APP下載
活動
爆料
圖輯
阿立導讀
追蹤新聞
3
台灣彩券開獎直播中
三立iNEWS新聞台線上直播
LIVE三立+24小時直播
即時
川習強權交鋒
九合一點將
新聞
熱門
政治
社會
娛樂
生活
新奇
健康
國際
兩岸
運動
財經
房產
旅遊
科技
汽車
遊戲
ESG永續
影音
總覽
政論
節目
熱搜
直播
iNEWS
專題
總覽
特企
專頁
大事件
彩券
專欄
民調
快訊
天壇爆發激烈對峙!美特勤持槍遭中方攔阻
08:08
7-11「1隱藏功能」上路多年 客人讚:很快
08:07
台灣國寶感冒引發肺炎辭世!享壽80歲
08:05
溫嵐送加護病房搶命 中國巡演主辦發聲了
08:03
川普對習近平「已讀不回」 她曝台灣底牌
08:00
週末防強降雨!下週這4天熱爆高溫飆34度
07:55
海邊不是玩命 海域活動險這些事故都能賠
07:49
舉重金牌許淑淨懷孕了!曬絕美孕照喊3字
07:42
川普未定案對台軍售!曝要先跟那位談談
07:38
油價飆美股重挫 台股週一開盤恐續殺!
07:26
擎天崗野戰變打卡聖地 驚動保七總隊站崗
07:26
8歲童頭撐地倒立唱聖歌3分鐘 創世界紀錄
07:14
黃仁勳白跑一趟?美代表證實:沒談晶片
07:04
男星5度酒駕要女友幫滅證 檢方求判4年
07:04
鄭麗文戰趙少康、馬英九 他:內鬥檯面化
07:01
黃仁勳為何最後關頭訪中?他估得罪這群人
06:59
3縣市大雨!連暖10天下波梅雨鋒面時間曝
06:36
甜點品牌才出包 炎亞綸突認考慮退演藝圈
06:30
美女博士胸寫「清清白白」挺柯認:故意的
06:19
爽領納稅錢?他爆北一女護航區桂芝內幕
06:18
台灣彩券開獎直播中
20:31
重返三大豬病非疫國 跨域合作推產業升級
14:00
台中極限保值區純2房案搶進文心森林公園
12:00
晚期肝癌不受限 口服藥物穩定生活與療效
11:00
中華電信「數位創新應用系列賽」徵件開跑
18:00
愛妮雅攜手真善美 公益市集號召民眾傳愛
16:30
權力遊戲新作!重返維斯特洛奪王座
16:00
寵物用藥陷困境 藥廠與藥局:願當獸醫後盾
12:00
房價僅北士科半價 仁義重劃區預售屋剖析
09:00
首頁
關鍵字
南瑪都
南瑪都
鳳凰路徑罕重疊百年冬颱!3縣市登陸熱點
第26號中度颱風「鳳凰」持續逼近台灣,颱風外圍環流及...
2025/11/11 05:35
南瑪都襲日暴雨 至少2死豐田廠停工
颱風南瑪都今天為日本西部帶來狂風和創紀錄的雨量,已造...
2022/09/19 23:10
颱風南瑪都侵日本釀災 日相延後訪美
颱風南瑪都挾帶狂風豪雨重創日本西南部,引發土石流,數...
2022/09/19 17:38
日本最強等級 南瑪都強風堪比龍捲風
日媒將今年第14號颱風南瑪都稱為「史上最強等級」颱風...
2022/09/18 13:53
鄭明典:南瑪都為超大型颱風
氣象局長鄭明典今(18)日表示,強颱南瑪都結構接近典...
2022/09/18 09:12
南瑪都最新路徑曝光!今降雨熱區出爐
氣象局表示,今、明(18日、19日)兩天臺灣北部、東...
2022/09/18 06:53
南瑪都環流寬廣 2區防局部較大雨勢
強颱「南瑪都」今(17)日凌晨2時增強為強颱,目前朝...
2022/09/17 20:37
南瑪都是超級颱風!日專家:大又猛烈
文/中央社今年第14號颱風南瑪都已被美軍聯合颱風警報...
2022/09/17 20:16
下週涼空氣報到 北部22度早晚加衣
今年第14號颱風「南瑪都」朝日本方向行進,對台灣沒有...
2022/09/17 15:31
南瑪都恐今年最強颱 日將發特別警報
今年第14號颱風南瑪都可能直撲日本九州地方,由於中心...
2022/09/17 14:29
南瑪都變強颱!未來一週甩雨情況曝
「南瑪都」颱風今(17)日增強為強颱!天氣風險公司分...
2022/09/17 09:10
南瑪都變強颱甩雨!下週恐有熱帶擾動
南瑪都已於今(17)日凌晨2時增強為強烈颱風,中心位...
2022/09/17 06:30
南瑪都這天起甩水 溫差恐達10度
週末即將到來,許多人當相當關心天氣狀況,對此,氣象主...
2022/09/16 21:52
南瑪都根本秋季巨獸!環流挾雨炸2天
中颱「南瑪都」目前位於台灣東方,環流完整巨大。天氣風...
2022/09/16 10:28
南瑪都變中颱了!北部明起雨連降3天
中央氣象局指出,南瑪都今(16)日凌晨2時增強為中度...
2022/09/16 06:17
明降雨範圍縮小 周六起北部水氣增多
第14號颱風「南瑪都」會影響台灣嗎?三立氣象主播黃家...
2022/09/15 21:17
南瑪都吃水氣增強中 北台周末防雨彈
第14號颱風「南瑪都」昨(14)日生成後,強度持續增...
2022/09/15 18:38
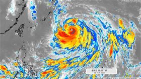
曝南瑪都颱風雲系 鄭明典揭天氣變化
鄭明典透露,未來南瑪都以西北轉北方向移動之後,部分雲...
2022/09/15 18:03
南瑪都不來台灣了 週末北轉直撲日本
第14號颱風「南瑪都」14日凌晨生成,原先路徑不排除...
2022/09/15 10:13
南瑪都增強上看中颱 北台降雨時間曝
今(15)日水氣較少,全台各地多雲到晴,午後東半部地...
2022/09/15 07:01
這天起南瑪都環流近 北部降雨機率增
中颱「梅花」遠離後,第14號颱風「南瑪都」於今(14...
2022/09/14 21:09
3颱共舞見南瑪都四世 估往韓國移動
根據氣象局資料,今年的第14號颱風南瑪都,已經是第4...
2022/09/14 20:47
神隊友到!80萬劑雙價疫苗下週末打
莫德納BA.1次世代雙價疫苗真的要來了!指揮中心指揮...
2022/09/14 14:17
南瑪都再續前緣?「1、2世」登陸
第14號颱風「南瑪都」(國際命名: NANMADOL...
2022/09/14 10:57
南瑪都「下墜」逼近台?各國路徑揭曉
第14號颱風「南瑪都」(國際命名: NANMADOL...
2022/09/14 09:57
今年首次三颱共舞 震撼衛星照曝光
今(14)日凌晨第14號颱風「南瑪都」生成,也是今年...
2022/09/14 08:51
熱帶低壓將成颱 日氣象估這天恐近日
日本氣象廳預估目前位於日本南方海面上的熱帶低氣壓,將...
2022/09/13 19:16
梅花傍晚解海警 第三颱南瑪都今生成
中颱「梅花」海警持續發布,氣象局指出,今(13)日上...
2022/09/13 12:14
三颱共舞!鄭明典:秋颱特徵逐漸明顯
西北太平洋海面上很熱鬧,將呈現3颱共舞。「梅花」正逐...
2022/09/13 09:48
梅花今晚解海警 南瑪都12小時生成
中颱「梅花」已發布海上警報,氣象局表示,今(13)日...
2022/09/13 09:14
最新圖輯
更多
茉ひるMahiru專訪
簡莉紋專訪
大霈專訪
劉冠廷專訪
林予晞、王真琳專訪
李雪、陳昱廷專訪
初孟軒、鍾岳軒專訪
龍千玉與翁立友領豪記唱片群星拜年
Rain鄭智薰小巨蛋演唱會
金在中演唱會
今日頭條
1
川普未定案對台軍售!曝要先跟那位談談
2
鄭麗文戰趙少康、馬英九 他:內鬥檯面化
3
擎天崗野戰變打卡聖地 驚動保七總隊站崗
4
溫嵐送加護病房搶命 中國巡演主辦發聲了
5
黃仁勳白跑一趟?美代表證實:沒談晶片
6
舉重金牌許淑淨懷孕了!曬絕美孕照喊3字
7
女員工扮鬼亡!哥淚控幫凶:保護不了妹妹
8
爽領納稅錢?他爆北一女護航區桂芝內幕
9
甜點品牌才出包 炎亞綸突認考慮退演藝圈
10
川習會後川普提台灣!外交部深夜說重話了
HOT焦點
更多
房價僅北士科半價 仁義重劃區預售屋剖析
115年全障運在新北!程文賢2銀牌拚摘金
重返三大豬病非疫國 跨域合作推產業升級
頻道推薦
直播✦活動
三立新聞網
為了提供更好的閱讀內容,我們使用相關網站技術來改善使用者體驗,也尊重用戶的隱私權,特別提出聲明。
了解最新隱私權聲明
知道了