APP下載
活動
爆料
圖輯
AI爆報
追蹤新聞
5
非洲豬瘟最新疫情報告
白沙屯媽祖贊境新北最新狀況
台灣彩券開獎直播中
三立iNEWS新聞台線上直播
LIVE三立+24小時直播
即時
非洲豬瘟侵台
輝達進駐台北
新聞
熱門
政治
社會
娛樂
生活
新奇
健康
國際
兩岸
運動
財經
房產
旅遊
科技
汽車
遊戲
ESG
影音
總覽
政論
節目
熱搜
直播
iNEWS
專題
總覽
特企
專頁
大事件
彩券
專欄
民調
快訊
粿粿跟家寧找同公關團隊?潔哥揪出1關鍵
15:32
國防部早准供烏「戰斧」 但拍板得看川普
15:31
返台參加遊行! 禹洙漢、河智媛當天來回
15:25
王子波及弟弟邱宇辰 現蹤高雄粉絲反應曝
15:23
馮淬帆病逝享壽81歲!昔痛批王晶害人慘
15:23
高雄國小畢旅遊日5天5千元 行程曝網羨慕
15:21
還沒獲鄭麗文約見面的訊息!黃國昌:別急
15:19
首艘遠洋巡護船命名西拉雅 賴清德曝意涵
15:16
拆公館圓環、輝達用地確定 李四川吐12字
15:15
這所國小畢旅去大阪才5千!超暖心原因曝
15:15
色男清晨染指女童 竟辯稱「不小心」
15:14
王子前世正緣粿粿 范姜上輩子是第三者
15:13
全聯重大突破!1改變網讚爆:超商請跟進
15:12
粿粿婚內出軌王子 過來人阿翔尷尬首發聲
15:09
粿粿自白被酸很空 陳沂「1句話」幫總結
15:03
2藍委涉造假連署遭起訴 民進黨說話了
15:02
獨/鹿港驚傳凶殺命案!男50多刀砍死老母
14:58
粿粿「iPad私人內容」流出:我真的很徬徨
14:56
5大行李別託運!地勤曝下場:拿不到賠償
14:56
服務處主任戴蘇巧慧飄帶!黃國昌又嗆記者
14:56
台灣彩券開獎直播中
20:31
白沙屯媽祖贊境新北最新狀況
06:30
非洲豬瘟最新疫情報告
15:30
外送專法受矚 三大平台籲政府加強溝通
14:00
有酷澎WOW會員 毛孩照顧更輕鬆
11:00
維生素B群功效與補充全解析!
14:00
日本熱銷4億包!糖脂對策 隨餐1包纖維粉
12:00
酷澎雙11狂購祭 美國保健品限時五折
11:00
八里國際化成形!港灣特區陸海空黃金三角
11:00
13聖杯!桃園護國宮爐主淚:太子爺早暗示
19:40
首頁
專題
生活
颱風+東北季風襲!致災降雨炸全台
颱風+東北季風襲!致災降雨炸全台
致災豪雨炸!北宜山區累積雨量近9百毫米
氣象局今(16)日表示,受颱風尼莎影響,台北市及宜蘭...
2022/10/16 11:32
颱風帶超大豪雨狂炸!全台5大雨量排行曝
氣象局上午在颱風警報記者會中表示,自昨(15日)到今...
2022/10/16 10:31
超大豪雨炸台北宜蘭山區 專家曝這天好轉
你有被窗外的大雨聲吵醒嗎?氣象局說,今天(16日)受...
2022/10/16 09:59
明天放颱風假?尼莎恐變中颱 氣象局回答
尼莎颱風持續增強,恐變中颱!尼莎颱風上午8點半位於鵝...
2022/10/16 09:49
土石流淹沒陽金公路 他驚:別上去陽明山
輕颱「尼莎」與東北季風共伴效應影響,陽明山今(16)...
2022/10/16 09:28
恐變中颱?氣象局:尼莎仍增強、豪雨襲2區
中央氣象局於今(16)日上午8點40分召開颱風警報記...
2022/10/16 09:17
共伴威脅防致災雨 17度低溫襲台這天好轉
中央氣象局16日2時「路徑潛勢預測圖」(左圖)顯示,...
2022/10/16 09:02
尼莎颱風1特徵 鄭明典示警:正在增強中
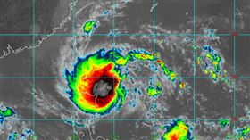
中央氣象局15日發布輕颱「尼莎」海上颱風警報,受到颱...
2022/10/16 08:25
國家警報又響!宜蘭雷雨來了、11縣市警戒
受到「尼莎」颱風外圍環流影響,易有短延時強降雨,氣象...
2022/10/16 08:17
陽明山豪雨爆土石流 道路封閉區域曝
第20號颱風「尼莎」外圍環流與東北季風的「共伴效應」...
2022/10/16 07:58
尼莎長大致災降雨襲2地區 宜蘭淹水警戒
第20號颱風「尼莎」外圍環流與東北季風的「共伴效應」...
2022/10/16 07:40
陽明山爆土石流!擎天崗24小時破6百毫米
第20號颱風「尼莎」外圍環流與東北季風的「共伴效應」...
2022/10/16 07:06
國家警報響!尼莎這時最近台 陸警機率曝
中央氣象局15日發布輕颱「尼莎」海上颱風警報,外圍環...
2022/10/16 06:47
尼莎再增強10縣市炸雨警戒 今明風雨最劇
中央氣象局發布輕颱「尼莎」海上颱風警報,易有短延時強...
2022/10/16 06:22
尼莎「再增強」 2地區防致災性大雨
颱風外圍環流影響,氣象局15日22時00分針對8縣市...
2022/10/16 00:05
尼莎來襲!藝術節臨時喊卡 萬芳演出取消
今年的第20號颱風「尼莎」逐漸接近,強度目前為輕度颱...
2022/10/15 22:34
輕颱尼莎16日早最接近!週一氣溫溜滑梯
颱風「尼莎」逐漸接近,中央氣象局於16時發布海上颱風...
2022/10/15 21:05
尼莎18日遠離!「這天」北台灣低溫探17度
尼莎颱風生成!今(15)日三立氣象主播吳德榮指出,尼...
2022/10/15 20:50
尼莎來襲!太平山森林遊樂區明起預警休園
根據中央氣象局最新氣象資料顯示,尼莎颱風逐漸靠近台灣...
2022/10/15 20:17
颱風挾豪雨!南橫公路路段明起封閉2天
今(15)日受到豪雨影響,南橫公路多次發生坍方、落石...
2022/10/15 20:13
尼莎將過巴士海峽!5離島航線明日全停航
第20號颱風「尼莎」生成,中央氣象局於今(15)日1...
2022/10/15 19:07
尼莎颱風發布海警!經濟部成立應變小組
第20號颱風「尼莎」生成,中央氣象局於今(15)日1...
2022/10/15 18:20
尼莎成形…各地風雨時程曝 這天遠離台灣
尼莎颱風成形!今(15)日臉書粉專《台灣颱風論壇|天...
2022/10/15 18:18
輕颱尼莎將「變強變大」!豪雨2天炸全台
第20號颱風「尼莎」生成,中央氣象局於今(15)日1...
2022/10/15 17:59
新/這縣市超大豪雨來襲 低漥地區防淹水
颱風外圍環流影響,今(15)日17時5分針對8縣市發...
2022/10/15 17:32
尼莎挾豪雨!石門水庫將進行調節性放水
第20號颱風「尼莎」正式生成,同時也帶來大雨,經濟部...
2022/10/15 17:18
雨彈炸雙北!翡翠水庫17:00起放水
翡翠水庫受熱帶性低氣壓及東北季風共伴效應影響,至今(...
2022/10/15 16:53
週末泡雨裡!尼莎大雨警戒 轉晴時機曝光
第20號颱風「尼莎」正式生成,中央氣象局也在16時發...
2022/10/15 16:33
「尼莎」海警發布 颱風最新路徑曝光
第20號颱風「尼莎」生成,中央氣象局宣布於16時發布...
2022/10/15 16:04
新/颱風「尼莎」生成!氣象局16時發海警
今(15)日日本氣象廳發布,熱帶性低氣壓TD23已於...
2022/10/15 15:15
«
‹
1
2
3
4
5
›
»
最新圖輯
更多
劉書宏專訪
袁澧林、陳孝萱專訪
第36屆金曲獎星光大道
第36屆金曲獎得獎圖輯
NMIXX林口體育館粉絲演唱會
KISS OF LIFE台北演唱會
林芯儀專訪
GYUBIN大巨蛋開球
陳謙文專訪
孫麥傑專訪
今日頭條
1
王義川、卓冠廷都不去 林岱樺造勢卡司曝
2
粿粿17分鐘痛哭道歉 6重點一文看懂
3
獨/鹿港驚傳凶殺命案!男50多刀砍死老母
4
粿粿哭認出軌王子!律師一句話曝離婚關鍵
5
普發現金1萬「直接歸0」!一票點頭了
6
連鎖旅店出人命!男客入住陳屍房內
7
5大行李別託運!地勤曝下場:拿不到賠償
8
高雄國小畢旅遊日5天5千元 行程曝網羨慕
9
只休3天再投 美媒曝道奇G7先發就是大谷
10
老字號傳產關門!桃園染整大廠將結束營業
HOT焦點
更多
「苦盡甘來」助移工 印尼新住民日行一善
維生素B群功效與補充全解析!
轉大人文化節 提倡全齡健康管理從小做起
頻道推薦
直播✦活動
三立新聞網
為了提供更好的閱讀內容,我們使用相關網站技術來改善使用者體驗,也尊重用戶的隱私權,特別提出聲明。
了解最新隱私權聲明
知道了