APP下載
活動
爆料
圖輯
阿立導讀
追蹤新聞
5
許維恩抗癌後現身做公益
法院表決檢察總長人事同意權
台灣彩券開獎直播中
三立iNEWS新聞台線上直播
LIVE三立+24小時直播
即時
賴突破中國打壓
台北爆鼠患
新聞
熱門
政治
社會
娛樂
生活
新奇
健康
國際
兩岸
運動
財經
房產
旅遊
科技
汽車
遊戲
ESG永續
影音
總覽
政論
節目
熱搜
直播
iNEWS
專題
總覽
特企
專頁
大事件
彩券
專欄
民調
快訊
銀行假官網長超像 內行揭辨別方法
14:36
新/越南3萬例!腸病毒進好發季 高峰期曝
14:35
老鼠聽懂人話?大咖網紅揭實例:牠們很聰明
14:33
謝國樑染B流急住院!名醫揭「致命關鍵」
14:26
遇醉漢騷擾摸腰 女星親授反制鹹豬手神招
14:25
卓揆勉國際技能國手:走向國際被世界看見
14:25
霸佔捷運廁所狂拍門 惡婦還罵女站長畜生
14:25
吳家牛舌餅宅配要等1年↑!內行推1招免排
14:23
新/死亡率40%!1月大男嬰、30歲男染流腦
14:14
林逸欣悲痛幫亡父辦理除戶!一句話惹鼻酸
14:12
追客「給我道歉」網5星支持 驚人業績曝
14:07
買鞋殺價20元遭拒 報警悍婦竟是電眼主播
14:07
LINE旅遊串接華航 LINE POINTS 1.5%回饋
14:07
韓國瑜明再協商軍購!藍黨團大會無結論
14:06
李四川遭控小琉球農地違建 綠委說話了
14:05
11歲爆紅 練習生傳死訊2024年就輕生
14:05
《六人行》主演群 至今每年爽領6億分紅
14:04
張菲辣媳街頭遇鼠驚魂!阿伯1句變正能量
13:55
收盤/大盤閃崩4萬險失守 台積電跌25元
13:53
謝國樑罹流感未癒!病情加重入院榮總治療
13:52
台灣彩券開獎直播中
20:31
法院表決檢察總長人事同意權
09:30
許維恩抗癌後現身做公益
13:30
逸硯空間設計年營收破3億 拚上市再掀話題
13:00
益生菌吃心酸?醫師點破「盲買迷思」
12:00
寵妻魔人用這台 幫老婆被動運動紓壓
14:00
裝潢資訊不透明引爭議 AI試算工具成趨勢
13:00
輝葉AI追夢椅精準按摩 小三都甘敗下風
20:00
遶境挑戰行動力!天地合補提供靈活補給
19:00
友華生技「愛斯康」成信眾最強健康後盾
12:00
高壓焦慮引發掉髮 醫師:及早介入可改善
16:00
落枕救星「PP石墨烯智能調節記憶枕」
15:00
年度電競盛事熱血回歸!即日起開放報名
19:00
花蓮復康免費搭乘 身障就醫行動無礙
12:00
台灣大哥大出優惠方案 實現Apple生態圈
12:00
首頁
關鍵字
軒嵐諾
軒嵐諾
連續兩年「9/3有颱風」 苦主崩潰曝衰運
海葵颱風來勢洶洶,雨勢越晚越猛烈。近日一名網友發文抱...
2023/09/03 17:36
梅花逼近!他估雨勢:不會少於軒嵐諾
今年的第12號颱風「梅花」目前強度已升至中颱,台灣在...
2022/09/11 08:58
軒嵐諾侵襲韓國 增至10死亡2失蹤
軒嵐諾颱風前兩日侵襲韓國,帶來狂風巨浪和豪雨,南部海...
2022/09/07 20:16
軒嵐諾過境 重創南韓釀10死2失聯
被南韓媒體稱為「史上最強」的強颱「軒嵐諾」,昨(6)...
2022/09/07 16:56
軒嵐諾重創南韓 7住戶移車慘遭滅頂
軒嵐諾颱風6日過境南韓,重創濟州島、慶尚南北道、浦項...
2022/09/07 14:55
颱風過境後海象差 漁船擱淺卡岸邊
颱風過境後,海象還是比較不穩定,就有海巡署人員發現花...
2022/09/07 11:52
軒嵐諾侵韓 傳土石流停電災情1失蹤
軒嵐諾颱風登陸南韓今晨為當地帶來土石流、停電等,目前...
2022/09/06 13:49
軒嵐諾影響 日九州逾百國內航班取消
今年第11號颱風軒嵐諾目前正通過日本九州地方北方海面...
2022/09/06 12:24
強颱軒嵐諾登陸南韓 釜山大浪淹馬路
颱風軒嵐諾在今(6)日南韓當地時間凌晨4點50分登陸...
2022/09/06 10:37
又有颱風?「梅花」估盛開路徑揭曉
中秋佳節將至,天氣狀況如何?氣象局表示,各地多雲到晴...
2022/09/06 09:35
想戶外烤肉賞月?曝中秋3天連假天氣
最新(6日2時)中央氣象局「路徑潛勢預圖」顯示,中颱...
2022/09/06 07:56
軒嵐諾襲台「農損183萬」1物最慘
受軒嵐諾颱風影響,豪雨和大雨造成部分地區農業災情,據...
2022/09/05 19:48
軒嵐諾狂風大雨 浙江疏散逾31萬人
颱風軒嵐諾持續影響中國多個沿海省市,並造成程度不一的...
2022/09/05 14:54
北韓洩洪 未回應南韓提前通報要求
強颱軒嵐諾北上接近朝鮮半島,南韓軍方表示,掌握到北韓...
2022/09/05 13:35
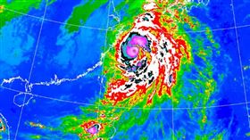
還好沒來台灣!軒嵐諾壯觀高清照曝光
強颱「軒嵐諾」帶來豐沛雨量,目前已遠離台灣,將影響日...
2022/09/05 12:47
軒嵐諾逼近韓國 濟州發布颱風警報
隨著今年第11號颱風軒嵐諾緩慢北上,韓國濟州氣象廳今...
2022/09/05 11:41
颱風天撐傘⋯他曝「悲劇1秒」網笑翻
今年的第11號颱風軒嵐諾一度逼近台灣,給各地區帶來強...
2022/09/05 08:46
軒嵐諾超長尾巴照曝 南部差點芭比Q
今年第11號「軒嵐諾」颱風為台灣帶來大量水氣後逐漸遠...
2022/09/05 08:08
賞月機會高?吳德榮曝中秋連假天氣
最新(5日2時)中央氣象局「路徑潛勢預圖」顯示,強颱...
2022/09/05 08:08
全台1村、1國小停班課 懶人包秒懂
強颱「軒嵐諾」漸遠離台灣,中央氣象局4日上午11點解...
2022/09/05 06:02
下豪雨!他爽抓「原住民和牛」喊美味
受到颱風「軒嵐諾」影響,全台各地陸續出現豪大雨,除了...
2022/09/04 21:09
共軍無畏軒嵐諾 3架共機越海峽中線
軒嵐諾颱風漸遠離,共軍仍一直頻繁擾台!國防部今(4)...
2022/09/04 20:29
「軒嵐諾」遠離 20:30解除海警
「軒嵐諾」颱風逐漸向北遠離台灣,中央氣象局已於上午1...
2022/09/04 20:22
軒嵐諾補水3.5億噸 2水庫受惠大
颱風軒嵐諾為北台灣帶來顯著雨量,經濟部水利署指出,近...
2022/09/04 19:43
1980年後首見 軒嵐諾警報期頻變
氣象局今日表示,強颱軒嵐諾持續北移,大台北、北部山區...
2022/09/04 19:40
颱風遠離!侯友宜貢寮視察送警消大禮
軒嵐諾颱風對北台灣地區帶來強風豪雨,新北市瑞芳、平溪...
2022/09/04 19:35
軒嵐諾災情!台電:全台停電近6萬戶
軒嵐諾颱風襲台,台電指出,截至今(4)日下午6時,全...
2022/09/04 18:48
軒嵐諾餘威!全台5日停班停課一次看
軒嵐諾颱風雖逐漸遠離,不過仍對台灣部分地區造成影響,...
2022/09/04 18:48
颱風夜車內打瞌睡 台中2警被記申誡
颱風軒嵐諾侵襲台灣,4日凌晨2時許,台中下起滂沱大雨...
2022/09/04 18:11
一圖看未來7日天氣 太陽露臉時間曝
明天就是週一了,大家都相當關心未來一週的天氣狀況。對...
2022/09/04 17:44
最新圖輯
更多
茉ひるMahiru專訪
簡莉紋專訪
大霈專訪
劉冠廷專訪
林予晞、王真琳專訪
李雪、陳昱廷專訪
初孟軒、鍾岳軒專訪
龍千玉與翁立友領豪記唱片群星拜年
Rain鄭智薰小巨蛋演唱會
金在中演唱會
今日頭條
1
未婚夫「胸掛對戒」送詠心 告別全文惹淚
2
王鴻薇控鼠患是綠造假 苗博雅1句打臉了
3
阿聯遭狂射15枚飛彈 石油港口秒陷火海
4
林逸欣悲痛幫亡父辦理除戶!一句話惹鼻酸
5
新/案發8天⋯女警出殯前等到女大生下跪
6
追客「給我道歉」網5星支持 驚人業績曝
7
新/死亡率40%!1月大男嬰、30歲男染流腦
8
遭5校退貨考上成大 他參選學生會長表現曝
9
韓國瑜明再協商軍購!藍黨團大會無結論
10
新/爆鼠患!蔣萬安16時開鼠害防治記者會
HOT焦點
更多
年度電競盛事熱血回歸!即日起開放報名
台灣大哥大出優惠方案 實現Apple生態圈
逸硯空間設計年營收破3億 拚上市再掀話題
頻道推薦
直播✦活動
三立新聞網
為了提供更好的閱讀內容,我們使用相關網站技術來改善使用者體驗,也尊重用戶的隱私權,特別提出聲明。
了解最新隱私權聲明
知道了