APP下載
活動
爆料
圖輯
AI爆報
追蹤新聞
4
【J4葛瑞絲滑上車】
台灣彩券開獎直播中
三立iNEWS新聞台線上直播
LIVE三立+24小時直播
即時
袁惟仁逝世
富豪淫魔揭密
新聞
熱門
政治
社會
娛樂
生活
新奇
健康
國際
兩岸
運動
財經
房產
旅遊
科技
汽車
遊戲
ESG
影音
總覽
政論
節目
熱搜
直播
iNEWS
專題
總覽
特企
專頁
大事件
彩券
專欄
民調
快訊
竹聯幫大老「鬼見愁」驟逝 林志穎發聲了
19:01
喝提神飲料拒酒測挨罰 士林分署助戒酒
19:00
AI扭轉手機市場?童子賢喻「老樹發新芽」
18:59
艾普斯坦檔案控比爾蓋茲染性病 前妻發聲
18:54
王滬寧喊「九二共識」 陸委會嗆爆了
18:53
吳宗憲嘉賓點名周杰倫 自信機率9成以上
18:51
8K全景空拍機Antigravity A1登台 功能曝
18:45
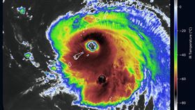
「西望洋」颱風最快明生成 週六全台急凍
18:41
悍將9年6次墊底 後藤喊今年不讓球迷傷心
18:38
中國恢復上海客赴金馬遊 陸委會回應了
18:37
毛茸茸巨貓現身全家 員工出入口變貓門?
18:28
血管變氣管?台大醫揭「軟骨再生」之謎
18:27
22歲澳女命喪日滑雪場 「致命關鍵」曝光
18:22
單純偷拍兒少性影像 不重罰7年以上重刑
18:19
一審遭判7年10月 陳怡君今完成初選登記
18:18
碩士面試Google卡關凍1年!人資反應驚人
18:16
恭喜最美營養師懷孕了 出國激曬超辣孕肚
18:13
艾普斯坦遺產分配曝!六分之一全給「她」
18:13
新/足療師隨機殺人2傷 殺人未遂聲押
18:06
陸30歲男上廁所突猝死!3因素成奪命關鍵
18:03
台灣彩券開獎直播中
20:31
【J4葛瑞絲滑上車】
17:40
愛閃耀iShine千人尾牙!宣告前進中東市場
18:00
線上補貨依賴度高 酷澎強化清潔品牌合作
17:00
鎂光燈「嬌」點!SHUHUA分享日常保養秘訣
12:00
主動ETF最速傳說-專家點出00991A爆紅關鍵
12:00
首頁
關鍵字
宮崎
宮崎
日本櫻島火山清晨噴發 鹿兒島宮崎發警報
日本九州櫻島火山(Sakurajima)今天清晨噴發...
2025/11/16 18:23
日本九州深夜突然地震「規模6.0」
近日,日本南海海槽地震隱憂,才引發各界關心,不料今(...
2025/04/02 22:41
日本高校驚傳被滲透:全校竟9成是中國人
中共大外宣不斷,不僅是對於台灣的主權造成威脅,對於鄰...
2025/02/23 21:10
2週前「預言地震」成真 專家再示警1事
本月21日凌晨嘉義大埔發生規模6.4強震,事件造成嚴...
2025/01/22 04:55
日本6.9強震!學者:這場的餘震、勿驚慌
去(2024)年日本宮崎縣外海曾發生規模7.1的強震...
2025/01/14 15:08
日6.9強震!「南海海槽地震」會議結果曝
日本宮崎縣在當地時間13日9時19分(台灣時間8時1...
2025/01/14 09:24
日本宮崎強震 發布南海海槽地震臨時情報
日本時間今晚9時19分(台灣時間8時19分)於日本宮...
2025/01/13 22:28
海嘯陸續抵達 日氣象廳:快遠離岸邊
今(13)日稍早,日本時間晚上9時19分發生規模6....
2025/01/13 21:51
日本大雨釀土石流!車輛被沖走…2人失聯
日本宮崎縣部分地區昨天降下破紀錄大雨,僅約一天的累積...
2024/10/23 13:45
滑行道異常反應非未爆彈宮崎機場恢復起降
日本宮崎機場滑行道10月2日發生未爆彈爆炸意外後,官...
2024/10/20 13:35
好險!宮崎機場滑行道爆炸前4架飛機通過
日本宮崎機場昨天因為美製未爆彈爆炸,滑行道被炸出一個...
2024/10/03 14:41
宮崎機場疑未爆彈爆炸 戰時是舊海軍機場
日本宮崎機場今天上午8時左右發生滑行道爆炸塌陷意外,...
2024/10/02 12:21
10點開搶 虎航桃園-宮崎機票1799元起
台灣虎航宣布11月26日正式開航桃園-宮崎航線,為慶...
2024/09/19 09:13
虎航再增日本航點 11月開航桃園-宮崎
台灣虎航今年迎來開航10週年,今(18)日宣布再新增...
2024/09/18 10:12
珊珊威力太強!九州罕見出現「龍捲風」
昨(29)日,珊珊颱(日本稱:颱風10號)侵襲日本,...
2024/08/29 00:43
日本宮崎7.1強震!九州、四國災情恐擴大
日本地牛大翻身,九州宮崎縣外海今(8)日在台灣時間下...
2024/08/08 20:13
陳冠宇戰軟銀2局失1分 教頭古久保不滿意
中職樂天桃猿隊24日在日本宮崎交流賽以4:11不敵日...
2024/02/24 18:02
山川穗高轉軟銀首轟出球場 苦主是陳克羿
樂天桃猿24日在宮崎和軟銀鷹打交流賽,第2任投手陳克...
2024/02/24 17:52
賴鴻誠、陳禹勳離隊 曾仁和本季改調牛棚
中職樂天桃猿隊24日將與日職軟銀鷹隊打交流賽,去年較...
2024/02/23 17:54
陳冠宇本季重返先發 交流賽拿軟銀試身手
中職樂天桃猿隊23日抵達日本宮崎,明天將與日職軟銀鷹...
2024/02/23 17:45
20度的嘉義到10度的宮崎 樂天怕雨神同行
中職樂天桃猿23日抵達日本宮崎,將在後2天與日職隊伍...
2024/02/23 16:19
樂天桃猿公佈宮崎遠征25人名單 林立領軍
樂天桃猿今年春訓兵分兩路前往日本進行交流賽,其中以二...
2024/02/15 15:48
2月1日日職春訓開跑 沖繩與宮崎滿滿人潮
2024年球季日本職棒各隊春訓在1日同時正式展開,其...
2024/02/01 21:20
樂天桃猿明年春訓兵分兩路赴日進行交流賽
明年春訓,樂天桃猿將兵分兩路,前往日本進行交流賽。繼...
2023/12/25 16:43
發揚客家文化 新竹縣府包機飛宮崎交流
為宣揚竹縣在地客家文化、點亮疫後觀光,新竹縣政府今(...
2023/04/25 17:47
日本隊宮崎集訓 兩天3萬7962人進場
日本媒體《日刊SPORTS》19日報導,2023年世...
2023/02/19 14:11
吳念庭首練先看球 他是台灣隊一壘選項
WBC台灣隊16日下午在斗六球場與味全龍打練習賽,西...
2023/02/16 13:41
堅持日本隊集訓 達比修個人專機抵達宮崎
日本媒體《日刊SPORTS》報導,2023年世界棒球...
2023/02/15 16:56
日向灘地震!位南海海槽地震假想區內
日本九州宮崎縣外海日向灘今日凌晨發生規模6.6地震,...
2022/01/22 12:58
日本單日確診6千人 春訓開放2萬人
日本媒體《日刊SPORTS》11日報導,新種冠狀病毒...
2022/01/11 17:56
最新圖輯
更多
羅志祥30周年演唱會
凱琳專訪
黃鐙輝、吳念軒、黃騰浩專訪
第62屆金馬獎得獎後台
第62屆金馬獎紅毯
劉書宏專訪
袁澧林、陳孝萱專訪
第36屆金曲獎星光大道
第36屆金曲獎得獎圖輯
NMIXX林口體育館粉絲演唱會
今日頭條
1
王滬寧喊「九二共識」 陸委會嗆爆了
2
「西望洋」颱風最快明生成 週六全台急凍
3
辜仲諒經典賽聲請出境 法官:一定打很好
4
裸女屍…破雨棚!失聯男友「曝生前對話」
5
馬如龍49歲兒猝逝 檢警相驗「死因曝光」
6
11~12月發票中獎清冊曝 僅花11元中千萬
7
李貞秀國籍爭議 綠議員嘆:怎捍衛國家?
8
CNN追問艾普斯坦案 川普怒罵:最糟糕記者
9
收盤/逆轉黑翻紅 低軌衛星雙雄鎖漲停
10
星宇航空正式插旗歐洲!8月1日首航布拉格
HOT焦點
更多
網友大推「這款」四層衛生紙:還不買爆
光耀科前董座涉掏空 遭檢調搜索偵辦
馬年添財氣!永豐銀贈發財水、春聯迎新春
頻道推薦
直播✦活動
三立新聞網
為了提供更好的閱讀內容,我們使用相關網站技術來改善使用者體驗,也尊重用戶的隱私權,特別提出聲明。
了解最新隱私權聲明
知道了