APP下載
活動
爆料
圖輯
AI爆報
追蹤新聞
3
台灣彩券開獎直播中
三立iNEWS新聞台線上直播
LIVE三立+24小時直播
即時
非洲豬瘟侵台
輝達進駐台北
新聞
熱門
政治
社會
娛樂
生活
新奇
健康
國際
兩岸
運動
財經
房產
旅遊
科技
汽車
遊戲
ESG
影音
總覽
政論
節目
熱搜
直播
iNEWS
專題
總覽
特企
專頁
大事件
彩券
專欄
民調
快訊
疑費鴻泰侄子涉詐 騙百戶裝潢捲上億落跑
06:00
瞄準G6奪冠 春天哥帶傷上陣藍鳥最強合體
05:58
亞馬遜和蘋果財報亮麗 激勵美股反彈收紅
05:42
粿粿出軌反應露餡!律師揭1句話只是話術
05:36
最毒蔬果排行曝!含4種以上農藥
05:30
美財長:2年內可保稀土替代來源北京失算
05:10
外資狂倒284億 這檔大牛竟被買到漲停!
04:39
熱/金流追蹤10日漲多 15檔分析必看
04:00
Win10退場帶旺PC換機 法人點這2檔組合
03:50
9月外銷訂單創史高 這檔擁供應鏈續點火
03:03
輝達銷售5000億鎂 台股獨家豪賺的他!
03:00
算力啟動多頭主升段來了 它3年報酬1.5倍
02:08
台中豬瘟場3度採陽 將採樣飼主家環境
01:21
輝達台灣總部落腳處 黃仁勳回應了
01:17
熱/結束光輝10月 資金轉向16檔題材曝
01:11
新/美股漲跌互見 Amazon、Twilio成亮點
01:07
AI還沒瘋才剛暖身 這檔將大啖投資商機!
00:58
個股/台達電法說會後 新目標價出爐
00:07
手殘按錯零股變1張 台積電一鍵爽賺65萬
23:58
萌娃萬聖節變裝王世堅!西裝、飄逸秀髮
23:57
台灣彩券開獎直播中
20:31
維生素B群功效與補充全解析!
14:00
日本熱銷4億包!糖脂對策 隨餐1包纖維粉
12:00
酷澎雙11狂購祭 美國保健品限時五折
11:00
八里國際化成形!港灣特區陸海空黃金三角
11:00
13聖杯!桃園護國宮爐主淚:太子爺早暗示
19:40
首頁
關鍵字
雷達
雷達
無人機頻擾 歐洲擬建「無人機牆」防俄鄰
俄羅斯無人機頻頻侵擾歐洲領空,丹麥多座機場與軍事基地...
2025/10/02 15:00
36公尺內飆98公里!駕駛挨罰冤喊:不可能
台北市廖姓男子去年開車行經桃園市平鎮區,高速行駛98...
2025/09/22 14:06
俄機侵鄰又轟烏克蘭 波蘭北約戰機急升空
近期俄羅斯的戰機與無人機,頻頻闖入北約東側的領空,囂...
2025/09/21 14:30
為升跨足無人機反制系統 進攻中東市場
過去專注汽車電裝與智慧感測解決方案的為升電裝今天宣布...
2025/08/18 16:50
神秘援助行動?陸3架貨機接近伊朗突消失
以色列與伊朗之間的衝突持續升溫,全球關注各國動向也受...
2025/06/18 17:51
父子偷渡沒人發現!海巡認:雷達沒偵測到
中共近期灰色侵擾不斷,16日又傳中國籍父子搭乘橡皮艇...
2025/05/19 08:27
自衛隊練習機「雷達光點消失」 疑墜水庫
日本航空自衛隊一架練習機驚傳墜機事故,有目擊者指看到...
2025/05/14 16:03
反抗軍攻進首都 敘利亞總統疑出逃墬機
敘利亞變天!總統阿塞德(Bashar al-Assa...
2024/12/08 17:44
中國發電機冒充歐洲貨 3業者詐海軍8千萬
國防部海軍司令部海軍艦隊指揮部,2019年採購雷達發...
2024/11/25 15:47
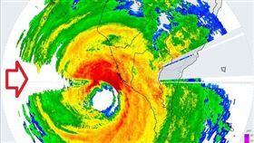
康芮十級風暴風半徑150公里 1998年後首見
中央氣象署表示,颱風康芮除了七級風暴風圈半徑達320...
2024/10/31 10:37
美對我軍售近638億元!國防部曝武器內容
國防部今(26)日表示,美國政府於美東時間10月25...
2024/10/26 09:46
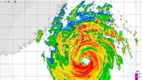
突發劇烈降雨 台大:僅能由雷達回波監看
颱風山陀兒環流豪雨重創北海岸,學者稱,市府若相信預報...
2024/10/05 23:00
山陀兒終於到家門口!中午前應該要進來了
山陀兒持續威脅台灣,氣象署表示,山陀兒3日9時的中心...
2024/10/03 09:57
鄭明典:小心囉,這片強降雨區將影響陸地
颱風影響慎防強風豪雨,西南沿海防暴潮海水倒灌!中央氣...
2024/10/03 08:47
警車撞900萬邁巴赫 傷1零件維修費破10萬
昨(25)日晚間有許多重量級明星出席DIOR活動,台...
2024/06/26 15:34
奇蹟!飛機迫降雪地斷2截 41人全數生還
自俄羅斯對烏克蘭發動攻勢的2年以來,飛機墜毀事件已屢...
2024/06/16 08:14
中國快艇衝淡水河!管碧玲:有30分鐘失誤
一名中國籍男子9日駕駛快艇闖淡水河漁人碼頭,並說是要...
2024/06/11 10:45
測到生命反應是康老師愛貓?搜救員曝看法
花蓮天王星大樓在3日規模7.2強震後嚴重傾倒,一名在...
2024/04/06 07:59
菲擬開發南海島礁添購裝備 中方堅決反對
針對菲律賓軍方日前表示,菲國計劃進一步開發南海島礁並...
2024/01/25 18:44
3官兵向錢莊借貸還不出 盜賣機密給中國
空軍某雷達站有多名官兵,疑似因無力償還與地下錢莊的借...
2024/01/09 16:30
菲國獲日製雷達系統 提高監控南海能力
菲中南海爭議持續升溫,馬尼拉向日本採購的首座空中監視...
2023/12/21 23:40
年輕人超依賴新車「1功能」老司機震驚了
科技日新月異,現在多數新款汽車都有搭載360度全景功...
2023/11/05 16:54
試駕特斯拉!馬斯克因「這件事」險丟命
特斯拉CEO馬斯克(Elon Musk)於2015年...
2023/09/18 09:00
北韓發射間諜衛星 首爾錯發警報引混亂
南韓軍方表示,北韓今早發射了據說是間諜衛星的物體;首...
2023/05/31 09:27
暴雨「整桶倒」!專家:最強雷雨胞還沒到
隨著鋒面正式通過台灣,台灣西半部地區、北部開始出現雨...
2023/05/22 22:24
汽車防盜花樣多 雷達致電車主、指紋辨識
我們都知道汽車本身就有「防盜系統」,但愛車被偷還是時...
2023/05/10 19:34
NASA證實「外星訪客」墜落美加邊境
美國航太總署(NASA)近日對外表示,有一顆隕石墜落...
2023/04/19 12:26
傳退役中校洩密弓三關鍵技術 中科院澄清
外傳中科院1名退役中校企圖竊取天弓三型飛彈等雷達技術...
2023/04/18 13:17
中間諜氣球配備太陽能電池板 可雷達供電
華盛頓郵報今天援引美國情報機構外洩文件報導,2月被美...
2023/04/16 06:57
掃墓時四周無人⋯車雷達上「周圍全人影」
清明連假將至,許多民眾有規劃假期出遊,也有民眾則要返...
2023/03/31 00:17
最新圖輯
更多
劉書宏專訪
袁澧林、陳孝萱專訪
第36屆金曲獎星光大道
第36屆金曲獎得獎圖輯
NMIXX林口體育館粉絲演唱會
KISS OF LIFE台北演唱會
林芯儀專訪
GYUBIN大巨蛋開球
陳謙文專訪
孫麥傑專訪
今日頭條
1
鄭麗文明就任藍黨魁 中共介選證據全曝光
2
和林信義見面 高市早苗喊:台灣總統府資政
3
送卓榮泰「望遠鏡+放大鏡」王世堅曝含意
4
總部卡關 黃仁勳親曝:大家都希望在台北
5
2700萬勞斯萊斯撞賓士 驚人維修費曝光
6
范姜3度發聲打臉王子說辭!4點律師聲明曝
7
全台最大黃牛夫妻又犯 夫聲押妻15萬交保
8
獨/清2次…豬瘟案場滿地糞便老鼠橫行
9
南市長民調!陳亭妃、林俊憲都領先謝龍介
10
GD登APEC晚宴獻唱!習近平竟甜笑狂點頭
HOT焦點
更多
八里國際化成形!港灣特區陸海空黃金三角
13聖杯!桃園護國宮爐主淚:太子爺早暗示
全台首輛行動CT車 桃園啟程貼心服務市民
頻道推薦
直播✦活動
三立新聞網
為了提供更好的閱讀內容,我們使用相關網站技術來改善使用者體驗,也尊重用戶的隱私權,特別提出聲明。
了解最新隱私權聲明
知道了