APP下載
活動
爆料
圖輯
AI爆報
追蹤新聞
3
台灣彩券開獎直播中
三立iNEWS新聞台線上直播
LIVE三立+24小時直播
即時
黃明志捲命案
非洲豬瘟侵台
新聞
熱門
政治
社會
娛樂
生活
新奇
健康
國際
兩岸
運動
財經
房產
旅遊
科技
汽車
遊戲
ESG
影音
總覽
政論
節目
熱搜
直播
iNEWS
專題
總覽
特企
專頁
大事件
彩券
專欄
民調
快訊
半導體產值上看6.5兆 哥倆好這樣搭最穩
01:50
柬埔寨太子集團人資女主管現身!移送北檢
01:45
黃明志半夜IG發限動!臉頰消瘦吐92字聲明
01:39
黃明志遭通緝出現了!深夜發文:我不會逃
01:24
日防相外相雙挺台 籲台海和平、駁中抗議
01:23
PCB明星的他 目標價調升
01:11
美財長:輝達Blackwell銷售限制有望解除
01:09
新/美股全面走跌 大摩高盛:恐回檔20%
01:00
退休男砸千萬追夢 1原因半年破產妻淚崩
01:00
古代皇后若生雙胞胎,誰才是嫡長子?
01:00
他本是溥儀的皇位繼承人!最後竟成掃街工
00:50
歷史4大美男下場如何?竟有1個被「看」死
00:40
台灣影視崛起!文策院15億推動影視資本化
00:17
質詢收200萬?律師轟黃國昌「柯文哲2.0」
00:12
輝達最強國防夥伴! Palantir Q3財報曝
00:05
登錄開放中!卡娜赫拉IP手機遊戲強勢登台
00:00
王子二次道歉范姜 律師:精神滿值得讚賞
23:46
王子道歉范姜彥豐付不出賠償!求分期償還
23:37
藍粉專嗆最該被淘汰 黃敬平:我願退黨!
23:27
程瀟為何被人稱作「奶瀟」?真實原因曝光
23:25
台灣彩券開獎直播中
20:31
搶票網路太慢?三款神器推薦趁雙11入手
17:30
旨味入魂!康寶【鮮味職人】雙口味全上市
17:00
2025高球長春公開賽 泰籍托馬倫衛冕冠軍
13:00
現代飲食必備!Prepara多元產品進軍全球
12:00
桃園市政府推動影像教育!
11:00
桃園城市影像培力坊 深化學員影像創作力
13:00
松山奉天宮主題曲!金曲歌王許富凱開唱
12:00
侯昌明 「桂格完膳」響應世界糖尿病日!
11:00
首頁
關鍵字
風王
風王
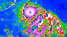
樺加沙搶風王挑戰強颱!2地防大量致災雨
第18號颱風樺加沙(RAGASA)未來強度會持續增強...
2025/09/21 08:35
樺加沙「擾台灣60小時」 大台北也逃不過
今(20)日花、東及恆春半島有不定時局部短暫陣雨,其...
2025/09/20 06:15
24號颱萬宜成「年度風王」超越山陀兒康芮
今年11月西太平洋出現罕見「四颱共舞」場面,打破歷史...
2024/11/16 22:00
佛州為何急撤百萬人?一圖解答:全球風王
颶風密爾頓(Milton)再度增強為最高等級的5級颶...
2024/10/09 10:48
強颱布拉萬達顛峰 與瑪娃並列今年風王
今年第15號颱風「布拉萬」昨晚增強為強烈颱風,今日清...
2023/10/12 13:19
布拉萬今年風王?最強核心距離約台北-台南
今年第15號颱風「布拉萬」目前為強烈颱風,距離台灣約...
2023/10/11 19:20
軒嵐諾進逼風雨增!未來一週天氣出爐
中颱「軒嵐諾」雖因台灣阻斷部分水氣,但由於颱風向北移...
2022/09/03 07:45
風王暴風圈傍晚觸陸 影響最劇時間曝
中央氣象局今(3)日凌晨2時30分發布今年第11號中...
2022/09/03 06:10
陸警發布!軒嵐諾再長胖 2地受威脅
中央氣象局今(3)日凌晨2時30分發布今年第11號中...
2022/09/03 05:08
軒嵐諾風太強了 家中魔毯竟復活狂扭
中颱「軒嵐諾」來勢洶洶,除了外圍環流帶來充沛雨量外,...
2022/09/02 17:49
軒嵐諾進逼攜雨彈 2現況看陸警機率
今(2)日4時紅外線色調強化雲圖顯示,強颱軒嵐諾颱風...
2022/09/02 07:38
軒嵐諾會更強!鄭明典曝「罕見現象」
根據中央氣象局路徑潛勢預圖顯示,因藤原效應強颱軒嵐諾...
2022/09/01 07:18
最快明晨海警!藤原+貝他效應雨彈襲
今(1)日4時紅外線色調強化雲圖顯示,強颱「軒嵐諾」...
2022/09/01 06:55
侵襲率破42%!風王滯留打轉路徑曝
今(1)、明兩日颱風外圍環流影響,北臺灣風雨逐漸增強...
2022/09/01 05:40
最強風王!軒嵐諾5天後威力仍驚人
今年第11號強颱「軒嵐諾(Hinnamnor)」被稱...
2022/08/31 13:28
軒嵐諾襲沖繩外島!暴風創8月紀錄
今年的第11號颱風「軒嵐諾」今晨2時中心位置在台北東...
2022/08/31 11:44
利奇馬襲陸!釀28人亡4百萬人受災
颱風利奇馬繞過台灣,侵襲中國浙江,造成至少28人死亡...
2019/08/11 15:55
最新圖輯
更多
劉書宏專訪
袁澧林、陳孝萱專訪
第36屆金曲獎星光大道
第36屆金曲獎得獎圖輯
NMIXX林口體育館粉絲演唱會
KISS OF LIFE台北演唱會
林芯儀專訪
GYUBIN大巨蛋開球
陳謙文專訪
孫麥傑專訪
今日頭條
1
黃明志遭通緝出現了!深夜發文:我不會逃
2
藍粉專嗆最該被淘汰 黃敬平:我願退黨!
3
王子772字致歉范姜 稱"會與粿粿共同面對"
4
新/美股全面走跌 大摩高盛:恐回檔20%
5
太子集團遭扣45億 超豪宅、跑車全曝光!
6
王世堅轟新青安「3無」:年收400萬還哭窮
7
爆!違反重大訊息規定 鴻準遭重罰5萬!
8
顏寬恒慘了!財產申報不實被開罰290萬
9
超兇禮生自爆曾受邀海外:疑出事了還在約
10
影帝薛仕凌涉閃兵案!自首偽造高血壓病例
HOT焦點
更多
旨味入魂!康寶【鮮味職人】雙口味全上市
中美醫藥集團再奪華人公益企業金傳獎
韓國先生為愛而來 手作韓味築夢踏實
頻道推薦
直播✦活動
三立新聞網
為了提供更好的閱讀內容,我們使用相關網站技術來改善使用者體驗,也尊重用戶的隱私權,特別提出聲明。
了解最新隱私權聲明
知道了