APP下載
活動
爆料
圖輯
阿立導讀
追蹤新聞
3
台灣彩券開獎直播中
三立iNEWS新聞台線上直播
LIVE三立+24小時直播
即時
尹衍樑辭世
馬辦風暴延燒
新聞
熱門
政治
社會
娛樂
生活
新奇
健康
國際
兩岸
運動
財經
房產
旅遊
科技
汽車
遊戲
ESG永續
影音
總覽
政論
節目
熱搜
直播
iNEWS
專題
總覽
特企
專頁
大事件
彩券
專欄
民調
快訊
另一半拿「飲料拉環求婚」女星怨:不浪漫
09:46
問Meta AI:脆有中國網軍?誠實回答笑翻
09:46
偷拍5女大生如廁 他挑選國北教原因曝光
09:45
好市多上架「省錢救星」!網推:夏天標配
09:43
新/四張犁公園命案!婦雙腳懸空陳屍樹下
09:41
東契奇當老闆 聯手尼爾森收購羅馬球隊
09:40
無緣6月前破大谷紀錄?村上宗隆跑壘拉傷
09:38
發錢啦!出國符合「1條件」免費領5000元
09:30
14天靠1神器賺12億!29歲男拒當社畜
09:28
秦慧珠賭選不上喊捐百萬 沈伯洋笑回這句
09:26
「大哥回來了」李晧禎將首辦個人見面會!
09:26
雅方冰品遭控摻細白不明物 二代千金道歉
09:25
明星國小師…墜樓亡!訃聞曝「留一抹笑」
09:25
雷霆威廉斯傷勢惡化 西決第7戰確定缺席
09:25
遭紅帽男潑漆砸糞!「卡米地」:法院見
09:21
直攻越野市場!Audi開發純種越野車
09:14
愛文芒果1顆10元!網驚曝:還不是最低價
09:12
台灣首季GDP飆破14% 甩中日韓美差距驚人
09:05
大咖男星拍攝出意外 被馬摔落失控畫面曝
09:05
黃仁勳揭AI訊號 專家點名下波最受惠股
09:05
台灣彩券開獎直播中
20:31
台彩端午加碼8億元創新高
19:00
大樂透加碼100組100萬元
19:00
新冠不再冬季限定!醫示警夏季疫情恐升溫
11:00
鼠患+大雨 遛毛孩小心積水藏致命細菌
18:00
「人偶系」女神幸まる進駐COSMOS展
12:00
愛妮雅拚轉型 透過心理學重塑主管養成
10:00
首頁
關鍵字
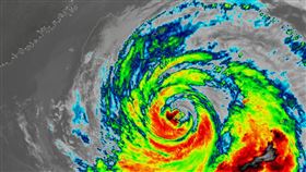
海上颱風警報
海上颱風警報
鳳凰颱風逼近!北市籲工地、招牌加固防颱
鳳凰颱風逐漸逼近,建管處呼籲市民、商家及建築工地全面...
2025/11/10 17:00
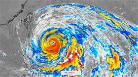
鳳凰北上!14縣市「暴風侵襲率破5成」
鳳凰颱風來襲,氣象署表示預計下週一、週二陸續發布鳳凰...
2025/11/08 15:25
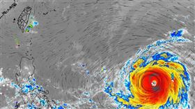
薇帕海警將解除「明這區仍雨」下週恐有颱
影響仍不可小覷!今(19)日中央氣象署指出,薇帕颱風...
2025/07/19 16:08
薇帕颱風逼近台灣 南橫公路這段預警封閉
今年第6號颱風「薇帕」在今天(18日)凌晨2時生成,...
2025/07/18 22:00
薇帕發力了 花東大豪雨12縣市大雨特報
中央氣象署今(18)日上午對颱風薇帕發布海上警報,颱...
2025/07/18 16:46
天兔來襲 手機內建功能速查颱風位置
中央氣象署今(14)日05時30分針對天兔颱風發布海...
2024/11/14 10:41
天兔還有颱風假?專家曝:這些地方有機會
氣象專家吳聖宇今(13)天傍晚撰文指出,由於天兔颱風...
2024/11/13 17:09
不斷更新/10/4商場營業資訊一覽
山陀兒颱風已經消散成熱帶性低氣壓,中央氣象署也解除海...
2024/10/04 07:36
不斷更新/美廉社3縣市門市提前打烊
山陀兒颱風逐漸逼近台灣,中央氣象署已經發布海上陸上颱...
2024/10/03 13:34
山陀兒來了!台南新天地、中山店20時停業
山陀兒颱風逐漸逼近台灣,中央氣象署29日上午已經發布...
2024/10/02 18:52
台北101宣布2日停業!京站正常營業
山陀兒颱風逐漸逼近台灣,中央氣象署29日上午已經發布...
2024/10/01 22:50
颱風這兩天影響最大!發陸警?專家全說了
目前在菲律賓東方以及南海各有一個熱帶性低氣壓,由預報...
2024/07/20 09:22
「小犬」不排除陸警!「這2天」離台最近
第14號颱風「小犬」於今(30)日凌晨2點生成!中央...
2023/09/30 10:47
「小犬」恐變猛獸!彭啟明:估下週二海警
中央氣象署表示,原位於菲律賓東方海面的熱帶性低氣壓今...
2023/09/30 10:04
花蓮雨量破1111毫米!全台「放晴時間」曝
第11號「海葵颱風」已於8時減弱為熱帶性低氣壓,中央...
2023/09/05 09:14
新/海葵8:30解除海警!雨彈炸到週末
根據最新氣象資料顯示,第11號海葵颱風中心已於今(5...
2023/09/05 08:29
蘇拉海警發布!氣象局曝「離台最近時間」
蘇拉颱風進逼,氣象局於今(28)日晚間11時30分發...
2023/08/28 23:51
專家揭蘇拉最可能登陸點:8/29有陸警機率
根據中央氣象局颱風消息,強烈颱風蘇拉今(27)日8時...
2023/08/27 11:20
29日恐發海警!「蘇拉」這2天影響最劇
今年第9號颱風「蘇拉」(國際命名SAOLA)來勢洶洶...
2023/08/25 10:46
「卡努」這2天離台最近!1圖看懂暴雨熱區
中度颱風「卡努」逼近,中央氣象局於今(1)日20:3...
2023/08/01 21:05
新/中颱「卡努」海警發布!最新路徑出爐
中度颱風「卡努」逼近,中央氣象局於今(1)日晚間20...
2023/08/01 20:35
卡努估明轉中颱!發布海陸警機率曝光
杜蘇芮剛遠離,今年第6號颱風卡努接著靠近台灣,不過就...
2023/07/30 07:46
杜蘇芮發海警 「2地」放颱風假機率高
中央氣象局今(24)日20時30分針對第5號中度颱風...
2023/07/24 21:18
杜蘇芮海警發布!又變胖「最新路徑」出爐
中颱杜蘇芮仍在快速增強,預計襲擾台灣時將達到強度巔峰...
2023/07/24 20:43
散步都比它快!雙重打擊瑪娃颱風結構鬆散
瑪娃颱風來到家門口,昨29日傍晚氣象局已經發布海上颱...
2023/05/30 11:00
瑪娃這2天離台灣最近!揭海陸警齊發機率
瑪娃颱風開始北轉,暴風圈擴大,寬廣的外圍環流不可小覷...
2023/05/29 11:00
瑪娃變胖北轉中!氣象局:海警估深夜發布
瑪娃颱風開始放慢速度逐漸北轉,增強幅度已經不多,中央...
2023/05/29 09:34
翡翠水庫大進補?龜速瑪娃北移連下5天雨
瑪娃颱風再度變弱於14時轉為中颱!氣象局表示,瑪娃颱...
2023/05/28 16:53
瑪娃暴風圈不排除碰觸花東!專家估2關鍵
氣象專家吳聖宇表示,當瑪娃來到台灣東南方遠海後,強度...
2023/05/28 13:26
瑪娃移動變慢!氣象局估「明午後發海警」
強颱瑪娃移動速度變慢了!中央氣象局預報中心林秉煜課長...
2023/05/28 10:33
最新圖輯
更多
茉ひるMahiru專訪
簡莉紋專訪
大霈專訪
劉冠廷專訪
林予晞、王真琳專訪
李雪、陳昱廷專訪
初孟軒、鍾岳軒專訪
龍千玉與翁立友領豪記唱片群星拜年
Rain鄭智薰小巨蛋演唱會
金在中演唱會
今日頭條
1
馬辦遭控職場霸凌 她揭金溥聰狠毒往事
2
新/透天厝…無預警「倒塌脆化」慘況曝!
3
在基隆國門廣場「親密」!脫序男女找到了
4
雅方冰品遭控摻細白不明物 二代千金道歉
5
草蜢蔡一傑傳癌細胞擴散暴瘦 本人發聲了
6
預言沈伯洋40%起跳遭疑 黃暐瀚曬1數字
7
薔蜜估今轉中颱 橫掃日本各地時程一次看
8
台灣首季GDP飆破14% 甩中日韓美差距驚人
9
問Meta AI:脆有中國網軍?誠實回答笑翻
10
守護者緊急補強!「費仔」重返大聯盟
HOT焦點
更多
愛妮雅拚轉型 透過心理學重塑主管養成
賴宣布人口對策新戰略 18項家庭支持措施
假借貸款真詐騙 當心借不到反背債淪共犯
頻道推薦
直播✦活動
三立新聞網
為了提供更好的閱讀內容,我們使用相關網站技術來改善使用者體驗,也尊重用戶的隱私權,特別提出聲明。
了解最新隱私權聲明
知道了