APP下載
活動
爆料
圖輯
AI爆報
追蹤新聞
4
顧立雄赴立院報告並備質詢
台灣彩券開獎直播中
三立iNEWS新聞台線上直播
LIVE三立+24小時直播
即時
非洲豬瘟侵台
輝達進駐台北
新聞
熱門
政治
社會
娛樂
生活
新奇
健康
國際
兩岸
運動
財經
房產
旅遊
科技
汽車
遊戲
ESG
影音
總覽
政論
節目
熱搜
直播
iNEWS
專題
總覽
特企
專頁
大事件
彩券
專欄
民調
快訊
各縣市新任黨部主委出爐!「這4人」留任
11:10
中市府擅闖非洲豬瘟案場清消!綠轟盧負責
11:10
鄭麗文選2028?黃暐瀚揭藍這4人都有機會
11:03
獨家/粿粿婚內出軌風暴 前男友暖聲開口
11:01
吹哨壯膽!國安單位破解中共「文宣」促統
11:00
僅一通電話就消失…人妻新婚第2天就沒尪
11:00
藉台灣光復竄改歷史 官員:反獨促統升級
11:00
中共編話術洗腦 我官員曝「鍾台文」真相
11:00
中共懲戒沈伯洋 官員揭「治權覆蓋」真相
11:00
中國跨境鎮壓下一階段 我官員曝目標對象
11:00
黃明志捲網紅命案 486先生:不信會殺人
10:58
2026世界大賽奪冠賠率出爐 道奇最被看好
10:58
中市府擅清消豬瘟案場 綠黨團怒批盧秀燕
10:58
擅闖案例場消毒!中市副市長還原「指令」
10:56
小心詐騙1手法!她上當8次780萬慘被騙光
10:55
國小畢旅遊日5天5千 行程曝光達人給建議
10:54
川普:輝達Blackwell晶片「不給其他人」
10:48
陸水庫邊放生上千隻貓咪 貓嚇壞摔入水中
10:47
「這時間」吃早餐最健康!晚一點都短命
10:46
鄭麗文「中國人」惹議!蕭旭岑扯綠營操作
10:46
台灣彩券開獎直播中
20:31
顧立雄赴立院報告並備質詢
08:30
創意無極限!國中小生飆戲 宣傳節約能源
11:00
台灣大日月潭花火音樂會吸3.5萬人齊聚
22:00
外送專法受矚 三大平台籲政府加強溝通
14:00
有酷澎WOW會員 毛孩照顧更輕鬆
11:00
維生素B群功效與補充全解析!
14:00
日本熱銷4億包!糖脂對策 隨餐1包纖維粉
12:00
酷澎雙11狂購祭 美國保健品限時五折
11:00
八里國際化成形!港灣特區陸海空黃金三角
11:00
13聖杯!桃園護國宮爐主淚:太子爺早暗示
19:40
首頁
關鍵字
雲系
雲系
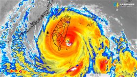
楊柳升級中颱!鄭明典曬圖曝:雲系將擴大
根據中央氣象署最新資料顯示,楊柳颱風暴風半徑有持續擴...
2025/08/11 22:45
週一全台溼答答「花東雨最大」趨緩時間曝
週一(21日)台灣受到颱風外圍雲系及低壓帶影響,容易...
2025/07/20 21:11
99W將進入南海!專家揭路徑、對台影響
不少人關注今年第一號颱風是否生成。對此,前中央氣象局...
2025/05/03 17:28
2地濕涼到週末!下週三冷空氣報到再變天
今天(18日)受到東北季風及颱風「萬宜」外圍中層雲系...
2024/11/18 21:45
氣象署圖揭一周天氣:北北基宜留意豪大雨
充滿東北季風的一週!中央氣象署官方粉專「報天氣 - ...
2024/11/17 17:16
「龍捲風夾殺」虐花蓮!他跪求...別過來
強颱康芮來勢洶洶,暴風圈逐漸籠罩全台,颱風中心還沒登...
2024/10/31 11:39
10/28 16:00 發布大雨特報
東北季風影響,今(28)日基隆北海岸、宜蘭山區、大臺...
2024/10/28 17:05
今起慎防劇烈天氣!午後雷雨恐加料冰雹
近期都高溫炎熱的天氣,民眾一定要注意補充水分,也順便...
2024/08/23 10:56
台海驚見弧狀雲線 西南部今晚將被影響
西南風影響台灣天氣,中南部及離島可能出現局部短暫陣雨...
2024/06/29 09:20
海葵眼牆南側大量閃電訊號!雲系包覆台灣
今年第11號颱風「海葵」3日8時的中心位置在北緯 2...
2023/09/03 13:23
曝南瑪都颱風雲系 鄭明典揭天氣變化
鄭明典透露,未來南瑪都以西北轉北方向移動之後,部分雲...
2022/09/15 18:03
大寒「強雨彈」 3波變天全台溼答答
1月20日是24節氣的大寒,是24節氣中最後一個節氣...
2022/01/21 00:10
明炎熱、紫外線強 午後降雨範圍擴大
今(27)日受到北部鋒面及太平洋高壓影響,上午天氣晴...
2017/06/27 22:40
冬衣準備!中部以北明清晨低溫18度
今(29)日天氣受到南方雲系北移影響,不過雨量不明顯...
2016/11/29 21:26
周五前天氣不穩 周日過後降雨趨緩
今日(17)最高溫34.9度出現在台中,各地午後都有...
2016/08/17 18:14
連假尾聲暖呼呼!部分地區將現零星雨
連假來到最後一天,微弱鋒面已通過,只剩下尾端雲系、水...
2016/04/05 08:27
北部地區仍濕冷 明日回溫有限
今(25)日大台北地區儘管氣溫仍低,但降雨已經減緩,...
2016/02/25 18:53
北台灣濕答答 沿海、空曠區嚴防強風
今(24)日強烈冷氣團發威,新屋清晨低溫僅11.7度...
2016/02/24 18:18
把握周日好天氣!下周白天不到20度
全台今(8)日水氣充足,加上受到東北季風影響,氣候濕...
2016/01/08 19:02
南部、外島濃霧重 能見度僅一百公尺
今(5)日西半部、外島金門地區皆出現大霧,金門地區能...
2016/01/05 09:35
最新圖輯
更多
劉書宏專訪
袁澧林、陳孝萱專訪
第36屆金曲獎星光大道
第36屆金曲獎得獎圖輯
NMIXX林口體育館粉絲演唱會
KISS OF LIFE台北演唱會
林芯儀專訪
GYUBIN大巨蛋開球
陳謙文專訪
孫麥傑專訪
今日頭條
1
中市府擅清消豬瘟案場 綠黨團怒批盧秀燕
2
謝侑芯遺體返台有變數 經紀人曝家屬心聲
3
豬瘟案場遭私自清消!醫推測「暗黑目的」
4
中國跨境鎮壓下一階段 我官員曝目標對象
5
小心詐騙1手法!她上當8次780萬慘被騙光
6
中國突發多張台灣清晰衛星照 美媒曝目的
7
謝侑芯陳屍浴缸 生前「1反常行徑」曝光
8
3張千萬發票還沒領!兌獎期限剩3天
9
喊普丁非獨裁者惹怒歐洲?鄭麗文這樣說
10
川普:輝達Blackwell晶片「不給其他人」
HOT焦點
更多
13聖杯!桃園護國宮爐主淚:太子爺早暗示
技嘉參與NVIDIA GeForce Gamer Festival
「西拉雅號」啟航 展現台灣海洋新篇章
頻道推薦
直播✦活動
三立新聞網
為了提供更好的閱讀內容,我們使用相關網站技術來改善使用者體驗,也尊重用戶的隱私權,特別提出聲明。
了解最新隱私權聲明
知道了