APP下載
活動
爆料
圖輯
AI爆報
追蹤新聞
3
台灣彩券開獎直播中
三立iNEWS新聞台線上直播
LIVE三立+24小時直播
即時
共軍圍台軍演
曹西平猝逝
新聞
熱門
政治
社會
娛樂
生活
新奇
健康
國際
兩岸
運動
財經
房產
旅遊
科技
汽車
遊戲
ESG
影音
總覽
政論
節目
熱搜
直播
iNEWS
專題
總覽
特企
專頁
大事件
彩券
專欄
民調
快訊
范冰冰Threads嗨吻金馬獎 微博直接消失
07:20
北台灣整天寒冷探7度 首波寒流估下週到
07:11
殭屍工廠是什麼?中國晶片揭密!
07:06
黃仁勳這天抵台!「老地方」辦兆元尾牙宴
07:04
中製EUV突破了?荷蘭大廠狠打臉
06:50
胡振東曝中犯台美軍不登島原因!他揪端倪
06:48
瑞士酒吧派對爆炸40死115傷!當局說話了
06:45
鐵皮狂燒、伴呼救聲!她困深處…命喪火窟
06:45
駐法代表處元旦升旗 她:台法關係大躍升
06:38
台東被讚最頂跨年!網敲碗重播 縣長發聲
06:31
張惠妹跨年被讚爆!大合照網笑:烈酒女團
06:30
財政部發錢了 領取辦法一次看!
06:23
雨刷洗錢祕辛!送兒女保時捷、倫敦豪宅曝
06:23
8縣市低溫特報急凍10℃以下 最冷時段曝
06:17
林俊傑現蹤台北市!豪車接送「準天王嫂」
06:16
光明燈別亂點!5大禁忌 做錯恐保佑別人
06:05
遭酸沒資格評黃國昌健身 四叉貓1句嗆爆
06:02
中客退票潮後去哪?雪國平替方案曝光!
05:58
新/年輕男女火災受困…發現她已明顯死亡
05:58
聯準會降息路徑不確定 台股開盤拚攻29K
05:58
台灣彩券開獎直播中
20:31
賴瑞隆冠軍之路包場活動 見證台灣隊勝利
20:00
林岱樺「三大有感政策」點亮高雄夜空
20:30
求職者高度關注企業指標 酷澎脫穎而出
18:00
林岱樺返鳳山起家厝憶亡父!守護高雄未來
15:30
林岱樺三山造勢 「市民最大咖」時代來臨
11:00
立院將協商外送專法 聚焦最低報酬、疊單
20:00
淡水運動中心 全臺首座高爾夫戶外推桿場
17:30
林岱樺憶亡父林三郎 誓守護贏回高雄尊嚴
15:30
業界首創!醒吾三立影視學院進攝影棚拍攝
12:00
大巨蛋帶動樹林房價助攻房市升溫
12:00
讀者投書/「林岱樺模式」撼動高雄?
18:00
白沙屯媽祖香火迎回新北!
13:35
支持者自發前往 車廂人潮成另類造勢畫面
10:30
綠營初選激烈 林岱樺鳳山造勢大會登場
22:00
首頁
關鍵字
黑洞眼
黑洞眼
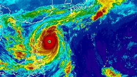
康芮颱風「黑洞眼」超兇!狂風襲菲律賓
康芮颱風今(30)日早上增強為強烈颱風,持續靠近台灣...
2024/10/30 15:37
最新圖輯
更多
羅志祥30周年演唱會
凱琳專訪
黃鐙輝、吳念軒、黃騰浩專訪
第62屆金馬獎得獎後台
第62屆金馬獎紅毯
劉書宏專訪
袁澧林、陳孝萱專訪
第36屆金曲獎星光大道
第36屆金曲獎得獎圖輯
NMIXX林口體育館粉絲演唱會
今日頭條
1
中軍演 美國務院:停止對台施加軍事壓力
2
瑞士酒吧派對爆炸40死115傷!當局說話了
3
中共殲-20飛到台灣屏東?王定宇怒打臉
4
鐵皮狂燒、伴呼救聲!她困深處…命喪火窟
5
中國外交部嗆「不值一評」 尷尬表情曝光
6
8縣市低溫特報急凍10℃以下 最冷時段曝
7
王夢麟酒駕「險心臟麻痺」 女兒發聲痛斥
8
《功夫》港星病逝!享壽69歲 妻證實噩耗
9
A-Lin「那魯one」洗腦!網朝聖驚原唱是他
10
石平禁入中卻能來台?中共戰狼被問到當機
HOT焦點
更多
魏如萱嗨翻台中跨年夜!全場氣氛爆表
林岱樺「三大有感政策」點亮高雄夜空
求職者高度關注企業指標 酷澎脫穎而出
頻道推薦
直播✦活動
三立新聞網
為了提供更好的閱讀內容,我們使用相關網站技術來改善使用者體驗,也尊重用戶的隱私權,特別提出聲明。
了解最新隱私權聲明
知道了