APP下載
活動
爆料
圖輯
AI爆報
追蹤新聞
4
蔣萬安赴議會專案報告
台灣彩券開獎直播中
三立iNEWS新聞台線上直播
LIVE三立+24小時直播
即時
黃明志捲命案
非洲豬瘟侵台
新聞
熱門
政治
社會
娛樂
生活
新奇
健康
國際
兩岸
運動
財經
房產
旅遊
科技
汽車
遊戲
ESG
影音
總覽
政論
節目
熱搜
直播
iNEWS
專題
總覽
特企
專頁
大事件
彩券
專欄
民調
快訊
網紅爆粿粿內幕遭威脅?女友130字急發聲
11:43
薛仕凌閃兵《女外科》再換角?電視台回應
11:42
領浪貓下一秒變心!喪心飼主害牠爆頭慘死
11:41
康橋帶學生爬合歡山!違法搭帳篷遭開罰
11:40
他喊普發1萬吃爆台豬 全場讚爆:內行的
11:40
普發一萬今開跑 2小時已有20萬人登記
11:38
全民領一萬 普發現金首日湧入20萬人登記
11:37
轟大全聯!重返選舉起手式?高嘉瑜全說了
11:37
黃立成又爆倉 帳戶餘額、心聲曝光
11:35
單親媽慘被騙光救命錢!她繳不出房租被趕
11:34
王子聲明落落長!「白話文版本」律師也讚
11:32
謝侑芯與黃明志開房猝死 酒店爆退房潮
11:32
AI歌手首度進告示牌 簽下數百萬唱片合約
11:31
這樣也能賺/科技廠工地考古賺很大
11:27
黃明志屢邀派對 網紅爆內幕:死的可能是我
11:27
梁文傑被點名台北市長黑馬?吳怡農回應了
11:26
不知廚餘機壞半年!中市府組稽查小組究責
11:25
太子集團擁11豪宅26名車 檢警揭洗錢手法
11:23
民調/民進黨曝「近6成民眾」支持年改
11:22
冬盟中職2隊名單曝 中信、台鋼各派14人
11:20
台灣彩券開獎直播中
20:31
蔣萬安赴議會專案報告
08:30
2025TCCF創意內容大會 南港展覽館開幕
08:00
搶票網路太慢?三款神器推薦趁雙11入手
17:30
旨味入魂!康寶【鮮味職人】雙口味全上市
17:00
2025高球長春公開賽 泰籍托馬倫衛冕冠軍
13:00
現代飲食必備!Prepara多元產品進軍全球
12:00
桃園市政府推動影像教育!
11:00
桃園城市影像培力坊 深化學員影像創作力
13:00
松山奉天宮主題曲!金曲歌王許富凱開唱
12:00
侯昌明 「桂格完膳」響應世界糖尿病日!
11:00
首頁
關鍵字
解除警報時間
解除警報時間
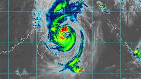
梅花颱風龜行 最快週二下午解除海警
「梅花」颱風12日晚間中心位置在台北東方約250公里...
2022/09/12 20:40
最新圖輯
更多
劉書宏專訪
袁澧林、陳孝萱專訪
第36屆金曲獎星光大道
第36屆金曲獎得獎圖輯
NMIXX林口體育館粉絲演唱會
KISS OF LIFE台北演唱會
林芯儀專訪
GYUBIN大巨蛋開球
陳謙文專訪
孫麥傑專訪
今日頭條
1
普發一萬今開跑 2小時已有20萬人登記
2
民調/民進黨曝「近6成民眾」支持年改
3
演藝圈閃兵還有未爆彈?劉世芳說話了
4
快訊/不畏川普 民主黨新星曼達尼勝選
5
沒當民代就選市長?吳怡農拿蔡英文當例子
6
小心普發1萬登記失敗!犯13錯誤恐全充公
7
AI估準鳳凰鬼轉北上路徑曝 最快這天撲台
8
全支付慘爆「盜刷潮」官方急發4點聲明
9
太子集團招待所設101!內部裝潢超級豪奢
10
黃明志涉謀殺謝侑芯 律師揭引渡來台關鍵
HOT焦點
更多
搶票網路太慢?三款神器推薦趁雙11入手
現代飲食必備!Prepara多元產品進軍全球
桃園市政府推動影像教育!
頻道推薦
直播✦活動
三立新聞網
為了提供更好的閱讀內容,我們使用相關網站技術來改善使用者體驗,也尊重用戶的隱私權,特別提出聲明。
了解最新隱私權聲明
知道了