APP下載
活動
爆料
圖輯
AI爆報
追蹤新聞
3
台灣彩券開獎直播中
三立iNEWS新聞台線上直播
LIVE三立+24小時直播
即時
高金遭搜索
高市早苗大勝
新聞
熱門
政治
社會
娛樂
生活
新奇
健康
國際
兩岸
運動
財經
房產
旅遊
科技
汽車
遊戲
ESG
影音
總覽
政論
節目
熱搜
直播
iNEWS
專題
總覽
特企
專頁
大事件
彩券
專欄
民調
快訊
他因女兒這1句心軟 晚年差點流落街頭
02:00
泰國校園爆槍擊!校長身亡 18歲槍手遭逮
01:46
台股金蛇擺尾 蛇年創13項新高紀錄
01:42
去年平均經常性薪資47884元 漲幅26年最大
01:38
台股休市大家等方向 費半成焦點它變共識
01:33
44歲男醉鬧超商 拿茶葉蛋狂砸女顧客受傷
01:27
男買下476張刮刮樂!驚人結局出爐
01:24
逢甲老店爆食安問題 客吃麵「筍絲發綠」
01:21
發出690萬元!科技董座回饋枋山發放紅包
01:17
外資523億爆買台股 狂掃它近6萬張鎖漲停
01:16
誰通風報信?羅智強搶先曝光高金素梅遭搜
01:12
獨/掃除意外!7旬嬤洗外牆墜遮雨棚昏迷
01:08
元月最強績效全揭曉 前5強飆15%起跳!
01:02
台積電領軍創歷史新高 首見33千金盛世
01:00
苗博雅爆《世紀血案》劇本:替警總洗白
00:53
此字現代人取名很少用!金庸卻用成經典
00:50
長照悲歌有解方 先把自己「愛回來」
00:46
半導體建廠沒退燒 聖暉*1月營收寫新紀錄
00:45
國民黨也提軍購?傳「這天」提版本
00:34
卡洛爾鉤狀骨骨折動刀 退出經典賽美國隊
00:09
台灣彩券開獎直播中
20:31
iROO廣告標示案、股權交易案 雙獲無罪
18:00
換新車過年!車商優惠大戰開打拚年前買氣
13:00
過年送禮補元氣還不夠 顧肌力是健康關鍵
12:00
不靠濾鏡靠真心!人氣直播主上線擄獲人心
12:00
首頁
關鍵字
風場
風場
台廠綠能助攻+1 海能發電紀錄
海能風力發電股份有限公司(Formosa 2 Win...
2025/11/25 21:42
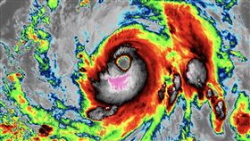
樺加沙明累積雨量將破1000mm 這區恐有災
今年第18號強烈颱風樺加沙,今(23)日2時的中心位...
2025/09/23 07:58
東海岸風場引反彈 經濟部表態了!
針對媒體近日報導「台亞風能規劃於東海岸開發三處陸域風...
2025/09/08 13:47
國壽出手!豪砸533億收購離岸風場50%股權
沃旭能源今(11)日宣布與國泰人壽保險股份有限公司簽...
2024/12/11 19:33
杜蘇芮眼牆正輾金澎!1圖曝「超大風場」
今年第5號颱風「杜蘇芮(DOKSURI)」颱風路徑偏...
2023/07/28 09:02
北基桃「猛吹10級強陣風」 專家示警1事
杜蘇芮颱風來臨,全台不少民眾都已逐漸體會到颱風帶來的...
2023/07/27 04:31
西部當心!杜蘇芮達1條件恐翻越中央山脈
杜蘇芮颱風來臨,全台不少民眾都已逐漸體會到颱風帶來的...
2023/07/26 06:11
專家示警「杜蘇芮最強核心」將掃過1地區
杜蘇芮颱風來臨,全台不少民眾都已逐漸體會到颱風帶來的...
2023/07/26 04:57
杜蘇芮外圍雨帶超兇!6地區逐漸進入搖滾
杜蘇芮颱風來臨,全台不少民眾都已逐漸體會到颱風帶來的...
2023/07/26 04:46
杜蘇芮高清臉照曝!颱風眼「清晰無眼屎」
杜蘇芮來勢洶洶,全台不少民眾都紛紛為了防颱做足準備。...
2023/07/25 04:28
杜蘇芮今晨「風場開始擴大」!4地區當心
中颱杜蘇芮來勢洶洶,全台不少民眾都紛紛為了防颱做足準...
2023/07/24 05:45
二階首座海能離岸風電啟用 蔡英文比讚
國內離岸風電第二階段潛力場址首座完工的風場「海能風電...
2023/05/16 15:53
百人彩繪風機進駐 「花在彰化」2/5登場
超過一百雙大手小手將五彩顏料、專心揮灑在自己的白色海...
2023/01/29 16:57
李鴻源批建風機成本差很大 協會2點回擊
前內政部長李鴻源上節目聲稱,自己發現台灣裝設一支風機...
2022/12/26 17:42
貨輪沉沒12人失蹤 3天前才在高雄出事
鑫順一號水泥專用船因主機故障,昨(10/31)下午3...
2022/11/01 08:53
鯨豚觀察員招募中 「不暈船者」優先
當賞鯨成為工作,觀察記錄就變成了義務!中部外海是離岸...
2022/02/24 15:19
雲林風場工程徵這行業 邊賞鯨邊賺錢
賞鯨豚還有錢賺!雲林海域將施工打樁建造離岸風機,為確...
2022/02/24 10:22
沃旭能源參與台中就業博覽會招募人才
全球最永續的能源企業沃旭能源將於9月4日參與台中就業...
2021/09/03 16:00
巴威S型繞過台灣 網笑:破不了結界
中央氣象局昨日晚間11時30分解除今年第8號颱風「巴...
2020/08/23 08:46
中鋼與CIP立中能 落實風場國產化
中鋼公司與哥本哈根基礎建設基金成立的中能發電公司今天...
2020/02/06 17:13
最新圖輯
更多
羅志祥30周年演唱會
凱琳專訪
黃鐙輝、吳念軒、黃騰浩專訪
第62屆金馬獎得獎後台
第62屆金馬獎紅毯
劉書宏專訪
袁澧林、陳孝萱專訪
第36屆金曲獎星光大道
第36屆金曲獎得獎圖輯
NMIXX林口體育館粉絲演唱會
今日頭條
1
高金素梅案關鍵人!張俊傑遭收押禁見
2
逆向上國3!男遭來車輾成碎片慘死
3
殺警女判死3大理由:手段殘暴、毫無悔意
4
越獄狂魔徐開喜落網!高院作證竟變通緝犯
5
美通過《保護台灣法案》林佳龍發聲感謝
6
李四川宣布參戰新北市長 侯友宜表態了
7
23歲雙胞胎遭輾1死1重傷 大哥直擊淚崩
8
美國會聽證會:中國對「台灣邦交國」出手
9
6縣市低溫冷到週四早上!全台回暖時機曝
10
台積電領軍創歷史新高 首見33千金盛世
HOT焦點
更多
過年送禮補元氣還不夠 顧肌力是健康關鍵
iROO廣告標示案、股權交易案 雙獲無罪
換新車過年!車商優惠大戰開打拚年前買氣
頻道推薦
直播✦活動
三立新聞網
為了提供更好的閱讀內容,我們使用相關網站技術來改善使用者體驗,也尊重用戶的隱私權,特別提出聲明。
了解最新隱私權聲明
知道了