APP下載
活動
爆料
圖輯
AI爆報
追蹤新聞
3
台灣彩券開獎直播中
三立iNEWS新聞台線上直播
LIVE三立+24小時直播
即時
非洲豬瘟侵台
輝達進駐台北
新聞
熱門
政治
社會
娛樂
生活
新奇
健康
國際
兩岸
運動
財經
房產
旅遊
科技
汽車
遊戲
ESG
影音
總覽
政論
節目
熱搜
直播
iNEWS
專題
總覽
特企
專頁
大事件
彩券
專欄
民調
快訊
台肥酬庸吳音寧?學者曝北農事件:仇女…
08:48
王子粿粿代言爆不倫 大立美:已結束合作
08:45
YTR鐵牛妻又有喜 曬超音波:兒要當哥哥
08:40
她不菸不喘不咳!1症狀慘得肺癌:嚇死人
08:35
吳怡農能贏蔣萬安?她曝這難題大讚有勇氣
08:31
粿粿公審范姜彥豐 律師:法庭上絕對不利
08:25
新/女騎士上班車禍命危!尪:她沒騎快車
08:24
粿粿影片最大亮點是這!律師預言公關操作
08:21
又1擾動接力最快這天成颱 預估路徑曝光
08:06
淋浴門卡滿水垢!1天然神物 洗完變亮晶晶
08:04
范姜反擊粿粿!出軌時間有詭…律師揪疑點
08:00
鄭能讓國民黨從羊變獅?前藍委揭關鍵考驗
07:49
吳音寧接台肥董事長遭藍白圍攻 她曝原因
07:49
「這種睡姿」最能排除大腦廢物、防失智
07:46
在台定居須棄中國護照!網:取消依親健保
07:36
粿粿家人PO文疑買網軍 律師酸:幾個家人
07:27
桃園機場發「600元消費券」 領取資格曝
07:25
山本賽前又熱身了? 羅伯茲:他G7想登板
07:10
高市早苗見台灣APEC特使 1句讓中共暴怒
07:05
金音獎完整得獎名單出爐 最大贏家是她
07:00
台灣彩券開獎直播中
20:31
台灣大日月潭花火音樂會吸3.5萬人齊聚
22:00
外送專法受矚 三大平台籲政府加強溝通
14:00
有酷澎WOW會員 毛孩照顧更輕鬆
11:00
維生素B群功效與補充全解析!
14:00
日本熱銷4億包!糖脂對策 隨餐1包纖維粉
12:00
酷澎雙11狂購祭 美國保健品限時五折
11:00
八里國際化成形!港灣特區陸海空黃金三角
11:00
13聖杯!桃園護國宮爐主淚:太子爺早暗示
19:40
首頁
關鍵字
5級
5級
今日7震!專家示警:對當地勢必造成破壞
根據中央氣象署資料顯示,今(30)日至今發生7起地震...
2025/01/30 11:18
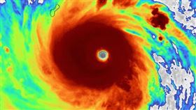
瑪娃已升4級熱帶氣旋 估5級巔峰穿越關島
今年第2號颱風「瑪娃」目前位在暖水區,已達中颱上限且...
2023/05/23 17:46
最新圖輯
更多
劉書宏專訪
袁澧林、陳孝萱專訪
第36屆金曲獎星光大道
第36屆金曲獎得獎圖輯
NMIXX林口體育館粉絲演唱會
KISS OF LIFE台北演唱會
林芯儀專訪
GYUBIN大巨蛋開球
陳謙文專訪
孫麥傑專訪
今日頭條
1
高市早苗見台灣APEC特使 1句讓中共暴怒
2
王子粿粿代言爆不倫 大立美:已結束合作
3
吳音寧接台肥董事長遭藍白圍攻 她曝原因
4
鄭能讓國民黨從羊變獅?前藍委揭關鍵考驗
5
粿粿影片最大亮點是這!律師預言公關操作
6
又1擾動接力最快這天成颱 預估路徑曝光
7
在台定居須棄中國護照!網:取消依親健保
8
吳怡農表態選台北市長 周玉蔻再推這1人
9
巴黎羅浮宮竊案 法檢方再控2新嫌犯涉案
10
台股/週線大漲701點 這族群卻重摔近5%
HOT焦點
更多
轉大人文化節 提倡全齡健康管理從小做起
酷澎雙11狂購祭 美國保健品限時五折
八里國際化成形!港灣特區陸海空黃金三角
頻道推薦
直播✦活動
三立新聞網
為了提供更好的閱讀內容,我們使用相關網站技術來改善使用者體驗,也尊重用戶的隱私權,特別提出聲明。
了解最新隱私權聲明
知道了