APP下載
活動
爆料
圖輯
AI爆報
追蹤新聞
3
台灣彩券開獎直播中
三立iNEWS新聞台線上直播
LIVE三立+24小時直播
即時
黃明志捲命案
太子集團詐騙
新聞
熱門
政治
社會
娛樂
生活
新奇
健康
國際
兩岸
運動
財經
房產
旅遊
科技
汽車
遊戲
ESG
影音
總覽
政論
節目
熱搜
直播
iNEWS
專題
總覽
特企
專頁
大事件
彩券
專欄
民調
快訊
謝侑芯命案 家屬訴求證據完整、調查透明
02:17
爽!U16女排亞錦賽台灣3比1宰中國 拚首冠
02:10
新/科技股慘遭血洗!美股四指全線重挫
02:05
全民領1萬不亂花 1萬投資這樣配報酬更高
01:38
謝淑薇WTA4強落敗 無緣挺進女雙冠軍戰
01:37
蕭美琴IPAC演講:台海和平攸關全球穩定
01:32
蕭副總統訪歐發表演說 范雲:見證歷史
01:27
蕭美琴歐洲議會:全球繁榮仰賴自由的台灣
01:23
朱茵:我被騙了!王晶把愛情片拍成三級片
01:02
蕭美琴歐洲議會發表演說 外交部回應
01:01
倪妮、楊冪「無內褲」走紅毯是真的嗎?
00:50
外交突破!蕭美琴歐洲議會發表歷史性演說
00:45
南韓懲戒團性剝削342人 21歲首腦落網
00:12
川普關稅若敗訴 Plan B情境推演曝光
00:12
古羅馬奴隸主如何對待女奴隸?真相太殘酷
00:07
他本來想征服中國,結果走錯路征服了印度
00:02
捧百萬還債被嗆 台北街頭大亂鬥刀砍濺血
23:52
興達又炸?真相曝光 災害操演來真的
23:37
全球都想學 擺脫中國稀土控制的他
23:22
台人出國旅遊「一眼就被認出」 網曝5特質
22:59
台灣彩券開獎直播中
20:31
台中第三季預售王 3案竟包辦全市2成銷量
17:00
空姐「制服救星」熱銷200萬盒成高空新寵
12:30
離島醫療後送升級 噴射機後送爭分奪秒
21:00
近視矯正新科技網紅醫師談EVO ICL
15:00
中信房屋公益月 8場捐血活動傳遞生命希望
10:00
TCCF「集集」旅程啟航 臺韓共創浪漫劇
16:00
最愛小孩!「紗布衣、小橘帽」與孩童結緣
16:00
三高患者健康危機!流感、帶狀疱疹預防
12:00
外送員該是承攬還雇傭?她籲四方都要贏
18:57
首頁
關鍵字
超級颱風
超級颱風
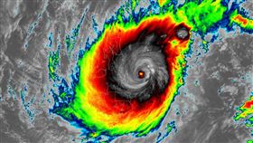
鳳凰最快明晚成超級颱風!巔峰強度時間曝
今年第26號颱風「鳳凰」來勢洶洶,中央氣象署預估,期...
2025/11/07 13:52
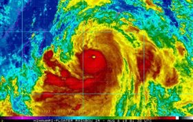
鳳凰恐成「超級颱風」!這天鬼轉撲向台灣
鳳凰颱風在今(6)日凌晨2時生成,8時中心位置在北緯...
2025/11/06 11:50
樺加沙達超級颱風標準!暴風圈今觸4地區
今年第18號颱風樺加沙在昨日升級為強烈颱風,今(22...
2025/09/22 09:20
天兔有機會侵台 美軍評定為「超級颱風」
中央氣象署今(14)日05時30分針對天兔颱風發布海...
2024/11/14 08:34
3重因素交互作用 冬季也恐有超級颱風
台灣師範大學團隊研究發現,在太陽黑子活躍、全球暖化、...
2023/11/07 18:53
杜蘇芮估今成超級颱風!台1地致災性降雨
今年第5號颱風「杜蘇芮(Doksori)」強度已轉為...
2023/07/24 05:11
日本最強等級 南瑪都強風堪比龍捲風
日媒將今年第14號颱風南瑪都稱為「史上最強等級」颱風...
2022/09/18 13:53
雷伊「開眼」 專家:五級超級颱風
今年第22號颱風「雷伊」一早8點增強為強颱,預計周末...
2021/12/16 11:15
璨樹升超級颱風 將襲菲恐掀超高巨浪
菲律賓當局預測,颱風璨樹侵襲菲國東北部恐掀起2.5至...
2021/09/10 23:10
「野獸」哈吉貝 恐是今年最猛超級颱
中央氣象局的資料也顯示,目前哈吉貝中心氣壓降至915...
2019/10/08 07:45
利奇馬撲台灣!CNN:恐變超級颱風
強烈颱風利奇馬海陸警報都已經發布,陸上警報範圍擴大到...
2019/08/08 14:58
瑪莉亞開眼了!吳德榮:恐成超級颱風
今年第8號颱「瑪莉亞」已在今(6)日清晨增強為中度颱...
2018/07/06 08:41
莫蘭蒂若登台 CNN:16年來最強
強颱「莫蘭蒂」直逼台灣,因其外圍環流大,全台都會受影...
2016/09/13 16:13
昌鴻恐成「超級颱風」星期五全台有雨
現在太平洋海面一共出現三個颱風,首先發佈陸警的蓮花颱...
2015/07/08 15:23
最新圖輯
更多
劉書宏專訪
袁澧林、陳孝萱專訪
第36屆金曲獎星光大道
第36屆金曲獎得獎圖輯
NMIXX林口體育館粉絲演唱會
KISS OF LIFE台北演唱會
林芯儀專訪
GYUBIN大巨蛋開球
陳謙文專訪
孫麥傑專訪
今日頭條
1
蕭美琴歐洲議會:全球繁榮仰賴自由的台灣
2
羽球天后戴資穎宣布退役 賴清德留言致謝
3
新/科技股慘遭血洗!美股四指全線重挫
4
白宮曬習近平燦笑瞇眼照 中國人卻看不到
5
鳳凰這天抵達台灣上空 強風豪雨恐掃全台
6
謝侑芯案家屬出手!要求警方全面調取監控
7
李多慧感性發文!來台第3年預告明年挑戰
8
遭美沒收4千億!太子集團負責人悠閒打牌
9
黃明志女友激似越南林志玲!本尊嚇壞發聲
10
颱風恐襲台 南部這區居民懼怕:這次一定跑
HOT焦點
更多
有故事的料理 在眷村日式建築品嘗四川菜
空姐「制服救星」熱銷200萬盒成高空新寵
最愛小孩!「紗布衣、小橘帽」與孩童結緣
頻道推薦
直播✦活動
三立新聞網
為了提供更好的閱讀內容,我們使用相關網站技術來改善使用者體驗,也尊重用戶的隱私權,特別提出聲明。
了解最新隱私權聲明
知道了