APP下載
活動
爆料
圖輯
阿立導讀
追蹤新聞
3
台灣彩券開獎直播中
三立iNEWS新聞台線上直播
LIVE三立+24小時直播
即時
賴突破中國打壓
台北爆鼠患
新聞
熱門
政治
社會
娛樂
生活
新奇
健康
國際
兩岸
運動
財經
房產
旅遊
科技
汽車
遊戲
ESG永續
影音
總覽
政論
節目
熱搜
直播
iNEWS
專題
總覽
特企
專頁
大事件
彩券
專欄
民調
快訊
徐若熙慘遭打線洗禮!愛妻霸氣護夫
20:31
耳朵驚見「1條線」!恐是失智、心梗前兆
20:30
女星嫁導演尪7年 自爆收入低年年領退稅
20:26
徐春鶯可能被「註銷身份」!林俊憲這麼說
20:21
高國豪妻告侵害配偶權 聯盟不輕易判死刑
20:17
死薪水也能滾出千萬!上班族必看這十招
20:13
韓職場邊正妹美到像AI 球迷揭可怕真相
20:10
歸隊恰逢兄弟低潮 7年元老德保拉吐心聲
20:06
最惡毒手段!詐團「合法吃房子」全身而退
19:59
愛爾麗偷拍案!設備商遭拘提影像疑被滅證
19:57
超甲組倒光!超哥燒千萬開鐵板燒爆不幹了
19:57
不倫渣男樣貌激變 共演醜聞女惹議
19:54
新/基隆漁工摔倒撞到頭墜海!OHCA搶救中
19:48
24歲男猛刺17歲女頸部亡!路人營救也遭砍
19:44
北市滅鼠奇招!荷爾蒙藥絕育 環境部回應
19:43
花蓮刑大大隊長涉洩密遭搜索 10萬元交保
19:43
平野出手喚醒兄弟打線 嘆教5年進步有限
19:41
國一自撞護欄待援 特斯拉再被聯結車追尾
19:37
女中國玩高空滑索「沒拴緊墜落」旁人狂笑
19:35
芳苑農會總幹事猝逝 享年46歲
19:35
台灣彩券開獎直播中
20:31
逸硯空間設計年營收破3億 拚上市再掀話題
13:00
益生菌吃心酸?醫師點破「盲買迷思」
12:00
寵妻魔人用這台 幫老婆被動運動紓壓
14:00
裝潢資訊不透明引爭議 AI試算工具成趨勢
13:00
輝葉AI追夢椅精準按摩 小三都甘敗下風
20:00
遶境挑戰行動力!天地合補提供靈活補給
19:00
友華生技「愛斯康」成信眾最強健康後盾
12:00
高壓焦慮引發掉髮 醫師:及早介入可改善
16:00
落枕救星「PP石墨烯智能調節記憶枕」
15:00
年度電競盛事熱血回歸!即日起開放報名
19:00
花蓮復康免費搭乘 身障就醫行動無礙
12:00
台灣大哥大出優惠方案 實現Apple生態圈
12:00
首頁
關鍵字
卡努颱風路徑
卡努颱風路徑
卡努颱風來!台東蘭嶼宣布:12時起停班課
中颱「卡努(KHANUN)」暴風逐漸逼近台灣。對此,...
2023/08/03 11:29
北北基宜放颱風假 「8地」近停班課標準
中颱「卡努(KHANUN)」暴風圈逐間逼近台灣,氣象...
2023/08/03 10:02
「北北基宜」有望週休4日?颱風假機率曝
中央氣象局已對中颱「卡努(KHANUN)」發布海陸警...
2023/08/03 07:55
卡努來「想放颱風假嗎?」鄉民反應太真實
氣象局今(2)日表示,最快17:30針對「卡努(KH...
2023/08/02 14:58
北北基桃會宣布颱風假?新北副市長回應了
中颱「卡努(KHANUN)」緩慢移動,逐漸逼近北台灣...
2023/08/02 12:21
備戰卡努這遊樂區16時休園 封閉地區一覽
中央氣象局指出,受到卡努(KHANUN)颱風外圍環流...
2023/08/02 11:18
卡努快到北部有望放颱風假?專家曝1關鍵
中央氣象局表示,最快在今(2)日17時30分,會針對...
2023/08/02 10:49
中颱卡努大迴轉 風力有機會達停班課標準
中颱卡努(KHANUN)路徑持續變動,昨(1)晚氣象...
2023/08/02 08:49
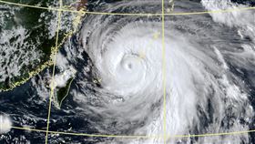
一圖看卡努現況 鄭明典:有長命颱風條件
中颱卡努(KHANUN)路徑持續受到關注,昨(1)晚...
2023/08/02 08:40
卡努續增強!吳德榮揭影響台灣時間點
最新(30日2時)中央氣象局「路徑潛勢預測圖」顯示,...
2023/07/30 07:15
「卡努」持續增強中 未來一週天氣出爐
第6號颱風「卡努(KHANUN)」是否會對台灣造成影...
2023/07/29 23:06
卡努颱風體型偏大!一圖看「2可能走法」
氣象粉專「台灣颱風論壇|天氣特急」今(29)日下午貼...
2023/07/29 17:12
「卡努」恐影響台灣?彭啟明:別操之過急
第6號颱風「卡努(KHANUN)」生成後,許多人都很...
2023/07/29 17:06
「卡努」有機會放颱風假?氣象局回應了
中央氣象局預估,今年第6號颱風「卡努(KHANUN)...
2023/07/29 16:42
卡努最新路徑曝光!「這天」起影響台灣
29日2時中央氣象局路徑潛勢預測圖顯示,第6號輕颱「...
2023/07/29 08:10
2縣市防雨!卡努將轉中颱「海警機率」曝
根據中央氣象局觀測,杜蘇芮減為輕度颱風,今(29)日...
2023/07/29 05:42
最新圖輯
更多
茉ひるMahiru專訪
簡莉紋專訪
大霈專訪
劉冠廷專訪
林予晞、王真琳專訪
李雪、陳昱廷專訪
初孟軒、鍾岳軒專訪
龍千玉與翁立友領豪記唱片群星拜年
Rain鄭智薰小巨蛋演唱會
金在中演唱會
今日頭條
1
再放一次煙火!史王為賴清德重走重要典禮
2
高雄桶仔雞老店爆食物中毒!9人上吐下瀉
3
土城修車廠火警!20車灌救3人送醫
4
毒駕狂飆奪2命!BMW男破頭「氣腦」觀察中
5
花蓮刑大大隊長涉洩密遭搜索 10萬元交保
6
北市里長批李四川昔1政策:成為鼠疫溫床
7
川普想再拚連任?脫口:9年後才離開白宮
8
民調/新北藍白合後...近七成小草轉投藍
9
女大生靈堂前下跪 家屬答禮「全面迴避」
10
謝國樑B流住北榮!院長「一句話」曝玄機
HOT焦點
更多
逸硯空間設計年營收破3億 拚上市再掀話題
115全障運5月登場 亮哲號召網路傳聖火
首座雙側捷運開發 三峽站打造共構生活圈
頻道推薦
直播✦活動
三立新聞網
為了提供更好的閱讀內容,我們使用相關網站技術來改善使用者體驗,也尊重用戶的隱私權,特別提出聲明。
了解最新隱私權聲明
知道了