APP下載
活動
爆料
圖輯
AI爆報
追蹤新聞
3
台灣彩券開獎直播中
三立iNEWS新聞台線上直播
LIVE三立+24小時直播
即時
堰塞湖溢流
黃國昌爆養狗仔
新聞
熱門
政治
社會
娛樂
生活
新奇
健康
旅遊
國際
兩岸
運動
財經
房產
科技
汽車
遊戲
ESG
影音
總覽
政論
節目
熱搜
直播
iNEWS
專題
總覽
特企
專頁
大事件
彩券
專欄
民調
快訊
洗腦手法曝…他目擊死者全身抽搐遭捶胸亡
06:36
爆開房NBA球星 小A辣包下豪宅揪男模野戰
06:28
東亞防線納台韓?美國防戰略報告將出爐
06:20
徐榛蔚搶在賴清德面前鏟土 網酸:別演了
06:15
佛里德撐不住了 慘失7分遭「他」11K技壓
06:02
獨/金曲男星負債20萬!轉行KTV當服務生
06:00
獨/花蓮重災男星失聯阿嬤!驚喊已經滅村
06:00
台指期夜盤小跌 台股連假後挑戰續攻!
05:50
中秋10禁忌曝!命理師警告:4生肖恐沖煞
05:49
10年來首見!白川合掌村熊出沒遊客遭攻擊
05:31
川普:哈瑪斯若不交出加薩 將被徹底消滅
05:26
寧夏夜市這家店中鏢!1圖看黑心豬腸賣哪
05:20
「1原因」剪好友上衣…反被剪刀刺胸慘死
05:11
為博愛座全武行!法官火大「無罪判有罪」
05:05
持BB槍搶超商「警追捕險遭割喉」遭羈押
04:43
外銷單連七紅寫新高 配置這檔行情不漏接
04:32
半導體引爆淘金熱 這8檔大啖息利行情!
03:38
3個月16倍 散戶神話再現美股
03:00
腥夫奔女同事家激戰 小三還留下愛的印記
02:43
美元疲弱助攻 比特幣飆翻天
02:01
台灣彩券開獎直播中
20:31
台彩中秋加碼總獎金達4.5億
12:00
大樂透加碼100組100萬元
12:00
美安共同創辦人新書登台 分享勇氣與韌性
21:00
中秋團聚 酷澎物流中心暖心做公益
12:00
和泰集團「原生動物守護計畫」邁入第五年
12:00
酷澎獲美國農業部肯定 助攻台美印太合作
16:00
吃益生菌不是數字遊戲!
12:00
USii 除菌壺UVC深紫外光除菌佳
12:00
首頁
關鍵字
颱風眼
颱風眼
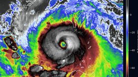
太空俯瞰樺加沙眼超大!壯闊畫面曝網驚嘆
「最強風王」樺加沙路過南台灣,未來預估將直撲中國粵港...
2025/09/23 05:38
樺加沙開眼挑戰今年風王 2地區麻煩大了
颱風樺加沙還在成長!今(20)日中央氣象署指出,雲圖...
2025/09/20 18:57
美軍飛入颶風艾琳 颱風眼實況震驚全球
今年大西洋第一個颶風「艾琳」,在短短24小時內罕見地...
2025/08/18 09:32
台東興建大樓鷹架遭吹倒 超驚悚畫面曝
中度颱風楊柳來襲,中央氣象署表示,颱風中心已於今(1...
2025/08/13 14:42
楊柳開眼了 吳德榮:防16級毀壞性強陣風
楊柳颱風持續朝逼近,已經來到台灣家門口,根據氣象署資...
2025/08/13 06:35
颱風開眼中 氣象署:到家門才知真實強度
第4號中度颱風「丹娜絲」今(6)日稍早觸陸,暴風圈下...
2025/07/06 18:31
清晰颱風眼出現了 鄭明典:近岸增強現象
第4號中度颱風「丹娜絲」今(6)日稍早觸陸,暴風圈下...
2025/07/06 18:02
極地低壓出海!鄭明典PO圖:台灣要降溫了
今(3)日初六為開工日,中央氣象署指出,今日強烈大陸...
2025/02/03 09:30
強颱萬宜眼超清晰! 全台今起變天防雨彈
天兔颱風才剛消失,「萬宜」颱風緊接在後,直登今年最強...
2024/11/17 15:17
康芮襲台全紀錄 撞中央山脈瞎眼灰飛煙滅
康芮颱風撲台,造成全台各地大小災情。中央氣象署今(1...
2024/11/01 21:51
康芮颱風眼一度超巨!他驚呼比台南還要大
今年編號第21號颱風康芮(KONG-REY)已於今(...
2024/10/31 15:38
康芮登陸台東現陽光 專家:致災風雨準備
強颱康芮今(31)日下午1點40分從台東縣成功鎮登陸...
2024/10/31 14:48
颱風眼摸到蘭嶼!專家:南側眼牆特別兇殘
康芮颱風持續威脅台灣,氣象粉專「台灣颱風論壇|天氣特...
2024/10/31 10:48
康芮颱風「黑洞眼」超兇!狂風襲菲律賓
康芮颱風今(30)日早上增強為強烈颱風,持續靠近台灣...
2024/10/30 15:37
山陀兒減弱轉輕颱 氣象署揭今晚降雨熱區
氣象署表示,今(3)日下午5時山陀兒已經減弱為輕颱,...
2024/10/03 18:27
山陀兒不V型了 日氣象廳:走回頭路出海
颱風山陀兒今(3)日中午12時40分登陸高雄市小港區...
2024/10/03 14:48
突然無風無雨!專家示警:千萬別出門勘災
中度颱風山陀兒下午從高雄小港附近登陸,中央氣象署指出...
2024/10/03 14:36
山陀兒登陸了 專家曬1圖:準備第2次搖滾
颱風山陀兒今(3)日中午12時40分登陸高雄市小港區...
2024/10/03 14:04
山陀兒颱風眼在高雄 陳其邁發聲了
受到颱風影響,全台22縣市今(3)日停班停課一天。氣...
2024/10/03 13:50
高雄人:高層住宅被吹到晃!在裡面會頭暈
高雄的民眾務必當心!中央氣象署表示,第18號颱風於1...
2024/10/03 13:09
風力破紀錄!專家:高雄恐會出現嚴重災情
颱風山陀兒持續逼近,一定要提高警覺!中央氣象署官方臉...
2024/10/03 11:51
山陀兒關鍵北轉強勝賽洛瑪 4地風雨最劇
中央氣象署最新資料,第18號颱風「山陀兒」已增強為強...
2024/10/01 06:35
山陀兒龜速 專家:恐出現生命威脅性暴風
第18號颱風山陀兒今(1)日凌晨轉為強烈颱風,高壓導...
2024/10/01 05:39
1圖看強颱山陀兒風雨時程!5地風雨最劇烈
第18號颱風山陀兒今(1)日凌晨轉為強烈颱風,高壓導...
2024/10/01 05:18
強颱山陀兒恐再增強!超清晰颱風眼曝光
第18號颱風「山陀兒」來勢洶洶,許多民眾都已經做好颱...
2024/10/01 04:25
凱米1特點「不是好現象」!有望挑戰強颱
中颱「凱米」來勢洶洶,氣象粉專「台灣颱風論壇|天氣特...
2024/07/24 09:42
12地暴風侵襲率100% 凱米恐打轉風雨延
中颱凱米進逼,對台灣構成威脅,今(24)日全台21縣...
2024/07/24 06:36
全球建商狂倒 專家:台灣像在颱風眼中央
面對低薪、房價和物價均高的環境,不少民眾努力工作,就...
2023/11/28 22:06
小犬「越跑越南邊」變慢了!專家憂吐1句
小犬颱風來勢洶洶「強風特別有感」,動向備受外界關注。...
2023/10/05 04:31
小犬變更完整了!「颱風眼高清照」曝光
小犬颱風來勢洶洶,動向備受外界關注,氣象署持續發布海...
2023/10/04 06:58
最新圖輯
更多
劉書宏專訪
袁澧林、陳孝萱專訪
第36屆金曲獎星光大道
第36屆金曲獎得獎圖輯
NMIXX林口體育館粉絲演唱會
KISS OF LIFE台北演唱會
林芯儀專訪
GYUBIN大巨蛋開球
陳謙文專訪
孫麥傑專訪
今日頭條
1
寧夏夜市這家店中鏢!1圖看黑心豬腸賣哪
2
徐榛蔚搶在賴清德面前鏟土 網酸:別演了
3
無照猴載妹跑山釀悲劇!後座嗨喊:加速啦
4
川普:哈瑪斯若不交出加薩 將被徹底消滅
5
中秋10禁忌曝!命理師警告:4生肖恐沖煞
6
2特遣隊入山10天 堰塞湖現場灰白如末日
7
7旬翁醫院墜樓亡 院方證實曝死者身份
8
爆開房NBA球星 小A辣包下豪宅揪男模野戰
9
東亞防線納台韓?美國防戰略報告將出爐
10
花蓮夫妻失蹤13天 女兒灑綠油精淚喚父母
HOT焦點
更多
美安共同創辦人新書登台 分享勇氣與韌性
桃園文學館開幕 推動閱讀文化與舊城再生
中秋連假買彩券 一張大樂透雙重中獎機會
頻道推薦
直播✦活動
三立新聞網
為了提供更好的閱讀內容,我們使用相關網站技術來改善使用者體驗,也尊重用戶的隱私權,特別提出聲明。
了解最新隱私權聲明
知道了