APP下載
活動
爆料
圖輯
AI爆報
追蹤新聞
3
台灣彩券開獎直播中
三立iNEWS新聞台線上直播
LIVE三立+24小時直播
即時
助理費爭議
小紅書遭封鎖
新聞
熱門
政治
社會
娛樂
生活
新奇
健康
國際
兩岸
運動
財經
房產
旅遊
科技
汽車
遊戲
ESG
影音
總覽
政論
節目
熱搜
直播
iNEWS
專題
總覽
特企
專頁
大事件
彩券
專欄
民調
快訊
AI基本法陷阱!法學教授廖義銘這麼說
02:08
醜話說在前!2026年「兩」大投資亂源出列
02:00
永續城市節慶啟動!即日起在高雄鼓山
01:59
逃兵變詐團!屏東男被逮怒嗆這句話
01:25
GPU打頭陣、ASIC接棒 這幾檔漲勢帶勁!
01:18
前主播劉涵竹怒揭4年網騷 這次要告了
01:13
夫妻擁2千萬 因父親1要求面臨破產崩潰
01:00
推拿秒性侵!中醫診所也要連帶賠償
00:54
百公斤新娘減肥45kg要離婚 婆婆怒嗆這句
00:36
獨/周經翔分析師警告:無差別追AI恐結束
00:36
江啟臣表態參選台中市長 楊瓊瓔回應了
00:27
台股總市值破91兆 最大贏家是它上漲4.3%
00:05
撒錢哥又來?20萬元放宮廟 他這麼說
23:53
高雄寵物睡覺大賽 考驗毛小孩「穩定度」
23:51
網造謠成功嶺演習毀民宅 全場見2字秒戳破
23:30
31年優雅謝幕!SOGO敦化館熄燈夜百人送別
23:08
槓藍白!卓榮泰:拼了命也要阻止違憲行為
23:07
獨/2男狂砸酒瓶 「超跑巷」布滿碎玻璃
23:07
10年研究揭「1類食物」有效護心:容易買到
23:05
丈夫婚宴被灌醉!新娘公審主管下場曝
22:55
台灣彩券開獎直播中
20:31
高雄大氣球遊行登場 21顆空飄氣球超壯觀
12:00
嘉義市城市博覽會開幕「嘉義大舞台」嗨翻
20:00
健康AI領導品牌 威力先進得獎不斷
20:30
《上山吧》團員用「優蛋白EX」補充能量
13:00
《上山吧!台灣隊》創舉!征服非洲之巔!
10:00
他靠科學化心法兩年滾出千萬財富!
08:30
首頁
關鍵字
卡崔娜
卡崔娜
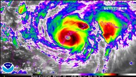
颶風艾達襲美釀4死 路州恐沒水電
美國路易斯安那州和密西西比州今日開始評估強烈颶風艾達...
2021/09/01 15:38
夜配聞/最慘校園災難 宿舍至今貼符
34年過去了,這起台灣史上最慘重的校園災難,當年因為...
2017/08/26 22:35
美遇「卡崔娜第二」 十萬人被迫撤離
被美國媒體形容為「怪獸級」的四級颶風「哈維」,美國時...
2017/08/26 21:52
颶風襲德州 官要民手寫個資方便認屍
颶風哈維(Harvey)25日(當地時間)襲擊美國德...
2017/08/26 17:59
菲國逾百人失蹤 谷歌專頁助尋人
海燕颱風肆虐菲律賓,所到之處滿目瘡痍,目前傳出還有將...
2013/11/12 18:51
最新圖輯
更多
第62屆金馬獎得獎後台
第62屆金馬獎紅毯
劉書宏專訪
袁澧林、陳孝萱專訪
第36屆金曲獎星光大道
第36屆金曲獎得獎圖輯
NMIXX林口體育館粉絲演唱會
KISS OF LIFE台北演唱會
林芯儀專訪
GYUBIN大巨蛋開球
今日頭條
1
槓藍白!卓榮泰:拼了命也要阻止違憲行為
2
炸藥採購案遭點名「賴友友」 福麥發聲了
3
財劃法修法 賴:中央將失去災害應變能力
4
台北逼近冷氣團門檻!他見1數據估可達標
5
蕭敬騰岳父驟逝享壽75歲 Summer痛哭發聲
6
殷正洋證實楊弦離世 遺孀處理後事現況曝
7
獨/2男狂砸酒瓶 「超跑巷」布滿碎玻璃
8
古巴拒入境「台灣神反擊」:龍蝦進口量崩
9
吊車大王賞車當場入手 網驚:像買玩具
10
澳槍案英雄 白男跨步向前勇奪槍反制兇手
HOT焦點
更多
動漫祭唱跳表演 AI練習生登台圈粉
高雄大氣球遊行登場 21顆空飄氣球超壯觀
健康AI領導品牌 威力先進得獎不斷
頻道推薦
直播✦活動
三立新聞網
為了提供更好的閱讀內容,我們使用相關網站技術來改善使用者體驗,也尊重用戶的隱私權,特別提出聲明。
了解最新隱私權聲明
知道了