APP下載
活動
爆料
圖輯
阿立導讀
追蹤新聞
3
台灣彩券開獎直播中
三立iNEWS新聞台線上直播
LIVE三立+24小時直播
即時
白沙屯進香
美伊停火
新聞
熱門
政治
社會
娛樂
生活
新奇
健康
國際
兩岸
運動
財經
房產
旅遊
科技
汽車
遊戲
ESG
影音
總覽
政論
節目
熱搜
直播
iNEWS
專題
總覽
特企
專頁
大事件
彩券
專欄
民調
快訊
愛荷華大學深夜驚傳槍擊!現場一片混亂
20:41
新/毆警撞斷隊長鼻樑 幫派男收押
20:40
傳奇女優引退17年復出 聽到家人這句哭了
20:39
快腿跑回致勝分 高聖恩曝休賽季特別訓練
20:32
回收車迴轉害癱瘓!男獲國賠1287萬
20:23
舒淇奪金像獎新晉導演獎 全身黑上台領獎
20:18
對戰打擊率破5成 陳文杰敲超前安不居功
20:14
世新女籃逆轉文化 延長賽收UBA隊史第6冠
20:14
66歲胡瓜怎麼了?出外景挑戰突喊:忘記了
20:13
74歲洪金寶金像獎現身 「消風」驚呆眾人
20:11
百萬網紅產後20天 突掀衣露肚洩真實身材
20:09
天龍國最頂生活圈?天母VS民生社區
20:08
「這寺廟」清粥小菜 顏清標也超愛
20:03
J.Sheon唱一半出事了 背部遭火花噴射
20:02
鈴木駿輔首秀7局失1分 悍將退獅奪2連勝
20:02
水利署駁翡管局:水力發電依法不徵耗水費
20:02
「世界最長蛇」頻出沒高雄!這條溪最多
19:55
男帶1物入境新加坡判死!當局證實已處決
19:49
三立新聞遭冒名變造!聲明追究法律責任
19:47
獨/開箱買到獨耳熊 抱怨文竟歪樓暖炸了
19:46
台灣彩券開獎直播中
20:31
面試找到歸屬感 李唐成為中信傑出經紀人
12:00
五月雪美不勝收 桃園桐花祭13處賞桐秘境
21:00
台灣狼現身白沙屯進香!送出限量結緣商品
18:00
護理師變房仲菁英 中信房屋黃盺妮勇跨界
12:00
酷澎跨境入手BP聯名 還有PS5星空
11:00
首頁
關鍵字
長浪
長浪
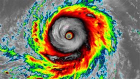
沿海注意!台東、蘭嶼見「破4公尺大浪」
中央氣象署於今(23)日14時05分發布長浪即時訊息...
2024/10/23 14:38
輕颱葡萄桑外圍雲系發威 南部晚上當心了
氣象署表示,今(19)日在颱風葡萄桑外圍雲系影響下,...
2024/09/19 13:11
海葵影響花東「6地區警戒」至少3米長浪
氣象局今(2)日11:30正式針對「海葵」發布陸上颱...
2023/09/02 14:00
中颱海葵估登陸宜花 這3天風雨最劇
今年第11號颱風海葵路徑南修,直撲台灣的趨勢愈來愈明...
2023/09/01 10:38
颱風外圍環流影響 蘭嶼綠島出現3米長浪
中度颱風「杜蘇芮」朝台灣步步進逼,中心位置在鵝鑾鼻東...
2023/07/25 09:58
中颱杜蘇芮襲台 台東出現1.9米長浪
中颱「杜蘇芮」今天(24日)凌晨2時的中心位置約在鵝...
2023/07/24 08:48
情侶七星潭玩命觀浪…險被長浪吞噬拖入海
受中度颱風「瑪娃」外流環流影響,花東岸邊頻繁出現長浪...
2023/05/30 12:27
中颱瑪娃範圍仍大且強 明2縣市慎防大雨
「瑪娃」颱風昨(28)日午後減弱為中度颱風,颱風眼不...
2023/05/29 07:55
「長浪」會殺人!專家:5地點最容易出事
今年第二號颱風瑪娃持續朝台灣東南方海面進逼,沿海開始...
2023/05/28 20:50
瑪娃榮登「5月最強颱」 氣象局急示警1事
今年第二號颱風瑪娃(MAWAR),強度已升為強颱。對...
2023/05/26 11:06
陽光、沙灘…瘋狗浪!?氣象局發預警了
中央氣象局表示,今明(3、4日)台灣各地及外島大多為...
2023/04/03 16:36
鄭明典:南瑪都為超大型颱風
氣象局長鄭明典今(18)日表示,強颱南瑪都結構接近典...
2022/09/18 09:12
軒嵐諾逼近 蔡英文:請國人注意安全
氣象局今(2)日指出,「軒嵐諾」受到地形影響減弱為中...
2022/09/02 12:45
國家警報響!大雷雨襲花東列淹水警戒
第18號颱風「圓規」目前位於廣東海面向西進行,逐漸遠...
2021/10/13 07:11
屏東風勢增強 船帆石現1米8長浪
璨樹颱風緊逼,暴風圈已籠罩台灣各地區,今(12)日風...
2021/09/12 09:06
璨樹北上籠罩全台 花蓮掀3米長浪
璨樹颱風延著台灣東部外海北上,雖然減弱成中颱,仍然對...
2021/09/12 08:30
雲嘉淹水警戒 盧碧這天恐海陸警齊發
第9號颱風「盧碧」外圍環流影響及對流雲系發展旺盛,中...
2021/08/06 08:20
烟花颱風雨彈開炸!侯友宜提這事警告
中度颱風烟花持續增強且朝台灣逼近,中央氣象局今(22...
2021/07/22 11:43
烟花明後天影響最劇 掌握10天天氣
內政部政務次長陳宗彥稍早也在臉書發文提醒,烟花颱風將...
2021/07/22 09:49
3縣市防雨彈!入冬最強冷空氣提早了
受東北季風影響,氣象局針對北北基發布大雨特報,桃園以...
2020/12/10 13:33
5縣市防雨彈 氣象局揭「最冷時間」
今(29)日受東北季風影響,北部較涼冷。中央氣象局表...
2020/11/29 11:16
東北風亂海象 綠島蘭嶼停航2天
受到颱風外圍環流和東北風南下影響,台東沿海已經出現長...
2020/11/02 17:28
新/東北季風來亂!8日台東船班全停
台灣近日受到東北季風影響、海象不佳,為了安全起見,航...
2020/10/07 16:20
他遭瘋狗浪捲入海昏迷中 家屬難接受
宜蘭頭城鎮大溪漁港凸提燈塔7日上午10時左右,突然掀...
2020/09/08 16:07
「靠近會被捲到海上!」 專家早示警
宜蘭頭城大溪漁港燈塔處,今天7日上午10時左右有10...
2020/09/07 17:21
明起慎防局部大雨 周日天氣才好轉
受到低壓帶影響,今(3)日西半部、東北部都有陣雨或雷...
2020/09/03 15:41
米塔15級風!基隆宜蘭驚現5米長浪
米塔颱風來襲,預估最高風速達15級,各地風雨也越來越...
2019/09/30 14:58
米塔進逼首當其衝!綠島掀5公尺大浪
米塔颱風進逼,東部首當其衝,市區已經有店家緊急撤招牌...
2019/09/30 11:02
利奇馬強襲浙江!70萬人急撤離
利奇馬颱風雖然對台灣沒有造成太大災情,但是在昨(10...
2019/08/11 11:06
丹娜絲颱風來襲!屏東適逢大潮掀長浪
颱風丹娜絲來襲,中央氣象局預計今天上午11時30分發...
2019/07/17 15:01
最新圖輯
更多
劉冠廷專訪
林予晞、王真琳專訪
李雪、陳昱廷專訪
初孟軒、鍾岳軒專訪
龍千玉與翁立友領豪記唱片群星拜年
Rain鄭智薰小巨蛋演唱會
金在中演唱會
羅志祥30周年演唱會
凱琳專訪
黃鐙輝、吳念軒、黃騰浩專訪
今日頭條
1
舒淇奪金像獎新晉導演獎 全身黑上台領獎
2
74歲洪金寶金像獎現身 「消風」驚呆眾人
3
衝進場內罵總教練 夢想家球迷被禁止入場
4
世新女籃逆轉文化 延長賽收UBA隊史第6冠
5
台電難同意翡翠水庫加收耗水費!蔣這樣回
6
傳馬不滿「丟臉丟到習近平那」蕭旭岑回應
7
川普遭爆私下超焦慮 曾罵幕僚數小時
8
李貞秀:以後我死了,最終歸處也會在台灣
9
李四川稱當選新北才解塞車 綠議員說話了
10
爆求見日本政要被打槍 柯文哲回應了
HOT焦點
更多
關稅衝擊台灣產業 勞動部穩定就業市場
護理師變房仲菁英 中信房屋黃盺妮勇跨界
台灣狼現身白沙屯進香!送出限量結緣商品
頻道推薦
直播✦活動
三立新聞網
為了提供更好的閱讀內容,我們使用相關網站技術來改善使用者體驗,也尊重用戶的隱私權,特別提出聲明。
了解最新隱私權聲明
知道了