APP下載
活動
爆料
圖輯
AI爆報
追蹤新聞
3
台灣彩券開獎直播中
三立iNEWS新聞台線上直播
LIVE三立+24小時直播
即時
北捷隨機攻擊
財劃法不副署
新聞
熱門
政治
社會
娛樂
生活
新奇
健康
國際
兩岸
運動
財經
房產
旅遊
科技
汽車
遊戲
ESG
影音
總覽
政論
節目
熱搜
直播
iNEWS
專題
總覽
特企
專頁
大事件
彩券
專欄
民調
快訊
大摩報告點將 台股最具價值10檔
01:00
退休男輕信兒1句話 千萬資產一夕歸零
01:00
魏忠賢權傾朝野,為何卻鬥不過17歲的崇禎
01:00
古代選妃根本不是選美!身體檢查細節嚇人
00:50
新/標普高檔震盪 庫克抄底Nike飆逾4%
00:45
外資又倒貨38億 買賣超榜一次看清楚!
00:38
它金融比重占3成 明年靠配息有底氣!
00:06
男人都幻想娶新疆美女,為何最後都放棄了
00:05
驚!30公分活鱔魚從肛門鑽腹腔:救救我
00:02
台美無人機合作再深化 進補台廠9檔
00:00
萬人追蹤無人到場!寫真網紅握手會取消
23:58
台大碩士男露鳥闖社辦 脫光猥褻女大生
23:55
北捷攻擊案令人心痛 賴清德平安夜發聲
23:47
每天吃1水果抗老又穩血糖 3族群要小心
23:30
羅根保羅拍賣「寶可夢神卡」估值逾3.7億
23:20
連2年尾牙踩雷!去年遇邱軍今年找王ADEN
23:18
直擊!坤達書偉露面了 合體Energy甩陰霾
23:08
輝達發出賀喜片! 黃仁勳金孫曝光
23:00
台鐵集電弓損壞 南北交通中斷!乘客卡2hr
22:59
張文哥手寫信曝弟遭霸凌:無法承受壓力
22:56
台灣彩券開獎直播中
20:31
龍潭未來發展不斷 拾山別墅機能一應俱全
16:00
戲劇男神江宏恩陽光形象 分享好狀態秘訣
14:00
《星廚之戰》邁入尾聲 施捷夫秀家常菜
12:00
預防媽媽手.3C手!科技護腕成日常防護選擇
12:00
產學攜手創淨零校園 砸億元創微電網基地
12:00
首頁
關鍵字
開眼
開眼
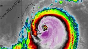
鳳凰開眼了!最新路徑曝:又肥又厚
鳳凰開眼了!鳳凰颱風來勢洶洶,目前已升格為中度颱風,...
2025/11/08 17:09
樺加沙開眼挑戰今年風王 2地區麻煩大了
颱風樺加沙還在成長!今(20)日中央氣象署指出,雲圖...
2025/09/20 18:57
颱風假?專家直指「12縣市停班停課」有望
中颱康芮強襲,根據中央氣象署最新資料顯示,今晨2時中...
2024/10/30 04:48
凱米巨尾越來越粗!專家示警南部1事網驚
颱風凱米進逼對台灣構成威脅,台灣本島各縣市今(24)...
2024/07/24 09:54
凱米1特點「不是好現象」!有望挑戰強颱
中颱「凱米」來勢洶洶,氣象粉專「台灣颱風論壇|天氣特...
2024/07/24 09:42
凱米巨尾800公里開眼 1關鍵恐花蓮登陸
第3號中颱「凱米」暴風圈目前已經進入台灣東半部海面,...
2024/07/24 06:54
凱米開眼「直逼強颱」一圖看全台風雨時程
中颱凱米進逼對台灣構成威脅,台灣本島各縣市今(24)...
2024/07/24 04:52
小犬颱風2度開眼 「6縣市」有望放颱風假
小犬颱風來勢洶洶,動向備受外界關注,中央氣象署持續發...
2023/10/04 10:08
土地公突然降駕嚇壞眾人 超居家聊天
開光 又稱「開眼」、「開光眼」,在道教、佛教信仰上,...
2021/09/18 21:35
「圓仔妹」47天開眼 6組名快來挑
「圓仔妹」開眼了!8月14日下午保育員清楚看到「圓仔...
2020/08/17 12:41
刺青這麼做招厄運 他遭鬼壓床險沒命
隨著社會風氣開放,刺青已經成了另一種皮上藝術,但其實...
2020/04/18 22:00
哈吉貝開眼照曝!「鋼珠眼」快速茁壯
哈吉貝颱風今(7)日增強為中度颱風,而且颱風眼開了!...
2019/10/07 16:31
刺青眉角多!這圖案上身恐犯民俗大忌
刺青圖案百百種,但其實每個圖案都藏有意涵,有些圖不能...
2019/10/05 21:57
求師傅刺治鬼之神…他7天後車禍亡
一名網友於今(25)日在靈異公社發文表示,他年輕時跟...
2019/09/25 19:09
刺青禁忌多 神像隨易「開眼」招厄運
刺青圖案百百種,有龍有虎,有關公有達摩,但其實每個圖...
2018/10/24 20:45
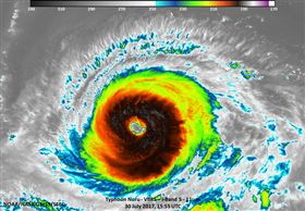
今年最強風暴!諾盧開大眼清晰照曝光
今年第5號颱風諾盧(NORU)上月21日生成,在太平...
2017/08/02 11:22
最新圖輯
更多
第62屆金馬獎得獎後台
第62屆金馬獎紅毯
劉書宏專訪
袁澧林、陳孝萱專訪
第36屆金曲獎星光大道
第36屆金曲獎得獎圖輯
NMIXX林口體育館粉絲演唱會
KISS OF LIFE台北演唱會
林芯儀專訪
GYUBIN大巨蛋開球
今日頭條
1
柯案明年3/26宣判!態度不佳檢建請判28年
2
張文哥手寫信曝弟遭霸凌:無法承受壓力
3
10度低溫來了「急凍3天」 拉拉山有望下雪
4
柯文哲最終陳述曝光:我當然無罪
5
盧秀燕細數7年政績 曝「他」是遺珠之憾
6
北捷新禁令「防毒面具、頭盔」拒載+報警
7
台灣「矽島」發威 2025人均GDP超車中日韓
8
寶雅招牌顏色不同 服務有差?官方解答了
9
ChatGPT揪出病灶 醫認可:有臨床參考價值
10
香港大火印傭失聯 與雇主遺骸融在一起
HOT焦點
更多
預防媽媽手.3C手!科技護腕成日常防護選擇
產學攜手創淨零校園 砸億元創微電網基地
《星廚之戰》邁入尾聲 施捷夫秀家常菜
頻道推薦
直播✦活動
三立新聞網
為了提供更好的閱讀內容,我們使用相關網站技術來改善使用者體驗,也尊重用戶的隱私權,特別提出聲明。
了解最新隱私權聲明
知道了