APP下載
活動
爆料
圖輯
AI爆報
追蹤新聞
4
白沙屯媽祖高雄贊境祈福
台灣彩券開獎直播中
三立iNEWS新聞台線上直播
LIVE三立+24小時直播
即時
小紅書遭封鎖
中日關係急凍
新聞
熱門
政治
社會
娛樂
生活
新奇
健康
國際
兩岸
運動
財經
房產
旅遊
科技
汽車
遊戲
ESG
影音
總覽
政論
節目
熱搜
直播
iNEWS
專題
總覽
特企
專頁
大事件
彩券
專欄
民調
快訊
張韶涵演唱會「替身AI換臉」 震撼畫面曝
14:17
反串?投票率慘 港人扮六四學生促投票
14:14
台八女星節目「一集就燒兩萬」壓力大到哭
14:04
夏立言赴中喊統一是必須 媒體人諷藍這句
14:03
沒人要的報廢車 身價高達4千萬!
14:00
變態教練伸狼爪!女童喊「XX臭臭」成鐵證
13:54
許效舜變台語推廣大使!現場示範全場淚崩
13:53
內政部禁小紅書 他給劉世芳「加100分」
13:52
要外媒閉嘴、僅愛國者參選 港投票率慘
13:50
為何封鎖小紅書?沈伯洋:也只能因為詐騙
13:50
中國勁酒被稱「月經神仙水」婦產科醫示警
13:41
小紅書遭禁止一年!中國網紅表態「支持」
13:37
64歲孫德榮驚傳ICU搶救 本人露面發聲了
13:37
影像曝光!雞排攤被衝撞2人燒燙傷
13:36
台樂團主唱認有性侵!道歉文曝光:非常爛
13:34
新/戰機雷達照射日本F-15 共軍回應開嗆
13:33
共機雷達鎖定日戰機!綠委憂「擦槍走火」
13:32
明變天轉濕冷!4地區炸雨彈最凍時刻曝光
13:32
台中女載女兒去做傻事!慘依殺人未遂起訴
13:31
台東阿公開車載孫赴國考 自撞祖孫雙亡
13:28
台灣彩券開獎直播中
20:31
白沙屯媽祖高雄贊境祈福
09:00
樂團祭走向真實舞台!12/6、7舉辦演出
13:00
助理費爭議-別讓僵化的制度綁架服務熱忱
18:00
經部產發署力助數位醫療產 加速創新醫療
16:00
演員張世賢多年後重返房仲業開啟斜槓人生
14:00
永慶AI整合市場數據 !
14:00
馬光進軍醫療科技展 展示智慧中醫新勢力
12:00
「疲勞」元凶曝光 竟與微量元素有關
12:00
呼應「世界COPD日」林口長庚喚起警覺
11:00
首頁
關鍵字
哈隆
哈隆
颱風毀阿拉斯加村莊 300人急徹安克拉治
今年第22號颱風「哈隆」,9日以強颱之姿重創日本伊豆...
2025/10/17 11:22
今起到國慶連假3地飄雨!雙颱共存大迴轉
中央氣象署指出,今(9)日環境仍吹東北季風,迎風面基...
2025/10/09 06:40
連2波東北季風襲台!國慶降雨熱區曝光
今(8)日受到東北季風影響,迎風面基隆北海岸、宜蘭地...
2025/10/08 19:23
雙颱共舞?熱帶性低壓最快明形成颱風
根據日本氣象廳,日本南方海面又有熱帶性低氣壓生成,最...
2025/10/08 09:55
今寒露!哈隆開眼直逼強颱 連假天氣曝光
10月8日迎接二十四節氣的寒露,雖秋老虎仍發威,也逐...
2025/10/08 06:43
哈隆大迴轉「直逼強颱」國慶連假赴日注意
颱風哈隆逐漸增強直逼強颱,但路徑轉往日本南方海面移動...
2025/10/07 16:59
國慶連假熱到爆 「稍有涼感」得等到月底
哈隆颱風來襲,氣象粉專「台灣颱風論壇|天氣特急」分享...
2025/10/07 15:59
今東北風增強變天了!哈隆直逼強颱大迴轉
中央氣象署指出,今(7)日東北風增強,基隆北海岸、宜...
2025/10/07 06:54
各地賞月率出爐!哈隆將大迴轉對台影響曝
中央氣象署發布7縣市高溫資訊,今(6)日白天臺北市、...
2025/10/06 06:52
熱帶低壓生成5天後最靠近台灣 預估路徑曝
根據日本氣象廳,目前前位於台灣東方約2000公里的熱...
2025/10/04 14:31
巨獸「哈隆」增強!恐成今年第5強颱
原位於關島東方海面的熱帶性低氣壓,已於3日凌晨2時發...
2019/11/05 18:24
北東雨南部溫差大!新颱恐生成路徑曝
中央氣象局表示,今(5)日受到東北風影響,北部、東半...
2019/11/05 07:28
11月第1個颱風 輕颱對台灣無影響
中央氣象局今天凌晨2時發布消息指出,目前太平洋地區有...
2019/11/03 09:09
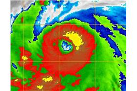
「哈隆」應景 心型颱風眼自然形成
今(2)日是七夕情人節,哈隆颱風也來湊熱鬧,氣象專家...
2014/08/02 21:27
颱風娜克莉逼近 今晚起雨越下越大
今年第12號颱風「娜克莉」於今(30日)晨形成,雖然...
2014/07/30 17:55
雙颱環伺!第12號颱風「娜克莉」成形
又有颱風報到了!今年第11號颱風「哈隆」在關島附近成...
2014/07/30 07:25
第11號颱風哈隆成形 強度增強中
今年第11號颱風哈隆(Halong)成形了!位於關島...
2014/07/29 13:44
菲律賓海面熱低壓 後天開始影響台灣
氣象局指出,今明2日各地天氣晴朗,但是菲律賓附近海面...
2014/07/28 09:35
熱帶低壓蠢動 「雙颱」下周來?
昨(26)日早上八點,菲律賓東方海面形成一個熱帶性低...
2014/07/27 14:31
最新圖輯
更多
第62屆金馬獎得獎後台
第62屆金馬獎紅毯
劉書宏專訪
袁澧林、陳孝萱專訪
第36屆金曲獎星光大道
第36屆金曲獎得獎圖輯
NMIXX林口體育館粉絲演唱會
KISS OF LIFE台北演唱會
林芯儀專訪
GYUBIN大巨蛋開球
今日頭條
1
新/戰機雷達照射日本F-15 共軍回應開嗆
2
為何封鎖小紅書?沈伯洋:也只能因為詐騙
3
台樂團主唱認有性侵!道歉文曝光:非常爛
4
明變天轉濕冷!4地區炸雨彈最凍時刻曝光
5
沒切割!館長爆黃國昌親致電 對話內容曝
6
台東阿公開車載孫赴國考 自撞祖孫雙亡
7
64歲孫德榮驚傳ICU搶救 本人露面發聲了
8
小紅書遭禁止一年!中國網紅表態「支持」
9
韓星紛離台!潤娥收粉絲大禮、IU親切道別
10
黃仁勳震撼告白「這1事」陰影已33年!
HOT焦點
更多
金控合併首次聖誕點燈 飄下「浪漫雪花」
「潮聲回港」12/20登場 一起來嗨翻基隆
助理費爭議-別讓僵化的制度綁架服務熱忱
頻道推薦
直播✦活動
三立新聞網
為了提供更好的閱讀內容,我們使用相關網站技術來改善使用者體驗,也尊重用戶的隱私權,特別提出聲明。
了解最新隱私權聲明
知道了