APP下載
活動
爆料
圖輯
AI爆報
追蹤新聞
4
白沙屯媽祖贊境新北
台灣彩券開獎直播中
三立iNEWS新聞台線上直播
LIVE三立+24小時直播
即時
非洲豬瘟侵台
輝達進駐台北
新聞
熱門
政治
社會
娛樂
生活
新奇
健康
國際
兩岸
運動
財經
房產
旅遊
科技
汽車
遊戲
ESG
影音
總覽
政論
節目
熱搜
直播
iNEWS
專題
總覽
特企
專頁
大事件
彩券
專欄
民調
快訊
LINE貼圖神功能消失!網敲碗:求回歸
15:24
獨/肉品廠遇禁宰令損千萬!調人力挺員工
15:22
謝侑芯昏迷飯店浴缸 黃明志CPR搶救無效
15:20
石碇「拓海哥」過彎失控 86猛撞電桿全毀
15:17
朱立倫規矩全顛覆?他封鄭麗文:邪惡軸心
15:10
新/重大車禍!男斷腳…2歲女童頸出血亡
15:08
台中女欠債2萬!遭囚摩鐵「鬼剃頭」灌毒
15:08
植物界的魚油 專家大推「1款油」抗發炎
15:02
地表最強老鐵!黃晳煕、張綺文 男女雙霸
15:02
林佳龍表態挺林岱樺!486先生這麼看
15:01
2清潔工掃溫泉池中毒亡 管家稱6年來首例
14:59
黃國昌遭疑戴髮片秒回應!他曝1細節奇怪
14:56
他不理「1現象」慘中風!還恐心梗、腎衰竭
14:55
林佳龍紐約設宴美方無人來?真相曝光
14:53
WS唯一版面和總欸賽跑 金慧成代守助奪冠
14:47
連續登板道奇不放心 山本用日文打退教練
14:45
短片爆紅全球獲獎 網驚:背後團隊是台灣
14:40
鐵人經濟/台灣人必做的事情2.0版升級了
14:37
31歲謝侑芯驟逝海外 驚傳黃明志人在現場
14:36
山本由伸獲MVP 大谷讚:他是世界第一
14:35
台灣彩券開獎直播中
20:31
白沙屯媽祖贊境新北
14:00
創意無極限!國中小生飆戲 宣傳節約能源
11:00
台灣大日月潭花火音樂會吸3.5萬人齊聚
22:00
外送專法受矚 三大平台籲政府加強溝通
14:00
有酷澎WOW會員 毛孩照顧更輕鬆
11:00
維生素B群功效與補充全解析!
14:00
日本熱銷4億包!糖脂對策 隨餐1包纖維粉
12:00
酷澎雙11狂購祭 美國保健品限時五折
11:00
八里國際化成形!港灣特區陸海空黃金三角
11:00
13聖杯!桃園護國宮爐主淚:太子爺早暗示
19:40
首頁
關鍵字
巔峰
巔峰
巔峰年薪260萬 他因這事慘遭拔權薪降4成
許多公司為了減輕人事成本,常會將年長員工調至無實權的...
2025/10/12 09:00
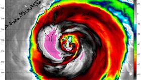
樺加沙升級超級颱風 專家示警3地區小心
強颱樺加沙(RAGASA)持續逼近,暴風半徑也正在擴...
2025/09/22 09:00
丹娜絲越來越紮實!粉專示警嚴重威脅2地
今年第4號颱風丹娜絲已於今(6)日上午11點增強為中...
2025/07/06 14:55
安芝儇嘴對嘴親上他 網羨慕:人生巔峰
韓籍啦啦隊女神安芝儇擁有亮麗的外型以及火辣的身材,來...
2025/07/06 11:12
林志玲「黑紗透視裝」」50歲狀態曝網暴動
「台灣第一名模」林志玲自2019年與日本男星AKIR...
2025/05/20 18:00
棒棒堂睽違15年合體 威廉突嘆巔峰已過去
男團棒棒堂睽違15年,今晚合體登上「第20屆KKBO...
2025/04/19 20:47
李鍾碩零偽裝現身香港 顏值回春再登巔峰
南韓演員李鍾碩(正名:李鐘奭)憑藉著帥氣外貌擄獲大批...
2025/02/27 12:09
AV女優爆身體出狀況 達人2關鍵全說了
日本AV女優「香水純」一出道就獲得「可愛巔峰」的封號...
2025/01/14 18:59
24號颱萬宜成「年度風王」超越山陀兒康芮
今年11月西太平洋出現罕見「四颱共舞」場面,打破歷史...
2024/11/16 22:00
2025年達巔峰!4生肖貴人扶持 展望輝煌
在歲月的長河中,每個生肖都承載著獨特的命運與希望。命...
2024/10/02 16:37
未來兩個月內,3生肖運勢爆棚 財運亨通
年末將至,許多人都期待著好運的降臨。人的運勢不會一成...
2024/09/23 14:39
3生肖迎巔峰!1月好運難擋 屬牛貴人相助
2024年1月下旬運勢出爐!《搜狐網》盤點3生肖1月...
2024/01/10 15:55
《赤心巔峰》衝出600萬!Lulu感動噴淚
紀錄片《赤心巔峰》上映一周全台票房衝破600萬,好評...
2023/12/26 08:21
周海媚巔峰時期有多正?PTT喊:選美等級
57歲港星周海媚11日傳出死訊,12日深夜經工作室證...
2023/12/13 11:44
漫威最強英雄歸來 驚奇隊長2再創宇宙巔峰
自從復仇者聯盟終局之戰後,許多影迷敲碗期待漫威影業還...
2023/11/08 18:30
海葵颱風巔峰直撲!結構扎實 1區特肥厚
颱風「海葵」襲台,中央氣象局預估最快今(3)日下午至...
2023/09/03 10:18
強颱蘇拉進入南海 迎「一生的強度巔峰」
強烈颱風蘇拉掠過巴士海峽,造成台南、高雄、屏東等地出...
2023/08/30 19:37
蘇拉將達顛峰!走1路線…這4縣市衝擊最大
中度颱風蘇拉在台灣東南方海域打轉,會不會直撲台灣是不...
2023/08/26 17:33
中國說唱決賽現場濺血 冠軍出爐不是瘦子
愛奇藝國際版熱播綜藝《中國說唱巔峰對決2023》22...
2023/07/24 11:31
杜蘇芮越來越大 專家喊1事:很快摸到台
今年第5號颱風「杜蘇芮(DOKSURI)」來勢洶洶?...
2023/07/23 14:58
宋慧喬橫跨4世代!憑復仇女神成演員巔峰
宋慧喬主演的復仇劇《黑暗榮耀》,昨日第二季在Netf...
2023/03/11 17:26
劉文正巔峰急退?經紀人:他最在意這句話
一代巨星劉文正昨(15日)被證實,已於去年11月因心...
2023/02/16 06:17
他問周杰倫這專輯有多猛?網讚:巔峰之作
周杰倫在2000發行首張同名專輯「Jay」出道,在隔...
2022/12/19 16:54
熬過11月,3生肖運勢達到人生巔峰!
11月已接近尾聲,如果最近覺得不是很順心,別氣餒,運...
2022/11/27 13:35
出道以來最胖!潘瑋柏驚曝最巔峰體重
出道將滿二十年的潘瑋柏,從當年的小鮮肉DJ,一直到如...
2020/07/06 14:33
中國經濟巔峰已過?網揭1時機跌一波
武漢肺炎(COVID-19、新冠肺炎)疫情爆發重創全...
2020/06/05 22:59
化學系的巔峰是什麼? 網列職涯規畫
許多人在高中畢業後升大學時,都必須選擇自己想唸的科系...
2020/05/07 22:04
大學是外表巔峰時期?網一面倒曝解答
許多人最喜歡和老同學在畢業後相聚,閒談當年青春時光,...
2020/03/27 15:13
蘭恩接近巔峰 鄭明典讚嘆:很有美感
強颱蘭恩日前正朝日本前進,中央氣象局科技中心主任鄭明...
2017/10/21 11:35
最新圖輯
更多
劉書宏專訪
袁澧林、陳孝萱專訪
第36屆金曲獎星光大道
第36屆金曲獎得獎圖輯
NMIXX林口體育館粉絲演唱會
KISS OF LIFE台北演唱會
林芯儀專訪
GYUBIN大巨蛋開球
陳謙文專訪
孫麥傑專訪
今日頭條
1
林佳龍紐約設宴美方無人來?真相曝光
2
謝侑芯昏迷飯店浴缸 黃明志CPR搶救無效
3
山本由伸獲MVP 大谷讚:他是世界第一
4
蔡依林罕見舉辦簽唱會!萬人擠爆北流搶看
5
新/特斯拉酒駕撞死老夫妻 車道滿地血
6
假日輕急症中心啟動 地點、收費一次看
7
《富爸爸》:即將大崩盤!數百萬人血本無歸
8
決賽1人拿3勝 山本奪MVP泛淚喊不可思議
9
JYP娛樂創辦人罕同框習近平 談話內容曝
10
趕快筆記!普發1萬5日開放預登記注意這些
HOT焦點
更多
13聖杯!桃園護國宮爐主淚:太子爺早暗示
創意無極限!國中小生飆戲 宣傳節約能源
首場造勢晚會3萬人相挺 林岱樺淚灑現場
頻道推薦
直播✦活動
三立新聞網
為了提供更好的閱讀內容,我們使用相關網站技術來改善使用者體驗,也尊重用戶的隱私權,特別提出聲明。
了解最新隱私權聲明
知道了