APP下載
活動
爆料
圖輯
阿立導讀
追蹤新聞
3
台灣彩券開獎直播中
三立iNEWS新聞台線上直播
LIVE三立+24小時直播
即時
賴突破中國打壓
台北爆鼠患
新聞
熱門
政治
社會
娛樂
生活
新奇
健康
國際
兩岸
運動
財經
房產
旅遊
科技
汽車
遊戲
ESG永續
影音
總覽
政論
節目
熱搜
直播
iNEWS
專題
總覽
特企
專頁
大事件
彩券
專欄
民調
快訊
投資人將受創?6跡象指向美股巨大修正
02:10
想在牛市全身而退?專家揭8投資致命誘惑
02:00
分析師揭這2企業挑戰市值3兆鎂:回報可觀
01:50
馬斯克化身機器狗 柏林展出吸睛
01:31
男39年不管錢退休見沒存款 妻這句他淚崩
01:30
法召開G7線上會議 打破中國關鍵礦產壟斷
01:27
遭伊朗飛彈、無人機攻擊 阿聯限制領空
01:22
賴總統返台 歐盟重申民航安全與可預測性
01:19
新加坡新規校園霸凌可罰鞭打 教長受質詢
01:16
規模衝破千億74萬人狂買它 背後原因曝光
01:15
荷莫茲升溫 伊朗:有更多手段加劇衝突
01:13
桌球世錦賽完美收尾 台女團險勝波多黎各
01:10
誰當台積電廚餘桶?蘋果密訪三星、英特爾
01:01
漢人最偉大的巔峰之戰:輸了中國恐分裂
01:00
新/川投顧再發功!4指齊漲、英特爾噴13%
00:53
項羽戰無不勝,為何只輸一場就輸掉天下?
00:50
危機時盼球找他 葉總看劉基鴻有辛苦一面
00:17
獨/大巨蛋應援 Mingo:來見北部網友
23:50
宇宙被「設計」過?差萬分之一就沒人類
23:48
林凱威失守遭追平 葉總:不可能都不出事
23:37
台灣彩券開獎直播中
20:31
逸硯空間設計年營收破3億 拚上市再掀話題
13:00
益生菌吃心酸?醫師點破「盲買迷思」
12:00
寵妻魔人用這台 幫老婆被動運動紓壓
14:00
裝潢資訊不透明引爭議 AI試算工具成趨勢
13:00
輝葉AI追夢椅精準按摩 小三都甘敗下風
20:00
遶境挑戰行動力!天地合補提供靈活補給
19:00
友華生技「愛斯康」成信眾最強健康後盾
12:00
高壓焦慮引發掉髮 醫師:及早介入可改善
16:00
落枕救星「PP石墨烯智能調節記憶枕」
15:00
年度電競盛事熱血回歸!即日起開放報名
19:00
花蓮復康免費搭乘 身障就醫行動無礙
12:00
台灣大哥大出優惠方案 實現Apple生態圈
12:00
首頁
關鍵字
外圍環流
外圍環流
共伴雨帶襲宜蘭!粉專示警豪雨下到這時
今(11)日受到東北季風及鳳凰颱風外圍環流影響,桃園...
2025/11/11 21:01
鳳凰變壯撲台!2地紫爆豪雨最猛時段曝
中颱鳳凰逐步北轉撲台,中央氣象署預估將在週三(12日...
2025/11/10 22:27
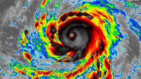
鳳凰最快36小時達顛峰!專家:恐登陸台灣
今年第26號颱風「鳳凰」來勢洶洶,中央氣象署預估,將...
2025/11/07 14:31
雨彈狂炸!「巨浪」直撲濱海公路畫面曝
受颱風外圍環流與東北季風影響,北海岸持續降雨,今日(...
2025/10/21 15:49
蔣萬安今辦「體能測驗日」!網:咕嚕咕嚕
今(21)日受東北季風與颱風外圍環流夾擊,北台灣整天...
2025/10/21 11:30
東北季風來了!鄭明典驚呼「降溫了有感」
今(21)日仍受東北季風及颱風外圍環流共伴效應影響,...
2025/10/21 08:37
台灣頭頂橘紅!鄭明典:我家在紅色區塊內
今日持續受到東北季風及風神颱風外圍環流雙重影響,易出...
2025/10/20 10:30
外圍環流狂灌水來台!1原因共伴效應升級
今(20)日受東北季風及風神颱風外圍環流雙重影響,桃...
2025/10/20 08:57
外圍環流強!雨連炸5天「這塊」下到發紫
今(20)日持續受到東北季風及風神颱風外圍環流雙重影...
2025/10/20 08:45
樺加沙外圍環流炸大台北!雨勢減緩還要等
今年第18號強烈颱風樺加沙,今(23)日2時的中心位...
2025/09/23 08:27
樺加沙西太平洋最強颱!天氣最快這時回穩
強颱樺加沙持續逼近台灣,中央氣象署預估今日下午至明日...
2025/09/22 09:50
颱風假有望?颱風樺加沙「這兩天」最接近
颱風樺加沙來勢洶洶,天氣風險公司提醒,未來幾天台灣將...
2025/09/19 17:01
樺加沙風雨「3區首當其衝」!專家揭2劇本
昨(18)日從早到晚陸續生成了三個颱風,依序為17號...
2025/09/19 11:23
新一波強降雨逐漸逼近!降雨高峰時期曝光
今(28)日晚至明日西南氣流及颱風外圍環流影響,易有...
2025/07/28 22:24
大雷雨炸嘉義!後潭平安宮水淹半個車身
受低壓帶及西南風影響,大雷雨今(28)日強襲雲嘉南地...
2025/07/28 10:31
外圍環流強!專家:范斯高呈現裸奔狀態
目前台灣周邊海面上出現「三颱亂舞」的罕見狀況,雖然3...
2025/07/25 15:16
明颱風外圍環流「炸2區」!侵台機率曝光
今(24)日受范斯高颱風外圍雲系影響,白天桃園以北及...
2025/07/24 19:17
薇帕外圍環流通過!網曝「搖滾區現況」
輕颱薇帕今(19)日中午距離台灣本島最近,且今明2天...
2025/07/19 11:51
薇帕颱風逼近台灣 南橫公路這段預警封閉
今年第6號颱風「薇帕」在今天(18日)凌晨2時生成,...
2025/07/18 22:00
薇帕發力了 花東大豪雨12縣市大雨特報
中央氣象署今(18)日上午對颱風薇帕發布海上警報,颱...
2025/07/18 16:46
薇帕颱風海警發布還會變強!下午開始變天
「薇帕颱風」在今(18)日凌晨2時生成,由於路徑有向...
2025/07/18 11:55
未來一週全台有雨!專家曝最新預測路徑
今年第6號颱風「薇帕」已於今(18)日凌晨2時生成,...
2025/07/18 09:37
2大助威薇帕雨甩台灣 雨量驚人現1線紫爆
中央氣象署表示,熱帶低壓TD09今(18)日凌晨增強...
2025/07/18 08:47
薇帕生成今明最接近台!2地警戒雨最劇烈
中央氣象署表示,熱帶低壓TD09今(18)日凌晨增強...
2025/07/18 06:10
颱風薇帕今生成!這3天最接近台雨彈炸3地
中央氣象署指出,今(17)日臺灣各地及澎湖、金門、馬...
2025/07/17 06:20
雙颱生成機率高!專家曝「薇帕」最新路徑
今(16)日午後氣象署連發大雷雨即時訊息、大雨特報,...
2025/07/16 15:11
史奴比鴨突洩氣趴水 嚇壞遊客!真相曝光
2025年宜蘭童玩節於今(5)日正式開幕,超萌「史努...
2025/07/05 18:33
98W往台灣海域靠近!週末外圍環流恐轟3地
今年編號第3號輕度颱風木恩已於今(3)日生成,14時...
2025/07/03 20:05
萬宜+東北季風挾殺報到 明低溫探16度
中颱萬宜直撲菲律賓呂宋島,目前以以每小時28公里速度...
2024/11/18 09:38
桔梗外圍環流+東北季風!4區雨勢特別劇烈
今年第23號輕度颱風「桔梗(TORAJI)」今(12...
2024/11/12 14:41
最新圖輯
更多
茉ひるMahiru專訪
簡莉紋專訪
大霈專訪
劉冠廷專訪
林予晞、王真琳專訪
李雪、陳昱廷專訪
初孟軒、鍾岳軒專訪
龍千玉與翁立友領豪記唱片群星拜年
Rain鄭智薰小巨蛋演唱會
金在中演唱會
今日頭條
1
新/13縣市大雨特報 一路下到明天凌晨
2
神佈局!國安官員曝賴清德借史國專機始末
3
落雷電纜斷線!台中北屯2212戶停電搶修
4
高雄桶仔雞老店爆食物中毒!9人上吐下瀉
5
川習會在即 美專家:陸已掌握台海主導權
6
理監事未改選 徐春鶯兩岸婚姻聯盟遭解散
7
北市里長批李四川昔1政策:成為鼠疫溫床
8
不叫殘障了!陳佩琪喊斑斑:身心障礙的狗
9
安鼠之亂!議員踢爆「鼠類偵防師」才86人
10
快訊/大樂透5/5中獎號碼出爐
HOT焦點
更多
115全障運開幕卡司揭曉 畢書盡擔綱演出
戴運軌寓所、潮州街9號修繕完成 紀錄片曝
逸硯空間設計年營收破3億 拚上市再掀話題
頻道推薦
直播✦活動
三立新聞網
為了提供更好的閱讀內容,我們使用相關網站技術來改善使用者體驗,也尊重用戶的隱私權,特別提出聲明。
了解最新隱私權聲明
知道了