APP下載
活動
爆料
圖輯
AI爆報
追蹤新聞
7
劉揚偉親自主持鴻海Q3法說會
卓榮泰前往宜勘災
新壽T17、18解約報告審議
【⚡颱風特報不斷電直播⚡】
台灣彩券開獎直播中
三立iNEWS新聞台線上直播
LIVE三立+24小時直播
即時
宜蘭蘇澳淹水
芬普尼毒雞蛋
新聞
熱門
政治
社會
娛樂
生活
新奇
健康
國際
兩岸
運動
財經
房產
旅遊
科技
汽車
遊戲
ESG
影音
總覽
政論
節目
熱搜
直播
iNEWS
專題
總覽
特企
專頁
大事件
彩券
專欄
民調
快訊
被自己學生騙!他認「犯1錯誤」40萬飛了
15:18
吳宗憲勸坤達閃兵回演藝圈 洩他私下反應
15:18
參訪歐積電!蔡英文:AI時代台灣不會缺席
15:17
普發1萬入帳「2種備註」曝 一票人收到了
15:15
37歲「泛舟哥」消失演藝圈 暴肥近況曝光
15:12
新壽分手費超貴?他:輝達年賺1300億美金
15:10
新壽分手費還要付9億 川伯:輝達願承接
15:09
虎豹潭溪水暴漲6溺斃!女領隊要賠208萬元
15:09
福泰×希爾頓聯手 亞洲首間Signia駐台南
15:09
鳳凰最後雨彈炸3區 這天急凍低溫剩15度
15:08
新/鳳凰大暴衝 今晚登陸恆春快閃出海
15:06
興奮買iPhone 17 Pro!她打開盒子卻嚇暈
15:03
遭爆敗腎危機 39歲炎亞綸真實體況曝光
15:01
250萬人注意!1病治好仍增50%心衰竭風險
15:01
不怕被沖走!颱風天還釣魚 中警驅離12人
15:01
鄭麗文追思共諜!丁瑀送「2禮物」開轟
15:00
席惟倫牽線代言成導火線!王子拉粿粿同行
14:58
新/北市議會通過!新壽44.3億分手費過關
14:54
徵信社開神祕職缺 眾人驚呆:合理當小三
14:51
蕭美琴成功訪歐 林佳龍曝賴清德12字指示
14:48
台灣彩券開獎直播中
20:31
【⚡颱風特報不斷電直播⚡】
06:10
新壽T17、18解約報告審議
13:30
卓榮泰前往宜勘災
13:49
劉揚偉親自主持鴻海Q3法說會
14:30
瑪菲司攜手APINK金南珠!打造派對神曲
12:00
AI+3D引爆戶外廣告新革命 專家這樣說
12:00
「桃園公民影像展覽」登場!集結市民作品
10:00
拚經濟復甦傳產!林岱樺高雄打造護國產業
11:00
走進旗山 林岱樺打造更貼心的照護網
10:00
市場波動不斷 多元商品保護獲利
20:00
薑黃素5大功效與吃法全解析
12:00
2025金融博覽會登場 主題聚焦反詐展決心
12:00
首頁
關鍵字
接近台灣
接近台灣
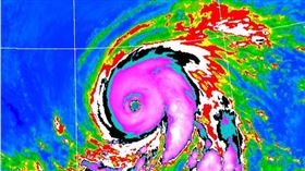
潭美最接近台灣時間曝!3地區慎防豪大雨
今(22)日東北季風逐漸增強,迎風面桃園以北、東半部...
2024/10/22 09:55
熱帶低壓生成!準颱風接近台可能性高
日本氣象廳稍早宣布,菲律賓東方海面熱帶擾動於今(20...
2024/10/20 16:10
颱風恐下週二三近台 是否影響台灣看這天
颱風最快週日生成,是否會對臺灣造成影響,持續受到關注...
2024/07/19 07:45
一圖看瑪娃路徑 1關鍵恐近台、影響曝
強颱瑪娃有持續增強的現象,未來路徑也越來越明顯。對此...
2023/05/27 07:17
最新圖輯
更多
劉書宏專訪
袁澧林、陳孝萱專訪
第36屆金曲獎星光大道
第36屆金曲獎得獎圖輯
NMIXX林口體育館粉絲演唱會
KISS OF LIFE台北演唱會
林芯儀專訪
GYUBIN大巨蛋開球
陳謙文專訪
孫麥傑專訪
今日頭條
1
預測颱風假落空!老闆送200隻烤雞地點曝
2
賴清德喊「維護國會尊嚴」!韓國瑜回應了
3
新/刺傷名醫江漢聲 新北男裁定羈押禁見
4
鳳凰挾豪雨來襲重創宜蘭 卓榮泰急勘災
5
大馬警「完成調查報告」!黃明志罪名將揭
6
新/北市議會通過!新壽44.3億分手費過關
7
新/土耳其軍機墜毀!機上20人全數罹難
8
太子集團爆乳特助15萬交保 北院發聲澄清
9
國台辦:台灣只能用「中國台北」參加APEC
10
駁「既生龍、何生燮」 林佳龍:挑撥離間
HOT焦點
更多
「桃園公民影像展覽」登場!集結市民作品
同理心成百萬經紀人 銷售菁英助同鄉圓夢
拚經濟復甦傳產!林岱樺高雄打造護國產業
頻道推薦
直播✦活動
三立新聞網
為了提供更好的閱讀內容,我們使用相關網站技術來改善使用者體驗,也尊重用戶的隱私權,特別提出聲明。
了解最新隱私權聲明
知道了