APP下載
活動
爆料
圖輯
AI爆報
追蹤新聞
5
戴資穎現身證交所同揭最終收盤
【94要客訴】
台灣彩券開獎直播中
三立iNEWS新聞台線上直播
LIVE三立+24小時直播
即時
高金遭搜索
高市早苗大勝
新聞
熱門
政治
社會
娛樂
生活
新奇
健康
國際
兩岸
運動
財經
房產
旅遊
科技
汽車
遊戲
ESG
影音
總覽
政論
節目
熱搜
直播
iNEWS
專題
總覽
特企
專頁
大事件
彩券
專欄
民調
快訊
魚乾少秤33克!迪化街買回家民眾控減兩
13:17
春節衝一波!埔心牧場:2月23日休園重整
13:11
鄧紫棋16萬張門票秒殺賣光!粉絲悲喊心碎
13:11
黃光芹酸鄭麗文隨楊瓊瓔起舞:拖磨江啟臣
13:09
新/內湖民宅全面燃燒 警消救出受困5人
13:08
「美濃大峽谷」偵結!106人遭起訴
13:06
陳曉東竟然跟翁立友同年齡!真實樣貌曝光
13:05
超大咖男星三次手術仍惡化!悲痛宣布退團
13:04
前藍委:立院快審台美關稅,以免川普變卦
13:04
孫藝真20歲嫩照流出 網驚:完全沒老
13:04
最後期限到了 徐欣瑩發布「重大訊息」
13:04
高溫也殺不死 廚房「3大隱形毒物」傷肝腎
12:59
獨/賈永婕談林宅血案 田秋堇親曝想留言
12:56
30歲女星「捧4.3億現金」無貸款買下豪宅
12:54
陸委會聲援黎智英 國台辦氣嗆:亂港謀獨
12:50
總統親說明軍購條例!綠批藍白卸責又逃避
12:49
志祺七七感情重挫瀕臨崩潰!因1事突爆轉機
12:48
不擋了!民眾黨同意1.25兆軍購條例付委
12:42
錄《單身5》被封海后 她認了曾胖到72kg
12:42
淪統戰樣板?高金「親中黑歷史」全被掀
12:41
台灣彩券開獎直播中
20:31
【94要客訴】
12:00
戴資穎現身證交所同揭最終收盤
13:00
換新車過年!車商優惠大戰開打拚年前買氣
13:00
過年送禮補元氣還不夠 顧肌力是健康關鍵
12:00
台灣隊指定「壯大人萃滴精」勇闖世界之巔
15:00
彰化市產業大升級!合新中正一綻機能完整
12:00
寒冬送暖!吳昇翰攜手會計師公會發物資
11:00
不靠濾鏡靠真心!人氣直播主上線擄獲人心
12:00
北市「來台北有購嗨」消費200元抽千萬
12:00
首頁
關鍵字
小犬颱風
小犬颱風
楊柳路徑類似小犬颱風 當年18縣市停班課
中度颱風「楊柳」持續逼近中,中央氣象署今(12)日上...
2025/08/12 10:32
颱風天被「床墊」砸死!死者無照又超速
2023年10月5日小犬颱風襲台期間,彰化縣一名27...
2025/01/15 15:04
小犬颱風重創住家!一家五口竟被迫分開…
慈濟持續關懷「2023小犬颱風」災後重建工作,2月2...
2024/02/21 16:45
陳建仁:2年內蘭嶼全島電纜地下化
蘭嶼接連遭受颱風侵襲,民宅和公共設施受損嚴重,電力設...
2023/12/12 08:09
又要地震?台東大學「滿地蠕動」沒路走!
連日的雨勢居然引來「滿地蠕動」造成無路可走?國立台東...
2023/10/25 14:17
蘭嶼風災復原進度超前 林右昌曝復電時間
颱風小犬重創蘭嶼,內政部長林右昌今天說,在各部會及國...
2023/10/08 12:06
小犬重創!台東2國小停班課、雲林1校停課
受到中度颱風小犬影響,台東縣傳出不少災情,達仁鄉土坂...
2023/10/06 12:32
新/送走「小犬」!氣象署11:30解除海警
中央氣象署今(6)日表示,第14號「小犬」颱風遠離,...
2023/10/06 10:45
猛犬襲恆春!一張「破蛋照」曝破壞力
中颱小犬5日早上登陸,重創屏東恆春的電力設施,強風帶...
2023/10/06 09:56
小犬95.2m強風破紀錄!颳進世界觀測史第3
小犬颱風襲台,短短一天就展現了驚人的風速,讓台灣創下...
2023/10/06 09:46
小犬釀災情!雲林縣宣布:麥寮高中今停課
小犬颱風肆虐,台灣不少地區紛紛傳出災情,雲林縣今(6...
2023/10/06 08:13
小犬「消風」前後對比曝 網笑:被教化了
中颱小犬肆虐,導致台灣不少地區嚴重受創,中央氣象署在...
2023/10/06 07:37
小犬變惡犬!基泰大直鄰損戶:被咬就慘了
中颱小犬來襲,由於小犬4日晚間在蘭嶼測得17級以上風...
2023/10/05 17:58
墾丁鏡頭君遭小犬襲擊殉職 網:阿彌陀佛
中颱「小犬」襲台,驚人狂風讓民眾笑稱根本是「瘋犬」,...
2023/10/05 17:28
小犬陣風狂颳蘭嶼 落地窗隔著鐵門被吹倒
中颱「小犬」颱風直撲台灣,狂風暴雨導致不少地區的路樹...
2023/10/05 15:16
小犬狂風襲蘭嶼!外媒:恐是地球最強陣風
中颱小犬今(5日)上午8時20分短暫掠過鵝鑾鼻,目前...
2023/10/05 15:06
小犬攪局日月潭婚禮取消 新人喊:遺憾
「小犬」颱風亂入,南投日月潭舉行的集團婚禮被迫取消,...
2023/10/05 15:05
小犬颱風發威!恆春醫院「玻璃門被吹破」
恆春基督教醫院也難敵強風!不僅玻璃門、天花板被吹破,...
2023/10/05 15:01
宜蘭停班530個便當被取消 業者欲哭無淚
宜蘭縣宣布5日停班停課,許多民眾開心不用上班上課了,...
2023/10/05 14:49
全台第一槍!這間KTV「店休一日」原因曝
小犬颱風來襲,全台僅「北北基桃」沒有放到颱風假,其餘...
2023/10/05 12:37
小犬強陣風肆虐 汐止街頭招牌不敵被吹垮
受到中颱「小犬」外圍環流強陣風影響,新北市汐止區中正...
2023/10/05 11:16
最新風雨預測出爐 3地區明有機會達標準
小犬颱風來勢洶洶!今日上午8時20分有短暫掠過和登陸...
2023/10/05 11:12
北漂族:「戶籍在南部」可以請颱風假嗎
小犬颱風來襲,全台22縣市中,18縣市今(5)日都放...
2023/10/05 10:57
最新風雨預測!1縣市風力達停班課標準
根據中央氣象署今(5)日10:00發表之最新風雨預測...
2023/10/05 10:19
國家警報響!雨炸13縣市、屏東當心大雷雨
中央氣象署今(5)日9時42分發布大雷雨即時訊息,持...
2023/10/05 10:09
侯友宜颱風夜出席酒會 綠酸:宿醉也沒差
國民黨昨晚舉辦國慶酒會,國民黨主席朱立倫、副主席連勝...
2023/10/05 09:56
怨沒颱風假還得上班 486:一輩子沒出息
小犬颱風撲台,氣象署說,今天(5日)受颱風影響,北台...
2023/10/05 09:52
千萬別輕忽小犬!台電曝「用電檢查5招」
受到小犬颱風影響,防颱準備不容輕視,特別是用電方面,...
2023/10/05 09:47
「小犬」登陸破5年紀錄!2地區風力會更強
中央氣象署今(5)日表示,今年第14號颱風「小犬」以...
2023/10/05 09:27
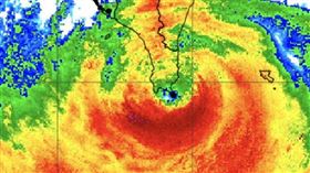
一圖看小犬通過墾丁!鄭明典揭對台影響
小犬颱風來襲,不少地區都已經感受到颱風的威力。對此,...
2023/10/05 09:26
最新圖輯
更多
羅志祥30周年演唱會
凱琳專訪
黃鐙輝、吳念軒、黃騰浩專訪
第62屆金馬獎得獎後台
第62屆金馬獎紅毯
劉書宏專訪
袁澧林、陳孝萱專訪
第36屆金曲獎星光大道
第36屆金曲獎得獎圖輯
NMIXX林口體育館粉絲演唱會
今日頭條
1
總統:盼朝野將國防預算列最最最優先法案
2
新/與輝達完成簽約 蔣萬安14:00說明
3
不擋了!民眾黨同意1.25兆軍購條例付委
4
男童遭父凌虐7年沒飯吃 靠營養午餐苦撐
5
獨/賈永婕談林宅血案 田秋堇親曝想留言
6
新/加拿大發生校園槍擊 已致10人死亡
7
日本北海道恐迎規模9強震?郭鎧紋發聲了
8
新/內湖民宅全面燃燒 警消救出受困5人
9
新/肯德基蛋撻驚見電池!業者道歉了
10
高金涉貪遭境管!律師揭「沒聲押」內幕
HOT焦點
更多
換新車過年!車商優惠大戰開打拚年前買氣
告別野路子 筋骨調理走向專業化
台灣隊指定「壯大人萃滴精」勇闖世界之巔
頻道推薦
直播✦活動
三立新聞網
為了提供更好的閱讀內容,我們使用相關網站技術來改善使用者體驗,也尊重用戶的隱私權,特別提出聲明。
了解最新隱私權聲明
知道了