APP下載
活動
爆料
圖輯
AI爆報
追蹤新聞
4
尹錫悅涉內亂案 今一審宣判
台灣彩券開獎直播中
三立iNEWS新聞台線上直播
LIVE三立+24小時直播
即時
陳光復重摔昏迷
高金遭搜索
新聞
熱門
政治
社會
娛樂
生活
新奇
健康
國際
兩岸
運動
財經
房產
旅遊
科技
汽車
遊戲
ESG
影音
總覽
政論
節目
熱搜
直播
iNEWS
專題
總覽
特企
專頁
大事件
彩券
專欄
民調
快訊
君民團結抗美!丹麥國王親訪格陵蘭力挺
18:26
加州州長選戰 共和黨籍前福斯主播領先
18:21
房務爆4設備幾乎不洗 飯店同業認:不敢用
18:15
秘魯10年換8總統 左翼議員臨危受命掌權
18:14
獨家/許紫柔每週哭一次 媽1話讓她淚崩
18:10
為初四迎財日做準備 12生肖金錢運搶先看
18:05
加州滑雪團8死1失蹤 美45年來最致命雪崩
18:05
台南某宮廟委員春節聚賭 警逮32人送辦
18:01
周杰倫愛徒過年惹怒長輩 認:想躲回房間
18:01
初四扔窮、迎財神 五時段拜對供品發大財
18:00
SUV也能帥到犯規 這台Urus氣場全開
18:00
湖北爆竹店舖爆炸釀12死 中國派督導調查
17:59
AI衝擊新聞恐流量蒸發 影音為生存關鍵
17:52
啦啦隊女神過年餐廳「零偽裝」當工讀生
17:42
吊車大王千鈔狂發!外甥女下跪甜喊:皇上
17:40
《摩登大聖》男星陳屍住家 法醫揭死因
17:40
日本花滑雙人組互動引熱議 2人親揭真相
17:38
總統新竹北埔發福袋!民眾擠爆老街迎接
17:35
金正恩秀核彈火箭!劍指南韓:求神也難救
17:31
這縣市騎車免安全帽?居民認:有戴是外地人
17:27
台灣彩券開獎直播中
20:31
台彩春節加碼12億元創新高
12:00
大樂透加碼480組100萬元
12:00
大樂透加碼800組10萬元
12:00
尹錫悅涉內亂案 今一審宣判
14:00
初一金山財神廟湧人潮 聯名蛋捲禮盒喜氣
14:00
拜拜,其實很有台灣式幽默!
09:00
WE ARE我們的除夕夜 跨世代卡司陪觀眾
11:00
星城Online攜手《戲說台灣》拍創意單元劇
12:00
MY管管尾牙熱鬧登場 主打福利吸新戰力!
17:45
土城永福岩祖師廟擲筊賽 首獎祭百萬現金
14:50
春節最佳去處!桃園龍德宮成網美打卡點
13:00
以高回饋機制協助家庭資金更有效率運用
16:00
暗黑風格吸血鬼遊戲新作3/11上市!
12:00
幸福企業!愛妮雅集團成員工最強後盾
12:00
永旭保經留才 調整制度拚長期發展
11:30
首頁
關鍵字
陸警
陸警
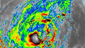
鳳凰殺到家門口 入秋最強冷空氣這天接力
鳳凰颱風已到家門口!中央氣象署表示,鳳凰颱風朝台灣前...
2025/11/12 18:07
鳳凰颱風登陸全台有雨!降雨熱區換這裡
鳳凰颱風預估在今(12)日晚間從恆春半島登陸台灣,氣...
2025/11/12 17:50
中部5縣市僅南投沒放假 許淑華曝關鍵原因
颱風鳳凰進逼,各縣市依據氣象署提供資訊發布停班課訊息...
2025/11/12 08:12
鳳凰暴風圈凌晨觸陸!4地區侵襲率飆100%
颱風鳳凰進逼,中央氣象署持續發布海上陸上颱風警報,氣...
2025/11/12 06:09
鳳凰轉彎!新北列降雨警戒 這時登陸屏東
鳳凰颱風逼近台灣,根據中央氣象署最新資料顯示,颱風過...
2025/11/12 05:45
新/鳳凰颱風逼近!陸警範圍擴大至6縣市
鳳凰颱風預計在明(12)日登陸台灣,中央氣象署稍早更...
2025/11/11 17:40
週三颱風假?風雨預測 16縣市停班課達標
根據中央氣象署最新資料顯示,第26號颱風鳳凰中心目前...
2025/11/11 09:05
鳳凰減弱為輕颱 陸警範圍擴大涵蓋4縣市
鳳凰颱風持續逼近台灣,中央氣象署今(11)日清晨5時...
2025/11/11 08:44
新北也入列!最新風雨預測「14縣市達標」
第26號中度颱風「鳳凰」持續逼近台灣,颱風外圍環流及...
2025/11/11 06:35
鳳凰陸警發布!路徑南修穿尾最新警戒區曝
鳳凰颱風來勢洶洶,中央氣象署在10日晚間發布海上颱風...
2025/11/11 05:46
鳳凰路徑罕重疊百年冬颱!3縣市登陸熱點
第26號中度颱風「鳳凰」持續逼近台灣,颱風外圍環流及...
2025/11/11 05:35
鳳凰轉穿台路徑!5地「暴風侵襲率飆98%」
第26號中度颱風「鳳凰」已經逐漸轉向東北、朝台灣移動...
2025/11/11 04:45
鳳凰減弱!估週二陸警「半個台灣紫爆」
今年第26號颱風鳳凰,目前強度為中度颱風,氣象署持續...
2025/11/10 23:59
鳳凰路徑閃過中央山脈 網哀:天佑台灣
鳳凰颱風今(10)日8時的中心位置在北緯17.0度,...
2025/11/10 12:27
鳳凰颱風「海、陸警時程」曝!越晚雨越大
鳳凰颱風今(10)日清晨通過菲律賓呂宋島,中心已進入...
2025/11/10 12:05
鳳凰颱風恐增強北上!粉專示警2地別輕忽
中度颱風「鳳凰」最快今(10)日傍晚發布海上颱風警報...
2025/11/10 11:36
鳳凰最新路徑曝 日氣象廳估這時登陸台灣
鳳凰颱風今(10)日8時的中心位置在北緯17.0度,...
2025/11/10 10:59
颱風假關鍵!鳳凰明發陸警 警戒範圍曝光
中度颱風「鳳凰」目前已通過呂宋島,正在南海重新整合,...
2025/11/10 09:05
放鳳凰颱風假?5縣市暴風圈侵襲機率破9成
鳳凰颱風今(10)日清晨已通過呂宋島陸地,持續向西北...
2025/11/10 08:10
北東雨開炸!鳳凰1原因「登陸位置難測」
據中央氣象署今(10)日凌晨2時觀測,鳳凰颱風中心位...
2025/11/10 05:34
鳳凰共伴發威6地恐成災!一圖看風雨時程
「鳳凰」颱風維持中度颱風上限強度,目前已通過呂宋島,...
2025/11/10 05:01
鳳凰颱風假?11縣市「侵襲機率飆破80%」
「鳳凰」颱風維持中度颱風上限強度,中央氣象署指出,預...
2025/11/10 04:12
鳳凰海警10日、11日陸警 北部宜花防雨
氣象署今天表示,預計明天午後發布颱風鳳凰海警,11日...
2025/11/09 21:23
鳳凰攔腰斷頭颱明恐海警!13日這縣市出海
第26號颱風「鳳凰」升格成中度颱風,未來有機會轉強颱...
2025/11/09 06:12
鳳凰拚強颱達巔峰!穿心颱這時暴風圈觸陸
鳳凰颱風升格成中度颱風,未來有機會轉強颱,過去6小時...
2025/11/09 05:13
鳳凰颱風假?2縣市「暴風侵襲率飆破7成」
鳳凰颱風升格成中度颱風,未來有機會轉強颱,中央氣象署...
2025/11/09 04:53
鳳凰將登陸 下週停班課?北市府回應了
中颱鳳凰持續增強,且路徑逼近台灣,根據中央氣象署最新...
2025/11/08 19:37
鳳凰颱風吞下菲律賓!面積是好幾個台灣
鳳凰颱風路徑逼近台灣,威力持續增強,氣象粉專「台灣台...
2025/11/08 17:31
下週颱風假有望?鳳凰暴風圈侵襲率曝光
鳳凰颱風來勢洶洶,目前已升格成中度颱風,未來有機會轉...
2025/11/08 15:56
中部恐首當其衝!鳳凰颱風海警陸警時程曝
鳳凰颱風在今(8)日清晨已增強為中度颱風,目前位於台...
2025/11/08 11:14
最新圖輯
更多
初孟軒、鍾岳軒專訪
龍千玉與翁立友領豪記唱片群星拜年
Rain鄭智薰小巨蛋演唱會
金在中演唱會
羅志祥30周年演唱會
凱琳專訪
黃鐙輝、吳念軒、黃騰浩專訪
第62屆金馬獎得獎後台
第62屆金馬獎紅毯
劉書宏專訪
今日頭條
1
陳光復昏迷…開顱!家屬再曝:最掛念的事
2
賴清德「請把我當作財神爺」:拿到賺大錢
3
尹錫悅判決出爐!一審遭判無期徒刑
4
台北20日恢復垃圾清運 丟大廢棄物得再等
5
過年「1習俗」公認該淘汰!做錯小心噴3萬
6
過年1行為助延壽!死亡風險降50%、防失智
7
美議員提一國一簽證 禁中國公民免簽入境
8
安芝儇爆緋聞後首露面!22日新北燈會現身
9
飛日本注意!搭機禁用行動電源 4月上路
10
昔「慘業」翻身成印鈔機!產值狠甩晶圓業
HOT焦點
更多
除夕WE ARE FLOW飆火影神曲與冰球共演
拜拜,其實很有台灣式幽默!
春節最佳去處!桃園龍德宮成網美打卡點
頻道推薦
直播✦活動
三立新聞網
為了提供更好的閱讀內容,我們使用相關網站技術來改善使用者體驗,也尊重用戶的隱私權,特別提出聲明。
了解最新隱私權聲明
知道了