APP下載
活動
爆料
圖輯
AI爆報
追蹤新聞
6
賴清德慰勉台北郵局同仁
黃仁勳今離台
立法院新會期報到!
台灣彩券開獎直播中
三立iNEWS新聞台線上直播
LIVE三立+24小時直播
即時
九合一點將
台美關稅15%
新聞
熱門
政治
社會
娛樂
生活
新奇
健康
國際
兩岸
運動
財經
房產
旅遊
科技
汽車
遊戲
ESG
影音
總覽
政論
節目
熱搜
直播
iNEWS
專題
總覽
特企
專頁
大事件
彩券
專欄
民調
快訊
打老婆手機竟是別的男人接 醋男釀大亂鬥
10:52
8旬嬤每天待麥當勞16小時!這幕暖爆6萬人
10:51
1圖揭未來天氣 鄭明典:「這時」轉穩定
10:46
獵魔女團Golden獲葛萊美獎 她成關鍵推手
10:43
吳尊與老婆30週年放閃 粉絲卻怒罵:騙局
10:43
Melody遭店員爆奧客 本尊土下座限動發聲
10:42
職涯重新開局 王品店長年薪最高突破300萬
10:41
ICE將男童當誘餌抓捕 哭哭帽男童獲釋!
10:40
大便像「陶土」出事了 3糞便警訊恐藏腫瘤
10:40
台股盤中崩逾600點 各類股全面潰敗!
10:37
新/宅驚傳槍響!中年男「左胸中彈」身亡
10:37
蕭旭岑稱兩岸親人不應切割!沈伯洋嗆這句
10:36
小S愛女Lily疑戀愛 澳洲同框高帥男被拍
10:36
酷的夢YT被盜!《中文怪物》心血恐遭刪
10:36
好市多1款育兒神器遭掃貨 婆媽大讚
10:28
Melody遭指「服務業殺手」 經紀人回應了
10:28
網友嗆蘇家父女「禍害新北」 反遭打臉
10:25
禁童餐廳暴增是厭童?網曝1類人才是關鍵
10:21
CPB結束曹錦輝0出賽 福州海俠曝有這任務
10:19
遭起底黑道背景!陳見賢發言人澄清她愣了
10:18
台灣彩券開獎直播中
20:31
立法院新會期報到!
07:30
黃仁勳今離台
08:30
賴清德慰勉台北郵局同仁
10:00
「星城Online x戲說台灣」單元劇引爆話題
12:00
尿布不斷貨 酷澎火箭速配最快隔天到
13:00
「2026新北ACGE產業學院」專業培訓啟動
12:30
大掃除神隊友!一噴除垢 晶亮好省力
12:00
首頁
關鍵字
中央氣象局
中央氣象局
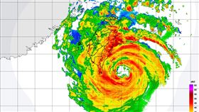
鳳凰颱風登陸後「貫穿台灣」這天才出海
鳳凰颱風逐步接近,預計以輕颱之姿來犯,原本中央氣象署...
2025/11/10 20:40
13級↑強陣風威力曝!連續狂尻…貨車躺了
中度颱風「丹娜絲」昨天(6日)深夜從嘉義縣沿海布袋登...
2025/07/07 06:46
丹娜絲颱風來襲 保誠人壽保戶關懷啟動!
中央氣象局日前已針對「丹娜絲」颱風發布海陸颱風警報,...
2025/07/07 03:30
強震破50年最強紀錄 專家:防地震活躍期
本月21日凌晨,國家級警報突然響起,緊接著在0點17...
2025/01/25 07:06
6.4強震「老家劇晃巨響」 蔡阿嘎:好嚇人
嘉義縣大埔鄉今(21)日凌晨0時17分,發生規模6....
2025/01/21 08:54
上下震又左右搖!網勾起921大震恐怖記憶
嘉義縣大埔鄉今(21)日凌晨0時17分,發生規模6....
2025/01/21 07:17
深夜連55震國家警報響!6.4全台搖震度6弱
嘉義縣大埔鄉今(21)日凌晨0時17分,發生規模6....
2025/01/21 06:28
看經緯度超毛!震央與61年前強震完全重疊
嘉義縣大埔鄉今(21)日凌晨0時17分,發生規模6....
2025/01/21 05:20
中國霾害襲台!環境部示警:空污連續4天
中國空氣霾害今起襲台!根據中央氣象局資料,中國上海至...
2025/01/06 10:01
台灣地形發威!康芮颱風眼看不到了
今年第21號颱風「康芮」已於今(31)日登陸台東縣成...
2024/10/31 15:35
新/「康芮」13:40登陸台東成功鎮
根據中央氣象署最新資料顯示,今年第21號颱風「康芮」...
2024/10/31 13:54
康芮最快中午登陸 本島明上午脫離暴風圈
強颱「康芮」今(31)日到明天清晨最接近台灣,由於移...
2024/10/31 10:30
再放1天?明晨全台22縣市皆達停班課標準
康芮颱風來襲,根據中央氣象署今(31)日10:00發...
2024/10/31 09:55
康芮逼近!部落土石流溢淹…花蓮慘況曝光
強颱「康芮」逼近,台灣東部首當其衝,今天(31日)凌...
2024/10/31 08:40
新/本島全數納陸警 全台風雨時程一次看
中央氣象署持續針對強颱「康芮」發布海上、陸上颱風警報...
2024/10/30 17:36
康芮有機會成首例「10月下旬登陸強颱」
「康芮」強度仍為強颱,中央氣象署預估,康芮最快今(3...
2024/10/30 15:29
新/陸警增6縣市 本島剩基隆台北未列入
強颱「康芮」來勢洶洶,中央氣象署今(30)日14:3...
2024/10/30 14:41
康芮成今年最胖颱風 北部最快下午納陸警
強颱「康芮」暴風圈範圍從300公里擴大至320公里,...
2024/10/30 12:31
新/下班雨勢升級!17縣市豪雨、大雨特報
中央氣象署今(12)日16時05分對全台17縣市發布...
2024/08/12 16:23
新/南投縣豪雨特報 北北基10縣市防大雨
對流雲系發展旺盛,易有短延時強降雨,中央氣象署持續更...
2024/07/09 19:14
Google地圖也示警了!3區驚現淹水警戒
中央氣象署今(16)日下午4時25分,針對13縣市發...
2024/06/16 18:20
3縣市大雨特報 台北熱到亮黃燈
中央氣象署今(12)日下午13時55分發布大雨特報,...
2024/06/12 16:06
新/18縣市大雨特報 38鄉鎮區慎防大雷雨
中央氣象署今(2)日15時10分針對全台18個縣市發...
2024/06/02 16:20
1縣市大雨特報 雨彈預估下到明天!
今(26)晚鋒面接近台灣,中央氣象署19時15分發布...
2024/05/26 22:30
大雷雨強襲「1縣市」 狂轟超過1小時
對流雲系發展旺盛,易有短延時強降雨,今(25)日上午...
2024/05/25 11:25
午後對流旺盛 「1縣市」大雨特報
今(5)日有鋒面接近台灣,中央氣象署下午14時5分發...
2024/05/05 14:23
凌晨再爆規模5.0地震!全台16縣市有感
今(29)日凌晨1點40分發生有感地震,根據中央氣象...
2024/04/29 07:27
2:26花蓮地牛連續翻身 網:全台都被搖醒
中央氣象署發布第266號顯著有感地震報告,今天凌晨2...
2024/04/23 02:57
今第5震!規模4.3極淺層地震、8縣市有感
今天(16日)8點23分發生有感地震,根據中央氣象署...
2024/04/16 08:48
花蓮規模4.2「極淺層地震」 最大震度3級
今天(16日)8點23分發生有感地震,根據中央氣象署...
2024/04/16 08:36
最新圖輯
更多
羅志祥30周年演唱會
凱琳專訪
黃鐙輝、吳念軒、黃騰浩專訪
第62屆金馬獎得獎後台
第62屆金馬獎紅毯
劉書宏專訪
袁澧林、陳孝萱專訪
第36屆金曲獎星光大道
第36屆金曲獎得獎圖輯
NMIXX林口體育館粉絲演唱會
今日頭條
1
黃仁勳來台5天見不到!蔣萬安曝簽約時間
2
新/宅驚傳槍響!中年男「左胸中彈」身亡
3
Melody遭指「服務業殺手」 經紀人回應了
4
黃國昌衝康柯文哲?他:已經不是第一次
5
台人放鳥日本司機 肉搜爆他高雄開便當店
6
台64丟包學霸 司機若有1動作恐構殺人罪
7
首例漢他病毒亡!醫曝1症狀:8、9成死亡
8
獨/本土女星罹癌開刀續命 大腸急切9息肉
9
自稱台灣女生 網紅抖音影射暗殺高市早苗
10
他看謝家白宮:藍營一堆地方派系吃銅吃鐵
HOT焦點
更多
「星城Online x戲說台灣」單元劇引爆話題
被大雨顛倒的城市 失序暴雨納入掌控
「2026新北ACGE產業學院」專業培訓啟動
頻道推薦
直播✦活動
三立新聞網
為了提供更好的閱讀內容,我們使用相關網站技術來改善使用者體驗,也尊重用戶的隱私權,特別提出聲明。
了解最新隱私權聲明
知道了