APP下載
活動
爆料
圖輯
阿立導讀
追蹤新聞
4
【立院榮譽顧問】
台灣彩券開獎直播中
三立iNEWS新聞台線上直播
LIVE三立+24小時直播
即時
賴突破中國打壓
台北爆鼠患
新聞
熱門
政治
社會
娛樂
生活
新奇
健康
國際
兩岸
運動
財經
房產
旅遊
科技
汽車
遊戲
ESG永續
影音
總覽
政論
節目
熱搜
直播
iNEWS
專題
總覽
特企
專頁
大事件
彩券
專欄
民調
快訊
比主動式ETF更賺 120檔台股基金打敗大盤
18:57
延長賽沒短打? 平野戰術被台鋼完美執行
18:55
日本精品級甜點BLANCA快閃 晶華限時開吃
18:53
全台首創「調和水」 插旗台南喝出人生味
18:52
3台人赴美盜禮品卡 5天狂掃百店萬卡遭逮
18:51
走路像踩棉花?體脂肪攻擊神經 醫揭4警訊
18:49
才新婚半年就出事!Lulu喊:已經「花轟」
18:42
鼠患「綠營搞的」?簡舒培批藍逃避問題
18:41
淡江大橋旁驚見4小虎鯨擱淺 30人冒雨搶救
18:40
新/土城修車廠火警!20車灌救3人送醫
18:40
重要典禮再走一次!史王最高規格迎賴清德
18:33
亞昕宣布全面併購全虹 未來5年規劃曝光
18:32
洗錢一條龍!博弈黑金家族經手80億遭滅團
18:30
舉村上宗隆為例 葉總看徐若熙爆炸很正常
18:29
藍莓沉下去較甜?營養師揭真相:看這4處
18:28
中國施壓取消「數位人權大會」 黃捷發聲
18:27
人美心更美!IU兒童節再捐1億
18:17
妻遭挖昔賣假韓貨 台版張凌赫千字文回應
18:14
張書偉跪地伺候孕妻 謝京穎甜喊:嫁對人
18:10
新/下班注意 8縣市大雨特報防雷、風襲擊
18:06
台灣彩券開獎直播中
20:31
【立院榮譽顧問】
17:30
逸硯空間設計年營收破3億 拚上市再掀話題
13:00
益生菌吃心酸?醫師點破「盲買迷思」
12:00
寵妻魔人用這台 幫老婆被動運動紓壓
14:00
裝潢資訊不透明引爭議 AI試算工具成趨勢
13:00
輝葉AI追夢椅精準按摩 小三都甘敗下風
20:00
遶境挑戰行動力!天地合補提供靈活補給
19:00
友華生技「愛斯康」成信眾最強健康後盾
12:00
高壓焦慮引發掉髮 醫師:及早介入可改善
16:00
落枕救星「PP石墨烯智能調節記憶枕」
15:00
年度電競盛事熱血回歸!即日起開放報名
19:00
花蓮復康免費搭乘 身障就醫行動無礙
12:00
台灣大哥大出優惠方案 實現Apple生態圈
12:00
首頁
關鍵字
颱風雨
颱風雨
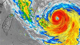
卡努最快週四海警!專家:北部不排除陸警
今年第6號颱風卡努(KHANUN)持續發展,今(1)...
2023/08/01 08:54
北部上班驚見雨勢!彭啟明證實是颱風雨
今年第6號颱風卡努(KHANUN)持續發展,預計未來...
2023/08/01 08:22
鄭明典:缺颱風雨 十月中南部枯水期
颱風「馬鞍」外圍環流對臺灣產生影響、帶來雨勢,氣象局...
2022/08/24 09:55
颱風偏東行 西北颱機率低 週六放晴
第9颱風利奇馬升級為中度颱風,對台灣的威脅性增強,但...
2019/08/07 17:36
西部有焚風 西北颱挾豪雨下午發海警
關於利奇馬颱風最新動態,氣象局發布記者會說明,利奇馬...
2019/08/07 12:15
最新圖輯
更多
茉ひるMahiru專訪
簡莉紋專訪
大霈專訪
劉冠廷專訪
林予晞、王真琳專訪
李雪、陳昱廷專訪
初孟軒、鍾岳軒專訪
龍千玉與翁立友領豪記唱片群星拜年
Rain鄭智薰小巨蛋演唱會
金在中演唱會
今日頭條
1
再放一次煙火!史王為賴清德重走重要典禮
2
幕後/外力阻撓無效!賴清德訪史3意義曝
3
新婚妻遭毒駕撞死!夫淚崩慟喊:判死刑
4
北市內湖前偵查隊長涉洩密 檢調搜索帶人
5
「不要恐慌」!蔣萬安宣布:推鼠類偵防師
6
民調/新北藍白合後...近七成小草轉投藍
7
新/美軍機飛過波斯灣「突發出緊急代碼」
8
最快24小時內成颱風哈格比 對台影響曝光
9
女大生靈堂前下跪 家屬答禮「全面迴避」
10
謝國樑B流住北榮!院長「一句話」曝玄機
HOT焦點
更多
戴運軌寓所、潮州街9號修繕完成 紀錄片曝
逸硯空間設計年營收破3億 拚上市再掀話題
115全障運5月登場 亮哲號召網路傳聖火
頻道推薦
直播✦活動
三立新聞網
為了提供更好的閱讀內容,我們使用相關網站技術來改善使用者體驗,也尊重用戶的隱私權,特別提出聲明。
了解最新隱私權聲明
知道了