APP下載
活動
爆料
圖輯
AI爆報
追蹤新聞
3
台灣彩券開獎直播中
三立iNEWS新聞台線上直播
LIVE三立+24小時直播
即時
對等關稅違憲
賈永婕嗆蔣
新聞
熱門
政治
社會
娛樂
生活
新奇
健康
國際
兩岸
運動
財經
房產
旅遊
科技
汽車
遊戲
ESG
影音
總覽
政論
節目
熱搜
直播
iNEWS
專題
總覽
特企
專頁
大事件
彩券
專欄
民調
快訊
《悲慘世界》男星來台 自爆每天喝西瓜汁
18:10
吵架說「這句」最傷!4件事看不到甭談情
18:08
新北爆麻疹本土病例 初三起足跡遍西門町
18:07
圖/二二八79年!民團遊行盼落實轉型正義
18:07
男友認洗泰國浴保證不再去!網一面倒勸分
18:00
輝達重挫5%!他示警:恐是下一顆未爆彈
18:00
NCT WISH來台拜年 提燈籠:願望馬上實現
17:59
沈玉琳親自發聲證實復工 最新病況全說了
17:59
德仁將親臨WBC 睽違60年日皇到場看棒球
17:57
陳芳語認愛新歡!過年帶回家見父母
17:57
茶的魔手用簡體字!店家嗆:沒吃你家大米
17:56
鄭麗文稱國民黨保護台灣 邱敏寬1句打臉
17:54
日本皇位僅限男性繼承 高市反對修改規定
17:51
告五人宣布進軍北流開展!濃縮演唱會精華
17:49
打18局僅1分 台灣慘挨火腿3轟吞2連敗
17:49
WBC將開打 這企業掏千萬帶員工赴日應援
17:47
嚇!台學生彈一半遭日師喊卡 震撼內幕曝
17:42
活45年不知!發票藏1玄機 超強功能曝光
17:41
元宵節別穿黑白 12禁忌當心破財衰整年
17:37
58歲伊能靜拒被誇:像少女 震撼原因曝光
17:36
台灣彩券開獎直播中
20:31
台彩春節加碼12億元創新高
12:00
大樂透加碼480組100萬元
12:00
大樂透加碼800組10萬元
12:00
開工打造好運勢 小人退散能量水晶迎貴人
12:00
祥獅獻瑞迎開工!愛妮雅集團新年藍圖首曝
17:00
瘦身急救章 一秒塑身穿上小號緊身洋裝
11:00
初九天公生 松山奉天宮備平安麵共享
16:00
捷運七張站走路2分鐘 友座明明德機能到位
15:00
開學換機酷澎火箭速配隔日到貨
10:00
企業暖心故事 一份工作撐起整個家
13:00
Xtars人氣直播主大揭密 鏡頭下的甘苦
13:00
土城永福岩清水祖師廟擲筊大賽 頭獎百萬
12:00
初一金山財神廟湧人潮 聯名蛋捲禮盒喜氣
11:00
首頁
關鍵字
風雨時程
風雨時程
樺加沙「擾台灣60小時」 大台北也逃不過
今(20)日花、東及恆春半島有不定時局部短暫陣雨,其...
2025/09/20 06:15
樺加沙颱風估週日海警 專家曝風雨時程
西太平洋目前同時出現米塔、樺加沙和浣熊三個颱風,不過...
2025/09/20 05:21
全台難逃樺加沙風雨!這2天颱風假機會高
今年第18號颱風樺加沙(RAGASA)今(19)日2...
2025/09/19 07:52
颱風假有望?樺加沙風雨時程曝 北台難逃
三颱共舞!繼今年第17號颱風「米塔」生成後,今年第1...
2025/09/19 06:02
楊柳來襲北部也會很有感!全台風雨時程曝
今年第11號颱風楊柳今(12)日11時的中心位置在北...
2025/08/12 12:06
丹娜絲風雨橫掃全台 一圖看懂影響時程
「丹娜絲」颱風不走典型的太平洋東進路線,選擇從台灣海...
2025/07/05 19:45
康芮颱風襲全台有感 1圖看各地風雨時程
康芮颱風逼近台灣。今(30)日臉書粉專「天氣風險 W...
2024/10/30 15:00
潭美颱風恐有共伴 這些地區防12級強陣風
氣象署表示,預估颱風潭美今晚明晨通過呂宋島、往中南半...
2024/10/23 12:03
潭美「離台最近」時間曝 風雨時程1圖看
中央氣象署提醒,今天(23日)東北季風增強,北臺灣整...
2024/10/23 08:14
北部這時進入搖滾區 全台風雨時程一圖看
第18號颱風「山陀兒」北上逐漸接近,各地風雨將愈來愈...
2024/10/02 08:57
風雨時程曝光!專家示警登陸點:非常暴力
中央氣象署最新資料,第18號颱風「山陀兒」已增強為強...
2024/10/01 05:38
山陀兒估近年登陸南台灣最強!風雨時程曝
今年編號第18號中度颱風「山陀兒(KRATHON)」...
2024/09/30 20:53
全台風雨時程一圖看!專家驚:歷史級颱風
「山陀兒」颱風來勢洶洶,氣象粉專「台灣颱風論壇|天氣...
2024/09/30 11:44
凱米「快閃4hr出海」!全台風雨時程出爐
中央氣象署持續更新凱米颱風動態,自今(25)日凌晨0...
2024/07/25 07:35
凱米「風雨最猛時間點」曝 氣象署示警了
凱米颱風來勢洶洶,動向備受外界關注,氣象署透過臉書粉...
2024/07/22 05:51
日預測凱米路徑南修撲台 恐重演2颱慘劇
輕颱「凱米」持續發展、增強,動向備受外界關注,日本和...
2024/07/22 05:11
凱米挑戰強颱!路徑西修「更靠近台灣了」
凱米颱風來勢洶洶,動向備受外界關注,臉書粉絲專頁「台...
2024/07/22 04:28
小犬暴風圈將觸陸 3天全台風雨時程出爐
中度颱風「小犬」逐漸逼近台灣,目前中央氣象署已經發布...
2023/10/04 08:04
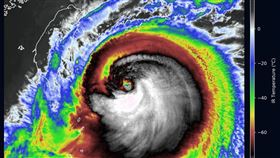
小犬變更完整了!「颱風眼高清照」曝光
小犬颱風來勢洶洶,動向備受外界關注,氣象署持續發布海...
2023/10/04 06:58
小犬暴風圈已進入!8縣市豪雨、大雨特報
第14號中颱「小犬」來勢洶洶,中央氣象署發布最新海上...
2023/10/04 05:01
小犬全台有感原因曝!2地區扛最猛風雨4次
第14號中颱「小犬」來勢洶洶,中央氣象署發布最新海上...
2023/10/04 04:41
前有惡犬!一圖看小犬颱風風雨時程全攻略
中颱小犬直撲台灣而來,臉書氣象粉專「台灣颱風論壇|天...
2023/10/03 22:54
杜蘇芮颱風持續進逼 一圖看各地風雨時程
持續關注颱風動態,中央氣象局表示,中度颱風杜蘇芮(國...
2023/07/26 14:14
中颱烟花海警發布 最新颱風假機率曝
中度颱風「烟花」正朝台灣逼近,中央氣象局已經在晚間2...
2021/07/21 21:21
「米塔」恐登陸宜蘭襲台!風雨時程曝
輕颱「米塔」步步逼近台灣,中央氣象局已在今(29)早...
2019/09/29 21:54
南海低壓成颱?一張圖看全台風雨時程
今年第5號颱風「丹娜絲」路徑持續東偏後,全台昨(17...
2019/07/18 11:09
最新圖輯
更多
初孟軒、鍾岳軒專訪
龍千玉與翁立友領豪記唱片群星拜年
Rain鄭智薰小巨蛋演唱會
金在中演唱會
羅志祥30周年演唱會
凱琳專訪
黃鐙輝、吳念軒、黃騰浩專訪
第62屆金馬獎得獎後台
第62屆金馬獎紅毯
劉書宏專訪
今日頭條
1
打18局僅1分 台灣慘挨火腿3轟吞2連敗
2
鄭麗文稱國民黨保護台灣 邱敏寬1句打臉
3
高雄義享天地停電 飄燒焦味、有人困電梯
4
國台辦喊查劉世芳外甥 民進黨:嚴厲譴責
5
元宵節別穿黑白 12禁忌當心破財衰整年
6
台中老牌科大「證實停招捐產」教育部回應
7
超越美日德!全球創業環境評比 台奪第二
8
看WBC小心染麻疹!日本疫情「創7年新高」
9
Gmail新型釣魚詐騙!一招讓你密碼全被偷
10
元宵撞月全食錯過再等46年!最佳觀賞點曝
HOT焦點
更多
2026桃園燈會「飛馬耀桃園」盛大開幕!
瘦身急救章 一秒塑身穿上小號緊身洋裝
祥獅獻瑞迎開工!愛妮雅集團新年藍圖首曝
頻道推薦
直播✦活動
三立新聞網
為了提供更好的閱讀內容,我們使用相關網站技術來改善使用者體驗,也尊重用戶的隱私權,特別提出聲明。
了解最新隱私權聲明
知道了