APP下載
活動
爆料
圖輯
AI爆報
追蹤新聞
3
台灣彩券開獎直播中
三立iNEWS新聞台線上直播
LIVE三立+24小時直播
即時
對等關稅違憲
九合一點將
新聞
熱門
政治
社會
娛樂
生活
新奇
健康
國際
兩岸
運動
財經
房產
旅遊
科技
汽車
遊戲
ESG
影音
總覽
政論
節目
熱搜
直播
iNEWS
專題
總覽
特企
專頁
大事件
彩券
專欄
民調
快訊
埔里森林7天燒29公頃 起火原因調查中
22:02
熱/2026矽光子爆發期 台廠14檔起飛
22:00
美媒:中國經濟正深陷通縮惡性螺旋
21:59
他曬米糕引戰釣出蔡英文 神回9字網笑瘋
21:56
蔡賴蕭三巨頭同框「曬毛孩」溫馨互動曝光
21:47
合歡山新亂象玩飛行傘 管理站開罰了
21:28
春節病床難求!病患半夜消失做1事醫氣炸
21:27
台積電ADR漲2.38% 美新關稅台股影響有限
21:24
新/東京晴空塔電梯急墜 15至20人受困
21:13
守護沒下課時間!護童專案升級安心上學路
21:05
低軌衛星報告來了! 台股三雄你必收
21:00
新/萬華火警!木造屋碳化…救出99歲老翁
20:50
快訊/大樂透2/22中獎號碼出爐
20:40
新/1億大樂透獎號出爐 百萬紅包剩211組
20:39
網發起「都是賴清德害的」 總統曬1圖參戰
20:30
看扁台灣隊!韓媒酸:連「墊底」都贏不了
20:15
400中國帳號疑介選 散布不利高市內容
20:12
Makiyo離婚2年未斷聯前婆婆 洩真實互動
20:08
馬年開紅盤軍工、記憶體 4檔台股報告曝
20:00
賈永婕嗆蔣中正:繼續罰坐 這打卡網讚爆
19:48
台灣彩券開獎直播中
20:31
台彩春節加碼12億元創新高
12:00
大樂透加碼480組100萬元
12:00
大樂透加碼800組10萬元
12:00
初一金山財神廟湧人潮 聯名蛋捲禮盒喜氣
14:00
拜拜,其實很有台灣式幽默!
09:00
WE ARE我們的除夕夜 跨世代卡司陪觀眾
11:00
星城Online攜手《戲說台灣》拍創意單元劇
12:00
MY管管尾牙熱鬧登場 主打福利吸新戰力!
17:45
土城永福岩祖師廟擲筊賽 首獎祭百萬現金
14:50
春節最佳去處!桃園龍德宮成網美打卡點
13:00
以高回饋機制協助家庭資金更有效率運用
16:00
暗黑風格吸血鬼遊戲新作3/11上市!
12:00
幸福企業!愛妮雅集團成員工最強後盾
12:00
永旭保經留才 調整制度拚長期發展
11:30
首頁
關鍵字
陸地
陸地
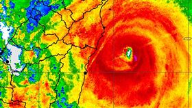
最快這天再成颱!路徑很接近台灣北部陸地
今(20)日晚間到明(21)日台灣東南方有個不成形的...
2025/07/20 18:48
康芮撞護國神山 中心從雲林縣麥寮鄉出海
康芮颱風今(31)日下午從台東成功鎮登陸,直衝中央山...
2024/10/31 18:59
強颱康芮來勢洶洶 今晚暴風圈影響台陸地
強颱康芮來勢洶洶!國家災害防救科技中心發送警告,暴風...
2024/10/30 10:56
山陀兒恐成首個登陸西南陸地強颱!專家憂
根據最新資料顯示,第18號颱風過去3小時強度略為增強...
2024/10/01 10:53
颱風山陀兒路徑又偏西 不排除登陸
交通部中央氣象署今天表示,中颱山陀兒仍然增強長胖,且...
2024/09/29 16:04
凱米離宜花剩50km!專家:雨勢才正要開始
「凱米」颱風已在今(24)日11時已升級為強烈颱風,...
2024/07/24 16:40
凱米來勢洶洶!專家:還有2股強大勢力襲來
中央氣象署指出,中颱凱米過去3小時強度略為增強,暴風...
2024/07/24 07:20
洞庭湖潰堤恐怖對比照 僅9天大片陸地消失
中國多地近日受強降雨影響,位於湖南省的洞庭湖5日突然...
2024/07/07 11:41
地震活躍期來了!專家:這2區最危險
自23日凌晨1:40全台狂震,至當日20時30分止,...
2022/03/24 09:19
中國發射陸地探測一號 監測地質災害
中國陸地探測一號01組A星今天上午7時44分成功發射...
2022/01/26 16:21
《海上鋼琴師》選擇太多像毫無選擇
《海上鋼琴師》的英文片名是The Legend of...
2020/01/09 16:27
西藏地理普查 9成陸地逾3500米
西藏地區第一次全國地理國情普查,將西藏地勢的情況做統...
2017/11/09 22:22
從海面掃向陸地 屏東滿州驚見水龍捲
南台灣這兩天非常熱,屏東滿州出現海上水龍捲,而且這水...
2017/09/25 17:12
持續增強 專家:尼莎颱風侵台機會高
九號颱風尼莎在昨天下午生成,動向引發關注,氣象專家彭...
2017/07/27 10:35
尼斯湖水怪上岸了?目擊民眾:像恐龍
傳說中的尼斯湖水怪上岸了?蘇格蘭的小鎮基爾恩(Kil...
2017/07/20 14:31
萬丹火警冒黑煙 環保署:落塵飄海
屏東萬丹塑膠棧板工廠鳳榮企業的火警從昨(5)日燃燒至...
2017/07/06 14:19
137年來最熱8月!全球創高溫紀錄
8月份天氣炎熱,中央氣象局預報中心主任鄭明典今(21...
2016/09/21 11:40
火山岩漿冷卻堆積 竟讓島嶼面積擴大
這難道是天災的附加價值嗎?講到火山爆發大家應該都覺得...
2016/07/31 20:33
明後天最冷 北部東北部低溫下探4度
這一波冷空氣真的很強,今(23)日各地的氣溫都在往下...
2016/01/23 19:40
最新圖輯
更多
初孟軒、鍾岳軒專訪
龍千玉與翁立友領豪記唱片群星拜年
Rain鄭智薰小巨蛋演唱會
金在中演唱會
羅志祥30周年演唱會
凱琳專訪
黃鐙輝、吳念軒、黃騰浩專訪
第62屆金馬獎得獎後台
第62屆金馬獎紅毯
劉書宏專訪
今日頭條
1
新/1億大樂透開出了!2注平分獎落2縣市
2
新/萬華火警!木造屋碳化…救出99歲老翁
3
新/東京晴空塔電梯急墜 15至20人受困
4
獨/亮10公分利刃逛北車 持刀男容貌曝光
5
想聽古典樂又喊關!男墜橋亡…運將還原了
6
賴清德23日邀五院院長茶敘 全程閉門進行
7
藍白頻喊關稅重談 學者轟:重修小學數學
8
生前畫面曝!3車友出遊…過彎屍墜谷剩煙
9
賈永婕嗆蔣中正:繼續罰坐 這打卡網讚爆
10
韓國瑜醞釀「國會遷建」2可能地點曝光
HOT焦點
更多
以高回饋機制協助家庭資金更有效率運用
幸福企業!愛妮雅集團成員工最強後盾
暗黑風格吸血鬼遊戲新作3/11上市!
頻道推薦
直播✦活動
三立新聞網
為了提供更好的閱讀內容,我們使用相關網站技術來改善使用者體驗,也尊重用戶的隱私權,特別提出聲明。
了解最新隱私權聲明
知道了