APP下載
活動
爆料
圖輯
AI爆報
追蹤新聞
4
美軍史詩怒火狂炸2000目標
台灣彩券開獎直播中
三立iNEWS新聞台線上直播
LIVE三立+24小時直播
即時
美以突襲伊朗
對等關稅違憲
新聞
熱門
政治
社會
娛樂
生活
新奇
健康
國際
兩岸
運動
財經
房產
旅遊
科技
汽車
遊戲
ESG
影音
總覽
政論
節目
熱搜
直播
iNEWS
專題
總覽
特企
專頁
大事件
彩券
專欄
民調
快訊
聲援伊朗只是喊喊?中國手腳被看破
20:32
BTS柾國住家遭私生闖入 檢方火速起訴
20:32
明驚蟄逢天赦日!5星座超旺 偏財還能脫單
20:29
野獸林志傑超人氣 小巨蛋引退賽門票售完
20:23
WBC/台灣隊首戰對澳洲!台灣運彩賠率曝
20:14
孝子工人國賓大飯店墜樓亡 姊慟認屍
20:08
獨/長輩圖醜又煩?真相催淚:是在報平安
20:07
滯留中東旅客回台!外交部親送「這1物」
20:06
強化醫療供應 健康台灣明聚焦藥物韌性
20:00
杜拜班機避中東戰火回台!接機者泣不成聲
19:59
火速支援WBC 白飛一趟張政禹也喊無所謂
19:52
《鏢人》血虧!吳京再推兩部新片引爆話題
19:46
伊能靜58歲生日逆天美貌曝!網:狀態贏了
19:45
伊朗戰火燒杜拜房價未跌 台分析師曝關鍵
19:42
275台人杜拜平安歸國 觀光署揭還有人受困
19:40
新手爸媽PO文「出養滿月兒」:真的有困難
19:30
李洋東京應援前 先去行天宮祈福:奪得佳績
19:25
獨/經典賽發功!結印哥砸14.9萬挺台灣隊
19:21
中東戰火影響美國房價?專家指沒見下跌
19:20
一文看懂/三星S26預購優惠 容量免費翻倍
19:12
台灣彩券開獎直播中
20:31
美軍史詩怒火狂炸2000目標
14:45
「台八男神」龍語申「肌」情預告!
17:00
純喫茶X《傳說對決》限時虛寶登場!
10:00
賓果賓果鬧元宵 大樂透、今彩539續加碼
12:00
開工打造好運勢 小人退散能量水晶迎貴人
12:00
祥獅獻瑞迎開工!愛妮雅集團新年藍圖首曝
17:00
瘦身急救章 一秒塑身穿上小號緊身洋裝
11:00
初九天公生 松山奉天宮備平安麵共享
16:00
捷運七張站走路2分鐘 友座明明德機能到位
15:00
開學換機酷澎火箭速配隔日到貨
10:00
企業暖心故事 一份工作撐起整個家
13:00
Xtars人氣直播主大揭密 鏡頭下的甘苦
13:00
土城永福岩清水祖師廟擲筊大賽 頭獎百萬
12:00
初一金山財神廟湧人潮 聯名蛋捲禮盒喜氣
11:00
「星城Online x戲說台灣」單元劇引爆話題
12:00
首頁
關鍵字
移動路徑
移動路徑
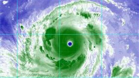
山陀兒估斜切台!專家:碰護國神山須屈服
山陀兒已在今晨轉為強颱,約明(2)日中午前後便會登陸...
2024/10/01 16:37
颱風恐從恆春登陸…專家揭「4地雨最猛」
颱風持續增強中!今(29)日中央氣象署(以下簡稱氣象...
2024/09/29 14:53
下週颱風生成率不低!對台影響、路徑曝光
下週究竟會不會有颱風生成?氣象專家吳聖宇今(11)日...
2024/07/11 15:06
颱風「鯉魚」生成!氣象署曝移動路徑
12月颱風生成!中央氣象署指出,原位於菲律賓東方海面...
2023/12/17 10:06
山竹強度達巔峰了?氣象局這樣解釋
來勢洶洶!今年第22號颱風「山竹」於11日上午8時轉...
2018/09/13 00:26
最新圖輯
更多
初孟軒、鍾岳軒專訪
龍千玉與翁立友領豪記唱片群星拜年
Rain鄭智薰小巨蛋演唱會
金在中演唱會
羅志祥30周年演唱會
凱琳專訪
黃鐙輝、吳念軒、黃騰浩專訪
第62屆金馬獎得獎後台
第62屆金馬獎紅毯
劉書宏專訪
今日頭條
1
藍白強行通過3爭議法案 卓揆「不副署」
2
台灣人集結東京巨蛋!超壯觀畫面曝光
3
助理李俊敏被控當中國密使 賴士葆回應了
4
以色列空軍F-35德黑蘭上空擊落伊朗噴射機
5
保時捷戰賓士!甩尾撞擊、砸車大亂鬥
6
嘉義女騎士「入縫2秒」巨輪斷魂畫面曝光
7
以軍轟黎巴嫩!民航機無所畏懼照飛
8
李灝宇傳身體不適退賽 會長蔡其昌回應了
9
血癌住院7個月搶命 沈玉琳曝驚人醫藥費
10
東京巨蛋場外旗幟「沒有台灣隊」!真相曝
HOT焦點
更多
祥獅獻瑞迎開工!愛妮雅集團新年藍圖首曝
捷運七張站走路2分鐘 友座明明德機能到位
開學換機酷澎火箭速配隔日到貨
頻道推薦
直播✦活動
三立新聞網
為了提供更好的閱讀內容,我們使用相關網站技術來改善使用者體驗,也尊重用戶的隱私權,特別提出聲明。
了解最新隱私權聲明
知道了