APP下載
活動
爆料
圖輯
AI爆報
追蹤新聞
4
啦啦隊小龍女助攻加油
台灣彩券開獎直播中
三立iNEWS新聞台線上直播
LIVE三立+24小時直播
即時
WBC經典賽
美以突襲伊朗
新聞
熱門
政治
社會
娛樂
生活
新奇
健康
國際
兩岸
運動
財經
房產
旅遊
科技
汽車
遊戲
ESG
影音
總覽
政論
節目
熱搜
直播
iNEWS
專題
總覽
特企
專頁
大事件
彩券
專欄
民調
快訊
Leitzphone正式登台 售價NTD49,999元
14:51
西方曾三次錯過伊朗!歷史關鍵轉折曝光
14:42
當抓耙子幫澳洲隊情蒐!彰化男遭炎上道歉
14:38
想買Volvo跨界休旅 現在更好入手
14:33
香港知名男星撞臉霍元甲 網嚇:根本轉世
14:33
捷克苦吞2連敗 教頭曝台捷戰先發及策略
14:33
下週「這2天」最凍 轉乾回暖時間點曝光
14:32
籃籃「眼歪嘴斜」照瘋傳 釣出本尊回應了
14:30
丙午年「4生肖」要發了!按部就班添財運
14:28
WBC首發原聲專輯 韓團成員合作巨星太狂
14:24
碩班考題雷同補習班 教育部今至政大調查
14:18
被封殺後罕現身 趙薇一句話耐人尋味
14:11
船隻疑被襲擊 日本外相曝:2人被伊朗拘禁
14:06
白冰冰巧遇張惠妹陪媽媽!大讚孝順又貼心
14:04
踹傅崐萁桌子遭起訴 張峻:我仍然無悔
14:02
賈永婕挺台灣隊被罵!高EQ機智回7字完勝
13:59
解決伊朗後換「這1國」?川普嗆早晚問題
13:55
台日大戰將開打!賈永婕揪台灣人東蛋集合
13:55
收盤/權值壓盤台股跌73點 記憶體拉回!
13:51
Apink出道15週年 首度全員南下高雄開唱
13:50
台灣彩券開獎直播中
20:31
啦啦隊小龍女助攻加油
14:50
與松山霞海城隍廟合作 推數位開運錢母
12:00
完全營養早晚打底!挺台灣隊攻克聖稜線
11:00
員工訓練再升級!愛妮雅:謙卑改革
11:00
「台八男神」龍語申「肌」情預告!
17:00
純喫茶X《傳說對決》限時虛寶登場!
10:00
賓果賓果鬧元宵 大樂透、今彩539續加碼
12:00
開工打造好運勢 小人退散能量水晶迎貴人
12:00
祥獅獻瑞迎開工!愛妮雅集團新年藍圖首曝
17:00
瘦身急救章 一秒塑身穿上小號緊身洋裝
11:00
初九天公生 松山奉天宮備平安麵共享
16:00
捷運七張站走路2分鐘 友座明明德機能到位
15:00
開學換機酷澎火箭速配隔日到貨
10:00
企業暖心故事 一份工作撐起整個家
13:00
Xtars人氣直播主大揭密 鏡頭下的甘苦
13:00
土城永福岩清水祖師廟擲筊大賽 頭獎百萬
12:00
初一金山財神廟湧人潮 聯名蛋捲禮盒喜氣
11:00
「星城Online x戲說台灣」單元劇引爆話題
12:00
首頁
關鍵字
謝明昌
謝明昌
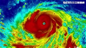
利奇馬/北部熱爆 中南部溼到這天!
中度颱風「利奇馬」遠離台灣,中央氣象局也於今(10)...
2019/08/10 10:44
利奇馬來襲 九河局備防汛塊迎長浪
颱風利奇馬持續逼近,一波波長浪恐襲擊東岸海堤,水利署...
2019/08/07 15:08
強颱山竹移動變快!明晚有望解除警報
今年第22號強颱「山竹」今(14)日凌晨強度再增強,...
2018/09/14 15:22
最強颱山竹海警發布!台沿海已見長浪
今年第22號颱風「山竹」於11日早上8時轉為強烈颱風...
2018/09/14 12:43
泰利恐成爆頭颱 強陣風最高15級
今年第18號泰利颱風這回可說是來勢洶洶,依照各國路徑...
2017/09/11 21:18
詭譎麥德姆!奇景、路徑讓人摸不透
中颱麥德姆在今(23)日清晨4時20分從彰化出海,中...
2014/07/23 13:30
最新圖輯
更多
初孟軒、鍾岳軒專訪
龍千玉與翁立友領豪記唱片群星拜年
Rain鄭智薰小巨蛋演唱會
金在中演唱會
羅志祥30周年演唱會
凱琳專訪
黃鐙輝、吳念軒、黃騰浩專訪
第62屆金馬獎得獎後台
第62屆金馬獎紅毯
劉書宏專訪
今日頭條
1
當抓耙子幫澳洲隊情蒐!彰化男遭炎上道歉
2
船隻疑被襲擊 日本外相曝:2人被伊朗拘禁
3
台日大戰今晚6點開打 運彩最新賠率出爐
4
新/彰化某塑膠廠大火!恐怖火勢黑煙竄天
5
解決伊朗後換「這1國」?川普嗆早晚問題
6
二戰奧運!舉重女將爆家暴 同居人不忍了
7
台日大戰變主場PK日本 台人:一起贏回來
8
真的不擋了 1.25兆國防條例終於付委
9
停機車一定要立中柱?2情況恐被罰1200元
10
「重頭戲」將登場!美防長:戰鬥才剛開始
HOT焦點
更多
純喫茶X《傳說對決》限時虛寶登場!
開工打造好運勢 小人退散能量水晶迎貴人
祥獅獻瑞迎開工!愛妮雅集團新年藍圖首曝
頻道推薦
直播✦活動
三立新聞網
為了提供更好的閱讀內容,我們使用相關網站技術來改善使用者體驗,也尊重用戶的隱私權,特別提出聲明。
了解最新隱私權聲明
知道了