APP下載
活動
爆料
圖輯
AI爆報
追蹤新聞
3
台灣彩券開獎直播中
三立iNEWS新聞台線上直播
LIVE三立+24小時直播
即時
高金遭搜索
台美關稅定案
新聞
熱門
政治
社會
娛樂
生活
新奇
健康
國際
兩岸
運動
財經
房產
旅遊
科技
汽車
遊戲
ESG
影音
總覽
政論
節目
熱搜
直播
iNEWS
專題
總覽
特企
專頁
大事件
彩券
專欄
民調
快訊
《中華一番》把主角畫死 最新劇情網看傻
07:23
2026馬年7大開運神招!專家曝家中聚財位
07:19
孫協志婚紗照被嫌醜!攝影師同事爆氣回嗆
07:06
公寓或大樓?兩派戰翻!他1句話點醒眾人
07:01
走春來臺北! 賞花泡湯、祈福看展一次看
07:00
紅包千萬不能全花光!除夕招財3大秘招曝
07:00
除夕夜「守歲」竟是為了幫父母「借時間」
07:00
捷運出口超貼心服務 眾人秒懂:必定出事過
06:58
獨/試準度:把槍口朝國小掃射…家長嚇壞
06:46
除夕午變天轉濕涼下探8℃ !回暖時間曝光
06:43
過年哪個習俗該廢?網點名「它」最該消失
06:35
川普:和平理事會將宣布50億美元重建加薩
06:26
7旬翁落海撈上岸「肢體僵硬」魂斷小年夜
06:23
賈永婕驚覺誤解「鄭南榕真相」 5萬人讚
06:13
海漂23天小年夜回家了…靠1物認出女教練
06:07
除夕國道9地雷路段曝!這時間南下較不塞
05:25
除夕禁忌、開運全攻略!4吉時洗澡除厄運
05:20
強拉少女坐大腿?補教名師無罪理由曝
02:20
找女同學嘿咻後求交往 他遭拒散布半裸照
01:57
女14萬做黃金美甲 網笑等剪甲時去掃金粉
01:46
台灣彩券開獎直播中
20:31
台彩春節加碼12億元創新高
12:00
大樂透加碼480組100萬元
12:00
大樂透加碼800組10萬元
12:00
WE ARE我們的除夕夜 跨世代卡司陪觀眾
11:00
星城Online攜手《戲說台灣》拍創意單元劇
12:00
MY管管尾牙熱鬧登場 主打福利吸新戰力!
17:45
土城永福岩祖師廟擲筊賽 首獎祭百萬現金
14:50
春節最佳去處!桃園龍德宮成網美打卡點
13:00
以高回饋機制協助家庭資金更有效率運用
16:00
暗黑風格吸血鬼遊戲新作3/11上市!
12:00
幸福企業!愛妮雅集團成員工最強後盾
12:00
永旭保經留才 調整制度拚長期發展
11:30
首頁
關鍵字
閃電訊號
閃電訊號
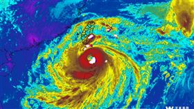
南北全閃電訊號!南山炸冰雹台7甲恐封路
今(27)日午後西半部地區及東半部山區有局部短暫雷陣...
2025/06/27 17:30
密集閃電訊號曝 2縣市防長時間劇烈風雨
中度颱風「山陀兒」將侵襲台灣,中央氣象署今(30)晨...
2024/09/30 15:09
最新圖輯
更多
Rain鄭智薰小巨蛋演唱會
金在中演唱會
羅志祥30周年演唱會
凱琳專訪
黃鐙輝、吳念軒、黃騰浩專訪
第62屆金馬獎得獎後台
第62屆金馬獎紅毯
劉書宏專訪
袁澧林、陳孝萱專訪
第36屆金曲獎星光大道
今日頭條
1
除夕禁忌、開運全攻略!4吉時洗澡除厄運
2
海漂23天小年夜回家了…靠1物認出女教練
3
賈永婕驚覺誤解「鄭南榕真相」 5萬人讚
4
除夕國道9地雷路段曝!這時間南下較不塞
5
獨/試準度:把槍口朝國小掃射…家長嚇壞
6
除夕午變天轉濕涼下探8℃ !回暖時間曝光
7
7旬翁落海撈上岸「肢體僵硬」魂斷小年夜
8
為變壯打11針!女變陰陽人長出「小黃瓜」
9
台積電成籌碼?傳台美晶片關稅這時揭曉
10
除夕到初五開運招財全攻略 做對旺整年
HOT焦點
更多
春節最佳去處!桃園龍德宮成網美打卡點
以高回饋機制協助家庭資金更有效率運用
幸福企業!愛妮雅集團成員工最強後盾
頻道推薦
直播✦活動
三立新聞網
為了提供更好的閱讀內容,我們使用相關網站技術來改善使用者體驗,也尊重用戶的隱私權,特別提出聲明。
了解最新隱私權聲明
知道了