APP下載
活動
爆料
圖輯
AI爆報
追蹤新聞
4
女毒蟲開車撞死派出所長
台灣彩券開獎直播中
三立iNEWS新聞台線上直播
LIVE三立+24小時直播
即時
高金遭搜索
高市早苗大勝
新聞
熱門
政治
社會
娛樂
生活
新奇
健康
國際
兩岸
運動
財經
房產
旅遊
科技
汽車
遊戲
ESG
影音
總覽
政論
節目
熱搜
直播
iNEWS
專題
總覽
特企
專頁
大事件
彩券
專欄
民調
快訊
味全龍合作LG雙子 推應援曲、啦啦隊交流
15:44
吃膩年菜?過年期間披薩、印度料理訂單爆
15:44
李宣榕認身體出事 半個月劇痛連躺平都難
15:42
新/李四川宣布:二月底請辭台北市副市長
15:41
田秋堇自責沒救到雙胞胎:她們可能想叫我
15:40
高市早苗大勝 賴清德盼朝野從中理解一事
15:39
誰選新北市長?林金結:最晚15日報告人選
15:37
攬客出奇招!超商推味噌湯機、現烤披薩
15:37
加國洋裝女校園喋血槍擊 至少10死、27傷
15:34
找三溫暖老闆嗆聲 他對空連開3槍再自首
15:30
肉攤「地上分裝」豬內臟!民眾直擊憂食安
15:28
歐巴降臨!柳演錫3月來台50粉絲親眼見證
15:27
男星驚傳驟逝享年39歲 葬禮時間點曝光了
15:26
小煜尾牙抽到6千!加碼翻倍送出超大金額
15:25
高金素梅送北檢後突掛急診 7小時後離開
15:25
新/傲嬌鳥開金口!他聽暗示「中大獎」
15:23
布蘭妮賣歌套現!狠賺63億
15:23
白營願放行院版軍購條例 綠:盼說到做到
15:22
韋蘭德回鍋老虎 卡諾獅回憶共事所見訓練
15:22
彰化幼園主任涉貪!超收學費私吞遭聲押
15:20
台灣彩券開獎直播中
20:31
女毒蟲開車撞死派出所長
15:25
換新車過年!車商優惠大戰開打拚年前買氣
13:00
過年送禮補元氣還不夠 顧肌力是健康關鍵
12:00
台灣隊指定「壯大人萃滴精」勇闖世界之巔
15:00
彰化市產業大升級!合新中正一綻機能完整
12:00
寒冬送暖!吳昇翰攜手會計師公會發物資
11:00
不靠濾鏡靠真心!人氣直播主上線擄獲人心
12:00
北市「來台北有購嗨」消費200元抽千萬
12:00
首頁
關鍵字
颱風位置
颱風位置
直擊/北北基桃沒颱風假 超市生鮮也搶光
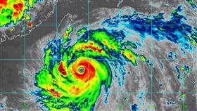
中度颱風山陀兒持續增強當中,高雄、台東、屏東都列入警...
2024/09/30 23:18
凱米漸遠離「又有颱風」?可能撲台時間曝
輕颱凱米侵襲台灣,根據中央氣象署今(26)日4時觀測...
2024/07/26 05:21
東部淪「豪雨第一排」 1圖看3天雨彈熱區
杜蘇芮颱風,目前在鵝鑾鼻的東南方約 380公里之海面...
2023/07/25 23:16
杜蘇芮陸上警戒區納台東 留意11級強陣風
中央氣象局已對杜蘇芮颱風發布陸上警報,目前在鵝鑾鼻的...
2023/07/25 18:13
午後狂下到明凌晨 四大雨彈熱區曝光
中颱「璨樹」目前中心位置在宜蘭東南東方80公里海面上...
2021/09/12 12:39
最新圖輯
更多
羅志祥30周年演唱會
凱琳專訪
黃鐙輝、吳念軒、黃騰浩專訪
第62屆金馬獎得獎後台
第62屆金馬獎紅毯
劉書宏專訪
袁澧林、陳孝萱專訪
第36屆金曲獎星光大道
第36屆金曲獎得獎圖輯
NMIXX林口體育館粉絲演唱會
今日頭條
1
新/李四川宣布:二月底請辭台北市副市長
2
藍白注意!賴清德最新民調曝光
3
藍白不同調!國民黨拒1.25兆軍購條例付委
4
男星驚傳驟逝享年39歲 葬禮時間點曝光了
5
找三溫暖老闆嗆聲 他對空連開3槍再自首
6
新/涉犯組織、洗錢 四海幫主張存偉遭逮
7
高金政治生命倒數?她爆潰敗序曲:剉著等
8
田秋堇自責沒救到雙胞胎:她們可能想叫我
9
秀出契約!蔣萬安宣布:台北就是輝達的家
10
鄭麗文喊「接受身為中國人」 民調打臉
HOT焦點
更多
台灣隊指定「壯大人萃滴精」勇闖世界之巔
桃園護國宮限量「三大聖品」搶先曝!
何志偉掃年貨大街 商家民眾熱情互動拍照
頻道推薦
直播✦活動
三立新聞網
為了提供更好的閱讀內容,我們使用相關網站技術來改善使用者體驗,也尊重用戶的隱私權,特別提出聲明。
了解最新隱私權聲明
知道了