APP下載
活動
爆料
圖輯
AI爆報
追蹤新聞
3
台灣彩券開獎直播中
三立iNEWS新聞台線上直播
LIVE三立+24小時直播
即時
助理費爭議
小紅書遭封鎖
新聞
熱門
政治
社會
娛樂
生活
新奇
健康
國際
兩岸
運動
財經
房產
旅遊
科技
汽車
遊戲
ESG
影音
總覽
政論
節目
熱搜
直播
iNEWS
專題
總覽
特企
專頁
大事件
彩券
專欄
民調
快訊
淫媒家族鑽「這漏洞」赴泰選妃月入百萬!
07:39
88歲老兵超市打工 淒涼故事曝網捐4700萬
07:37
自封「小館長」!藍爭議法案寫手黑歷史曝
07:21
2歲童流感併發肺炎!打完點滴回家後斷氣
07:17
韓將台灣列中國!他揭20年過往教1招反制
07:15
猛吐原認腸胃炎「雙眼上吊」掃腦竟超致命
07:03
藍營基層也炸鍋!助理費爭議法案寫手曝光
06:50
冷氣團殺到最冷時刻曝!2地高山有望下雪
06:43
林穎孟控前夫家暴關鍵片曝「這重點沒錄」
06:28
毛利率警示引AI報酬疑慮 博通股價挫11%
06:22
新北市長內參民調!吳子嘉爆「他輸很多」
06:17
三本柱將散?禹洙漢河智媛恐不續留原因曝
06:01
手搖飲老闆虐打柯基!牙醫配偶深夜再發聲
05:54
學生想0成本抽成嗆炸雞店 逢甲大學回應
05:32
川普宣布:泰國與柬埔寨同意停止邊境交火
05:18
上櫃11月446家成長 這幾類好慘續探底!
05:18
墨西哥高關稅影響逾200億美元?政院回應
05:14
蘋果折疊機題材 它含七成蘋概股迎換機潮
04:28
中國保險套要加稅!專家擔憂2事發生
03:46
迪士尼聯手OpenAI 影視革命啟動
03:29
台灣彩券開獎直播中
20:31
健康AI領導品牌 威力先進得獎不斷
20:30
《上山吧》團員用「優蛋白EX」補充能量
13:00
《上山吧!台灣隊》創舉!征服非洲之巔!
10:00
他靠科學化心法兩年滾出千萬財富!
08:30
首頁
關鍵字
丹瑞
丹瑞
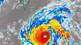
蘇拉颱風恐齊發海陸警 海葵未來路徑曝光
今年第11號颱風「海葵」今(28)日生成,目前太平洋...
2023/08/28 22:14
海葵恐成大型颱風擾北部 不排除藤原效應
蘇拉颱風今(28)日上午8時中心位置在鵝鑾鼻南南東方...
2023/08/28 11:14
彭啟明曝蘇拉颱風最新動態 再揭一週天氣
持續關注颱風動態,中央氣象局說,第9號颱風「蘇拉」今...
2023/08/28 09:50
熱鬧!東亞恐3颱共舞 準海葵扯腿蘇拉?
西北太平洋目前十分「熱鬧」,多個熱帶系統同時發展中,...
2023/08/27 11:46
蘇拉恐撲台灣南端 最快週一海警週二陸警
第9號颱風「蘇拉」已升級強颱,接下來會逐漸北轉朝台灣...
2023/08/27 10:34
蘇拉轉強颱!對台影響曝 一次看10天天氣
持續關心蘇拉颱風的走向,中央氣象局說,第9號颱風「蘇...
2023/08/27 09:15
蘇拉颱風「快開眼了」!挑戰強颱靠近台灣
太平洋地區目前有2個颱風,分別是第9號中度颱風「蘇拉...
2023/08/26 13:05
開學日恐「3颱共舞」放颱風假?機會曝光
太平洋面上目前有兩個颱風,分別為輕颱「蘇拉」、輕颱「...
2023/08/26 10:59
蘇拉颱風登陸機率高 最新各國路徑一覽
台灣附近雙颱共存,中央氣象局觀測資料顯示,第9號颱風...
2023/08/26 08:40
蘇拉恐變強颱!這天海警、三颱共舞關鍵曝
今年第9號颱風蘇拉(國際命名SAOLA)在今(26)...
2023/08/26 06:47
日本氣象廳:蘇拉已達中颱 這時最接近台
中央氣象局說明,今年第9號颱風「蘇拉」,預計明(26...
2023/08/25 22:55
新/三颱共舞?新颱「海葵」最快下週生成
又有新颱風可能生成!中央氣象局今(25)日表示,最快...
2023/08/25 20:52
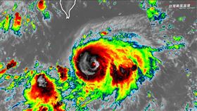
長知識!蘇拉、丹瑞接力生成「有意義」
今年第9號颱風蘇拉、第10號颱風丹瑞接連形成。中央氣...
2023/08/25 19:11
接連3個熱帶系統!專家揭颱風活躍期時間
今年第9號颱風「蘇拉」目前正位於恆春東南方430公里...
2023/08/25 11:52
防颱了!氣象粉專:蘇拉颱風襲台機率上升
今年第9號颱風「蘇拉」下週三週四將靠近台灣,部分預測...
2023/08/25 10:33
蘇拉恐成穿心颱!彭啟明揭雙颱最新路徑
今年第9號颱風「蘇拉」目前正位於恆春東南方430公里...
2023/08/25 08:49
蘇拉剛出現!10號颱「丹瑞」最快明生成
今年第9號颱風「蘇拉」今(24)日下午正式生成,中央...
2023/08/24 16:14
「蘇拉」最快今生成 專家:距離台灣很近
西北太平洋出現兩個熱帶性低氣壓TD10、TD11,有...
2023/08/24 07:46
丹瑞襲越南已49死 恐影響APEC
救難官員今天表示,颱風丹瑞襲擊越南中部至少造成49人...
2017/11/06 19:10
颱風丹瑞橫掃越南中部 至少11死
颱風丹瑞(Damrey)今(4)日掃過越南中部地區,...
2017/11/04 22:56
天氣好轉!明水氣減少、白天漸回溫
今(4)日北台灣下雨下不停,加上東北季風持續增強,最...
2017/11/04 21:48
冷空氣來襲!明北台灣氣溫降10度
這兩天因為秋老虎的關係,台北高溫甚至飆到30度,天氣...
2017/11/02 22:09
丹瑞颱風形成!今晚起留意類共伴降雨
注意「類共伴降雨」!氣象局表示,原在南海的熱帶性低氣...
2017/11/02 09:58
颱風「丹瑞」生成 估朝越南方向前進
原在南海的熱帶性低氣壓,已於今(2)日上午8時生成為...
2017/11/02 09:36
颱風丹瑞明恐生成 未來一周晴雨交替
今(1)日台灣上空雲系消散,天氣轉晴,但在明日因南海...
2017/11/01 21:17
丹瑞颱風今恐生成 明晚北台灣防大雨
受夜間至清晨輻射冷卻影響,今(1)日清晨嘉義以北及宜...
2017/11/01 08:58
最新圖輯
更多
第62屆金馬獎得獎後台
第62屆金馬獎紅毯
劉書宏專訪
袁澧林、陳孝萱專訪
第36屆金曲獎星光大道
第36屆金曲獎得獎圖輯
NMIXX林口體育館粉絲演唱會
KISS OF LIFE台北演唱會
林芯儀專訪
GYUBIN大巨蛋開球
今日頭條
1
藍營基層也炸鍋!助理費爭議法案寫手曝光
2
手搖飲老闆虐打柯基!牙醫配偶深夜再發聲
3
冷氣團殺到最冷時刻曝!2地高山有望下雪
4
墨西哥高關稅影響逾200億美元?政院回應
5
學生想0成本抽成嗆炸雞店 逢甲大學回應
6
新北市長內參民調!吳子嘉爆「他輸很多」
7
2歲童流感併發肺炎!打完點滴回家後斷氣
8
毛利率警示引AI報酬疑慮 博通股價挫11%
9
東區「焦糖楓」深夜狂冒濃煙 警消馳援
10
林穎孟控前夫家暴關鍵片曝「這重點沒錄」
HOT焦點
更多
健康AI領導品牌 威力先進得獎不斷
《上山吧》團員用「優蛋白EX」補充能量
海爾廚衛專攻小家庭 2026新品曝光搶市
頻道推薦
直播✦活動
三立新聞網
為了提供更好的閱讀內容,我們使用相關網站技術來改善使用者體驗,也尊重用戶的隱私權,特別提出聲明。
了解最新隱私權聲明
知道了