APP下載
活動
爆料
圖輯
AI爆報
追蹤新聞
3
台灣彩券開獎直播中
三立iNEWS新聞台線上直播
LIVE三立+24小時直播
即時
助理費爭議
小紅書遭封鎖
新聞
熱門
政治
社會
娛樂
生活
新奇
健康
國際
兩岸
運動
財經
房產
旅遊
科技
汽車
遊戲
ESG
影音
總覽
政論
節目
熱搜
直播
iNEWS
專題
總覽
特企
專頁
大事件
彩券
專欄
民調
快訊
AI領袖黃仁勳、蘇姿丰獲選時代風雲人物
00:15
半導體擴廠助攻 聖暉*11月營收創歷年高
00:08
余天罹癌99次電療續命 突又爆1部位開刀
00:00
脫離母隊太久 卡總曝盧峻翔忘記本週對手
23:54
迫在眉睫!美:2027中「數小時」鎖台攻擊
23:49
這4句「辭職原因」別說!面試官一聽秒刷
23:46
專訪/《大濛》選角內幕 勳導揭:他最苦
23:43
AAOA希美降臨新竹 加盟洋基工程大秀台語
23:41
30分鐘連3震!高雄規模4.7地震
23:32
專訪/方郁婷拍認屍戲爆哭 靠想像撐過去
23:29
他存6百萬退休!少做1事陷老年破產危機
23:25
AI擴建潮推升氣體系統 銳澤11月營收創高
23:18
黃國昌狗仔案!前中央社女記者訊後請回
23:17
嫌超商關東煮太辣「整鍋倒回」全場看傻眼
23:13
專訪/柯煒林拍片壓力超大 讀劇本就泛淚
23:11
新/22:49高雄規模4.7地震 9縣市有感
22:59
辛特力返勇士倒數? 主帥曝這點有待觀察
22:49
新/美股開盤1巨頭跌破15% 降息難救大盤
22:42
1年讀完百本書 柯文哲:希望成為曼德拉
22:41
虐死愷愷!兒福督導驚天大翻供:社工沒錯
22:37
台灣彩券開獎直播中
20:31
拚初選仍做公益 黃秀芳捐復健器材顧長輩
20:00
320+1嘉義市城市博覽會 規劃3大主題展區
18:00
宮古島春節旅遊夯 星宇航空增開直飛航班
12:00
國泰世華亞洲萬里通聯名卡 優惠全面升級
12:00
聽見孩子生日歌 青山王最後一秒現身回應
12:00
LINE Pay Money不到三天破百萬用戶
16:00
宏佳騰Aeontek全新微電車 滿足各族群需求
13:00
宮古島以「沖繩最美離島」之姿成冬季亮點
11:00
香氣吸客!品牌耶誕市集一番賞抽獎湧人潮
13:00
運動咖必備!sNug打造真正有感科技羊絨襪
10:30
北市打造全齡友善職場 推動中高齡就業
20:00
蔣萬安市長現身青山宮嗨唱 超夜點亮萬華
14:00
期交所推出個股週選擇權 避險策略再升級
10:00
菸捐長期凍漲 造就全球最廉價的健康殺手
08:00
演員張世賢多年後重返房仲業開啟斜槓人生
14:00
「疲勞」元凶曝光 竟與微量元素有關
12:00
首頁
關鍵字
風速
風速
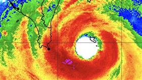
颱風樺加沙風速達每秒58公尺 暴風圈擴大
氣象署表示,颱風樺加沙的環境適合發展,過去3小時再度...
2025/09/22 00:48
翻船害「最美禮生」嫩白腿留疤!賠償金曝
有「最美禮生」之稱的潘姓女網美「恩齊兒」4年前,受邀...
2025/09/21 06:51
美軍飛入颶風艾琳 颱風眼實況震驚全球
今年大西洋第一個颶風「艾琳」,在短短24小時內罕見地...
2025/08/18 09:32
低壓系統有機會成颱!這2天影響東北部最劇
今(21)日受到低壓帶影響,各地出現陣雨或雷雨的機率...
2025/07/21 19:15
嘉義風速爆表 粉專:39歲以下最狂颱風夜
颱風丹娜絲已於6日晚間11時40分登陸嘉義布袋,是1...
2025/07/07 06:45
路樹「90度斬騎士」摔傷卡樹枝...急送醫
這起意外連反應時間都沒有!高雄新興區中山一路與民生一...
2024/11/26 11:20
北北基經歷7年來最有感颱風夜 原因曝光
颱風康芮持續減弱、北移,不少地區風雨趨緩,台灣預估最...
2024/11/01 04:50
全台強風豪雨!康芮估下午登陸撞中央山脈
康芮颱風向備受外界關注,氣象署持續發布海上、陸上警報...
2024/10/31 07:24
康芮襲蘭嶼強風有多可怕?鄭明典驚呼1句
康芮颱風向備受外界關注,氣象署持續發布海上、陸上警報...
2024/10/31 06:45
康芮前菜才剛上!合歡山狂飆14級風破紀錄
康芮颱風向備受外界關注,氣象署持續發布海上、陸上警報...
2024/10/31 06:11
康芮來勢洶洶 日本氣象廳預週五花東登陸
康芮來勢洶洶,日本氣象廳預測路徑,康芮颱風可能在10...
2024/10/28 09:49
日本氣象廳修正:山陀兒升級「大型強颱」
中度颱風山陀兒逐漸逼近台灣,中央氣象署今天持續發布中...
2024/09/30 08:41
葡萄桑加速「週四最近台」 恐挾帶強降雨
今年第14號颱風葡萄桑以每小時45公里速度向西北方前...
2024/09/17 18:20
威力不小!鄭明典:「小犬」小心翼翼做1事
中颱小犬強襲!中央氣象署持續發布陸上、海上颱風警報。...
2023/10/05 07:43
蘭嶼風速計全吹壞!小犬強風肆虐2關鍵曝
小犬颱風來勢洶洶「強風特別有感」,動向備受外界關注。...
2023/10/05 04:45
颱風假無風雨明還有機會放?彭啟明解釋了
卡努颱風持續逼近,外圍環流影響台灣,北北基宜4縣市首...
2023/08/03 15:03
卡努颱風最大苦主曝!雨彈炸台時間點出爐
卡努颱風來勢洶洶,全台不少民眾都紛紛為了防颱做足準備...
2023/08/02 05:05
大陸漁船翻覆船員落海 空勤黑暗中救3命
新竹外海大陸漁船昨晚(26日)發生翻覆漁工落海救援,...
2022/12/27 09:27
最新風雨預測!4地區明達颱風假標準
今年的第11颱風軒嵐諾持續逼近台灣,氣象局今(2)日...
2022/09/02 11:24
女遭天降磚頭奪命 網揭詭異2巧合
天外飛來的意外總是讓人措手不及,一不小心也可能發生攸...
2022/08/12 07:11
黃郁婷惹議 友喊冤:互換隊服很正常
台灣滑冰好手黃郁婷,是競速滑冰1000公尺世界紀錄保...
2022/02/03 19:57
颱風沒來就沒事?氣象局破5大迷思
夏天的台灣經常遭遇颱風侵襲,若是強颱直撲,造成致命性...
2020/10/05 17:40
電風扇轉不動 打開後方驚見棉絮卡滿
電風扇吹久了是否曾遇過風速莫名變小的異常情況呢?日前...
2020/09/23 16:57
內政部防颱 大數據研修建物耐風規範
台灣年平均有3.6次颱風侵襲,為確保建物耐風能力,內...
2020/03/28 11:23
基隆夜現超級強風 颱風中心恐近馬祖
瑪莉亞雖然下修成了中颱,但強度威力並沒有太大的減弱,...
2018/07/10 20:34
保傘連負責?一條傘一條命網路引論戰
漢光演習發生跳傘意外,究竟哪個環節有問題,裝備和氣候...
2018/05/17 13:48
貨櫃門動都沒有動 他一走近竟被打倒
是靈異還是巧合?一名網友昨(24)日在臉書社團「聯結...
2017/10/25 08:11
禁上路!4危險高架遇10級強風就封
5月後屬是汛期和颱風季,國道也將首推「預警性封路」預...
2017/05/04 08:03
這風太狂騎不動!南非取消自由車賽
南非舉辦年度自由車賽,但是遇上強風,許多選手連人帶車...
2017/03/14 15:05
玩命測風速!美觀測員倒退嚕一秒倒地
美國東北部這幾天刮強風、下大雪,各地機場將近500航...
2017/03/12 11:00
最新圖輯
更多
第62屆金馬獎得獎後台
第62屆金馬獎紅毯
劉書宏專訪
袁澧林、陳孝萱專訪
第36屆金曲獎星光大道
第36屆金曲獎得獎圖輯
NMIXX林口體育館粉絲演唱會
KISS OF LIFE台北演唱會
林芯儀專訪
GYUBIN大巨蛋開球
今日頭條
1
助理連署籲陳玉珍撤案 傳藍中央堅持修法
2
開庭結束!柯文哲嘆黃國昌別再吹牛
3
黃國昌狗仔案!前中央社女記者訊後請回
4
國台辦被台媒問倒猛跳針 陸委會再酸爆
5
家遭法拍沒去處!阿伯「寄生機械車位」3年
6
驚悚!男逛街遭蟒蛇鎖喉纏脖 跌倒濺血
7
夏宇童認被孫協志撒嬌爆擊 約會畫面曝光
8
體感7度!首波冷氣團殺到 這2天最凍
9
誰還記得他/受害家屬棄千萬賠償:給生路
10
詐騙車手被盯上!ATM擬裝人臉辨識
HOT焦點
更多
北市打造全齡友善職場 推動中高齡就業
蔣萬安市長現身青山宮嗨唱 超夜點亮萬華
期交所推出個股週選擇權 避險策略再升級
頻道推薦
直播✦活動
三立新聞網
為了提供更好的閱讀內容,我們使用相關網站技術來改善使用者體驗,也尊重用戶的隱私權,特別提出聲明。
了解最新隱私權聲明
知道了