APP下載
活動
爆料
圖輯
AI爆報
追蹤新聞
4
美軍史詩怒火狂炸2000目標
台灣彩券開獎直播中
三立iNEWS新聞台線上直播
LIVE三立+24小時直播
即時
美以突襲伊朗
對等關稅違憲
新聞
熱門
政治
社會
娛樂
生活
新奇
健康
國際
兩岸
運動
財經
房產
旅遊
科技
汽車
遊戲
ESG
影音
總覽
政論
節目
熱搜
直播
iNEWS
專題
總覽
特企
專頁
大事件
彩券
專欄
民調
快訊
散戶瘋狂抄底!台積電2天零股交易近5百億
00:00
施凱爾為是否攻伊朗辯駁 稱英需保持冷靜
23:59
奇鼎私募引進新應材 新增戰略合作夥伴!
23:58
已知1200死 德黑蘭揚言摧毀中東基礎設施
23:56
蘋果發表最平價筆電MacBook Neo 2萬有找
23:39
拚進名校!家長頂低溫 夜排報貴族私幼
23:33
花蓮外海驚見「巨大屍體」流進定置漁場
23:31
15%關稅要來了!美財長:可能本週實施
23:08
12年神劇迎最終章 女星竟槓上日本首相
23:08
游淑貞花蓮火車站造勢 她:第一天就踩線
23:06
砍盲房東297刀 兒悔:天真以為兇手會懺悔
23:06
戰火未歇!伊朗顧問表態:不與美談判
22:58
外交部設中東情勢專區 即時更新安全建議
22:51
哈米尼國喪延後!傳接班人「躲過空襲了」
22:51
《咒術迴戰》神曲原唱來了 攻蛋連唱兩天
22:51
新/傳伊朗想談和!美股開盤4大指數回血
22:36
AI教父辛頓拋震撼彈:AI學會「裝傻」了!
22:36
停戰有望?紐時:伊朗接觸CIA想談判
22:23
臨時出任務有嚇到 張政禹親曝趕飛機過程
22:22
朴春合成裸照示愛李敏鎬 脫序貼文遭挖出
22:19
台灣彩券開獎直播中
20:31
美軍史詩怒火狂炸2000目標
14:45
「台八男神」龍語申「肌」情預告!
17:00
純喫茶X《傳說對決》限時虛寶登場!
10:00
賓果賓果鬧元宵 大樂透、今彩539續加碼
12:00
開工打造好運勢 小人退散能量水晶迎貴人
12:00
祥獅獻瑞迎開工!愛妮雅集團新年藍圖首曝
17:00
瘦身急救章 一秒塑身穿上小號緊身洋裝
11:00
初九天公生 松山奉天宮備平安麵共享
16:00
捷運七張站走路2分鐘 友座明明德機能到位
15:00
開學換機酷澎火箭速配隔日到貨
10:00
企業暖心故事 一份工作撐起整個家
13:00
Xtars人氣直播主大揭密 鏡頭下的甘苦
13:00
土城永福岩清水祖師廟擲筊大賽 頭獎百萬
12:00
初一金山財神廟湧人潮 聯名蛋捲禮盒喜氣
11:00
「星城Online x戲說台灣」單元劇引爆話題
12:00
首頁
關鍵字
暴風侵襲率
暴風侵襲率
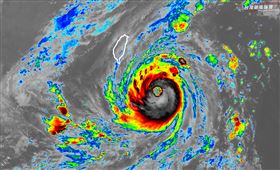
風王樺加沙暴風圈直闖2縣市!侵襲率飆97%
根據中央氣象署最新資料顯示,強颱樺加沙(RAGASA...
2025/09/23 04:47
2地暴風侵襲率97% 9縣市達停班課標準
「風王」樺加沙持續增強,暴風圈逐漸壟罩台灣,台東甚至...
2025/09/22 15:38
10縣市達停班課標準!全台最新風雨預測曝
強颱樺加沙(RAGASA)持續逼近,中央氣象署持續發...
2025/09/22 07:17
樺加沙逼台路徑曝!暴風圈侵襲2縣市破95%
強颱樺加沙(RAGASA)持續逼近中,暴風半徑也會擴...
2025/09/22 07:09
週一颱風假有望?樺加沙暴風圈侵襲率90%
颱風樺加沙(RAGASA)持續逼近中,暴風半徑也會擴...
2025/09/21 10:32
樺加沙今轉強颱估陸警範圍!颱風假關鍵曝
颱風樺加沙(RAGASA)持續逼近中,中央氣象署今(...
2025/09/21 10:10
颱風假?樺加沙最新路徑曝 暴風侵襲85%
第19號颱風「浣熊」增強,轉為今年第一個強烈颱風,由...
2025/09/21 05:02
樺加沙路徑曝暴風侵襲63%!估成超級颱風
米塔颱風、樺加沙颱風、浣熊颱風相繼於18日生成,太平...
2025/09/19 04:51
明有望放颱風假?13地暴風侵襲率飆破90%
楊柳颱風正朝著台灣方向撲來,中央氣象署於今(12)日...
2025/08/12 15:28
會放颱風假?全台18地區暴風侵襲率達100%
強颱康芮來襲,今(30)日中央氣象署指出,14時康芮...
2024/10/30 16:02
康芮清晰颱風眼照曝!專家:挑戰巔峰狀態
中颱康芮來勢洶洶,增強為中度颱風上限,持續朝西北方向...
2024/10/30 04:32
有望颱風假?康芮暴風圈侵襲率15地破90%
颱風康芮來勢洶洶,中央氣象署預估路徑又離台灣更近,週...
2024/10/28 05:32
想放颱風假?12縣市暴風侵襲率「破90%」
颱風山陀兒來襲,中央氣象署今(30)日凌晨發布陸上颱...
2024/09/30 10:56
颱風假有望?5縣市「暴風圈侵襲率」99%
中度颱風凱米持續進逼,中央氣象署在22日晚間23點3...
2024/07/23 04:48
最新圖輯
更多
初孟軒、鍾岳軒專訪
龍千玉與翁立友領豪記唱片群星拜年
Rain鄭智薰小巨蛋演唱會
金在中演唱會
羅志祥30周年演唱會
凱琳專訪
黃鐙輝、吳念軒、黃騰浩專訪
第62屆金馬獎得獎後台
第62屆金馬獎紅毯
劉書宏專訪
今日頭條
1
停戰有望?紐時:伊朗接觸CIA想談判
2
美軍證實擊沉軍艦!美國防長:伊朗完蛋了
3
臨時出任務有嚇到 張政禹親曝趕飛機過程
4
藍白強行通過3爭議法案 卓揆「不副署」
5
太子集團洗錢107億!9羈押被告通通交保
6
台灣人集結東京巨蛋!超壯觀畫面曝光
7
許維恩罹乳癌急切雙乳救命!IG首度發聲
8
助理李俊敏被控當中國密使 賴士葆回應了
9
保時捷戰賓士!甩尾撞擊、砸車大亂鬥
10
阿聯酋復航501旅客返台!桃機送1物保平安
HOT焦點
更多
麵攤女兒前進市議會 卓佩于拚出線
「台八男神」龍語申「肌」情預告!
純喫茶X《傳說對決》限時虛寶登場!
頻道推薦
直播✦活動
三立新聞網
為了提供更好的閱讀內容,我們使用相關網站技術來改善使用者體驗,也尊重用戶的隱私權,特別提出聲明。
了解最新隱私權聲明
知道了