
爆料
圖輯
AI爆報
追蹤新聞
3
台灣彩券開獎直播中
三立iNEWS新聞台線上直播
LIVE三立+24小時直播
即時
助理費爭議
小紅書遭封鎖
新聞
熱門
政治
社會
娛樂
生活
新奇
健康
國際
兩岸
運動
財經
房產
旅遊
科技
汽車
遊戲
ESG
影音
總覽
政論
節目
熱搜
直播
iNEWS
專題
總覽
特企
專頁
大事件
彩券
專欄
民調
快訊
赤馬年4生肖犯太歲!命理師曝3招化解厄運
18:48
秋田名物「鮭魚拇指大」 他崩潰飯不夠吃
18:43
藏不住!汪小菲辣妻挺孕肚 寶寶性別全洩
18:23
愛妻林書煒50大壽 蔡詩萍獻「神秘驚喜」
18:15
挺府院不副署?學者:為打破僵局別無選擇
18:14
早起喉嚨痛不是感冒!醫揭3隱形殺手作祟
18:13
詐團金流首腦遭同夥搶錢 報警後自己被捕
18:09
新/日福岡驚傳刺傷事件 嫌犯仍在逃
18:08
惹哭國民妹妹 男星被要求向全體國民道歉
18:02
新/邦迪海灘爆槍案10死12傷、1槍手擊斃
17:57
美官員:中國看破美國手腳拒用輝達H200
17:56
川普點名下任Fed主席:利率須與我協商
17:49
破死亡謠言!郭俊辰現身反遭疑非本人
17:37
諾獎得主再入獄!歐盟、諾委會齊要求釋放
17:36
妹子衝高架橋高空彈跳!反彈撞橋樑頭受創
17:34
台灣爸媽愛曬孩成績單 醫揭恐怖後果
17:31
等不及了!女三寶左轉直衝秒撞停等區
17:31
轟深圳機場沒人性 鄭智化一句話痛曝心聲
17:26
泰勒絲親發63億獎金 連司機都有320萬
17:25
AI對決 Google拚生態系OpenAI主打準確度
17:24
台灣彩券開獎直播中
20:31
高雄大氣球遊行登場 21顆空飄氣球超壯觀
12:00
嘉義市城市博覽會開幕「嘉義大舞台」嗨翻
20:00
健康AI領導品牌 威力先進得獎不斷
20:30
《上山吧》團員用「優蛋白EX」補充能量
13:00
《上山吧!台灣隊》創舉!征服非洲之巔!
10:00
他靠科學化心法兩年滾出千萬財富!
08:30
首頁
關鍵字
颶風
颶風
垃圾去哪兒?《華郵》追蹤颶風廢棄物去向
颶風侵擾後都會留下大量的廢棄物,風暴過後,那這些海量...
2025/11/03 00:00
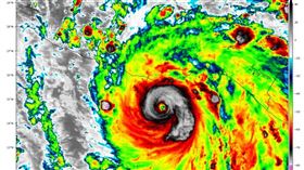
美莉莎風速時速297km 颶風眼結實白牆曝
正在肆虐加勒比海地區的颶風美莉莎(Melissa),...
2025/10/29 17:31
美軍飛入颶風艾琳 颱風眼實況震驚全球
今年大西洋第一個颶風「艾琳」,在短短24小時內罕見地...
2025/08/18 09:32
颶風艾倫5級逼近加勒比海 恐暴洪土石流
持續朝加勒比海前進的颶風艾倫(Hurricane E...
2025/08/17 05:28
今年首個強烈颶風「艾瑞克」登陸墨西哥
2025年東太平洋颶風季第一個強烈颶風「艾瑞克」(H...
2025/06/19 12:04
知識大補腦!為何颶風或颱風不會跨越赤道
夏天是颶風和颱風等熱帶風暴形成的旺季,為所經各國各地...
2025/06/15 13:30
古巴6.8強震畫面曝!嘎聲後「屋晃成沙」
古巴外海在美洲加勒比海古巴於當地時間10日下午4時許...
2024/11/11 07:30
古巴爆規模6.8極淺層地震 數千人逃上街
美洲加勒比海古巴於當地時間10日下午4時許發生連續大...
2024/11/11 04:22
氣候變遷反噬地球 全球風災威力將更猛
近年包括颶風、颱風、熱帶氣旋等全球風災,強度似乎越來...
2024/10/31 22:58
台灣捐20萬美元 助喬治亞州颶風災後重建
海倫颶風9月底侵襲美國東南地區多州,造成重大人員傷亡...
2024/10/23 10:31
美國選舉5大看點總整理!2事成選戰風向標
一般人聽到風向標,可能聯想到總統大選中總是投給入主白...
2024/10/21 19:07
古巴電網4度停擺 颶風攪局恐雪上加霜
古巴電網今天再次停擺,這是48小時內第4次出現此類故...
2024/10/21 13:56
颶風來襲狗栓路邊慘泡水 飼主最慘關5年
美國因米爾頓颶風侵襲,東南各州都遭巨大破壞。在佛羅里...
2024/10/21 00:09
颶風嚴重損壞光芒屋頂 趕不上明年開幕戰
美國佛羅里達上週受到「百年最強」颶風米爾頓(Milt...
2024/10/16 14:59
颶風致美國逾230人死!我國捐贈80萬美元
四級颶風海倫(Hurricane Helene)於美...
2024/10/12 16:48
颶風龍捲風打擊佛州 至少16死百萬戶停電
颶風密爾頓橫掃美國佛羅里達州中部並引發龍捲風,導致至...
2024/10/11 23:22
為何美國「遇颱」萬人撤離?台人喊2關鍵
颶風密爾頓(Milton)侵襲美國佛羅里達州,截至今...
2024/10/11 22:26
衛星雲圖驚見死亡骷髏!颶風密爾頓釀16死
「世紀颶風」密爾頓(Milton)橫掃美國佛羅里達州...
2024/10/11 14:52
颶風吹破美國職棒巨蛋屋頂 超慘畫面曝光
颶風密爾頓(Hurricane Milton)侵襲美...
2024/10/11 10:35
密爾頓挾龍捲風掃佛州 釀10死百萬人停電
颶風密爾頓(Milton)橫掃佛羅里達州,引發龍捲風...
2024/10/11 10:24
颶風密爾頓強襲 至少4死逾320萬用戶停電
佛羅里達州當地官員表示,颶風密爾頓(Hurrican...
2024/10/11 07:07
「怪物級颶風」重創 專家:恐越來越頻繁
全球極端氣候發威,颶風「密爾頓」登入美國佛州後,儘管...
2024/10/10 19:49
颶風登陸佛州 百萬戶停電龍捲風警報破百
颶風密爾頓(Milton)今天以3級颶風的強度從美國...
2024/10/10 12:37
光芒主場成颶風避難所! 屋頂遭撕成碎布
「百年最強」颶風米爾頓(Milton)10日登陸佛羅...
2024/10/10 12:28
海倫過後密爾頓登陸 拜登批川普影響救災
颶風密爾頓(Milton)今天在佛羅里達州登陸。美國...
2024/10/10 12:03
百年最強颶風直撲佛州!龍捲風警報破百次
颶風海倫才剛走,如今「米爾頓」(Milton)將再度...
2024/10/10 09:21
颶風密爾頓逼近佛州西岸 龍捲風暴雨侵襲
暴風圈範圍不斷擴大的颶風密爾頓今天逼近美國佛羅里達州...
2024/10/10 08:56
颶風柯克肆虐葡萄牙、西班牙 朝法國逼近
颶風柯克(Kirk)的餘威今日橫掃西歐,將葡萄牙和西...
2024/10/09 23:22
最強颶風米爾頓襲佛州 官員:沒資金應對
報導稱,雖然FEMA有足夠資金來滿足颶風海倫倖存者的...
2024/10/09 11:27
佛州為何急撤百萬人?一圖解答:全球風王
颶風密爾頓(Milton)再度增強為最高等級的5級颶...
2024/10/09 10:48
最新圖輯
更多
第62屆金馬獎得獎後台
第62屆金馬獎紅毯
劉書宏專訪
袁澧林、陳孝萱專訪
第36屆金曲獎星光大道
第36屆金曲獎得獎圖輯
NMIXX林口體育館粉絲演唱會
KISS OF LIFE台北演唱會
林芯儀專訪
GYUBIN大巨蛋開球
今日頭條
1
台灣人用5字嗆爆解放軍 他:這就是民意
2
韓國瑜缺席!賴清德邀國政茶敘流程曝光
3
16歲少女葬火窟 校長:她是副班長人緣好
4
挺府院不副署?學者:為打破僵局別無選擇
5
文昌宮點燈家長苦等40小時!2600名額秒殺
6
藏不住!汪小菲辣妻挺孕肚 寶寶性別全洩
7
新/邦迪海灘爆槍案10死12傷、1槍手擊斃
8
冷氣團抵達越晚越寒冷!這2區低溫探10度
9
坣娜遺作首曝光 「追思會選這天」有意義
10
GD中國粉絲喊我愛你 他冷回一句韓網嗨翻
HOT焦點
更多
高雄大氣球遊行登場 21顆空飄氣球超壯觀
賴瑞隆重整腳步再出發 高市議員團結力挺
臺北耶誕愛無限登場!聚集人潮感受氣氛
頻道推薦
直播✦活動
三立新聞網
為了提供更好的閱讀內容,我們使用相關網站技術來改善使用者體驗,也尊重用戶的隱私權,特別提出聲明。
了解最新隱私權聲明
知道了