APP下載
活動
爆料
圖輯
AI爆報
追蹤新聞
3
台灣彩券開獎直播中
三立iNEWS新聞台線上直播
LIVE三立+24小時直播
即時
非洲豬瘟侵台
輝達進駐台北
新聞
熱門
政治
社會
娛樂
生活
新奇
健康
國際
兩岸
運動
財經
房產
旅遊
科技
汽車
遊戲
ESG
影音
總覽
政論
節目
熱搜
直播
iNEWS
專題
總覽
特企
專頁
大事件
彩券
專欄
民調
快訊
球迷高喊留下來 黃子鵬對FA話題不多回應
21:03
短期賽難預測 林泓育舉道奇日本3星為例
20:44
謝侑芯經紀人開撕黃明志 790字爆調查內幕
20:43
GD喊跟我回去 曝BIGBANG消息:準備好了
20:38
抗病神食!醫揭洋蔥四大超強功效:要生吃
20:31
自豪裸體很美!護理女神生前"最後專訪"曝
20:28
海鷗恐轉中颱!粉專曝又1熱帶擾動發展
20:22
樂天桃猿封王遊行 張善政曝桃園巨蛋進度
20:18
擅清消案場遭陳駿季指魯莽 中市府回應了
20:05
活貓遭現宰煲「龍虎鳳」 PO炫耀文遭停業
20:04
鄭麗文致詞馬英九紅了眼 游錫堃1句神解
20:01
桃客司機毆學生「離職又回聘」公司說話了
19:56
「西拉雅號」啟航 展現台灣海洋新篇章
19:55
首次參加封王遊行 古久保擔心球迷們安危
19:51
這國即將大選!候選人表態:重啟台邦交
19:33
林岱樺岡山造勢3萬人 游盈隆:政壇驚奇
19:33
隔6年再嚐冠軍滋味 籃籃:生涯最難忘1冠
19:25
GD大巨蛋喊台北是我家 小S、林心如也來
19:16
撞死過馬路老夫妻 特斯拉女駕駛身份曝光
19:03
林舒語爆8cm血塊痛到哭 最新病況曝光
18:44
台灣彩券開獎直播中
20:31
創意無極限!國中小生飆戲 宣傳節約能源
11:00
台灣大日月潭花火音樂會吸3.5萬人齊聚
22:00
外送專法受矚 三大平台籲政府加強溝通
14:00
有酷澎WOW會員 毛孩照顧更輕鬆
11:00
維生素B群功效與補充全解析!
14:00
日本熱銷4億包!糖脂對策 隨餐1包纖維粉
12:00
酷澎雙11狂購祭 美國保健品限時五折
11:00
八里國際化成形!港灣特區陸海空黃金三角
11:00
13聖杯!桃園護國宮爐主淚:太子爺早暗示
19:40
首頁
關鍵字
蘇拉颱風
蘇拉颱風
颱風天拍網美照?女跪地濕身秀 網全看傻
完美閃過台灣的蘇拉颱風強襲香港,先前網路傳出女子走在...
2023/09/03 15:26
蘇拉威力多猛?女慘被吹倒「臉貼地滑行」
完美閃過台灣的蘇拉颱風強襲香港,香港街道昨日出現狂風...
2023/09/02 15:24
小三通「五通航線」將停航 影響時間曝
往返外島金門相當重要的工具小三通客船,因蘇拉颱風影響...
2023/08/31 23:47
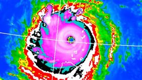
海葵恐轉中颱 3地區戒備!各國路徑一覽
中央氣象局觀測資料顯示,第9號颱風「蘇拉」正向西北西...
2023/08/31 10:01
蘇拉颱風將解除陸警!雨區擴大至彰化以南
記者谷庭/台北報導中央氣象局說明強颱蘇拉最新動態,目...
2023/08/30 21:13
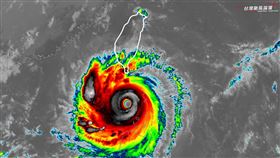
蘇拉颱風11時觸陸!全台風雨時程一次看
持續關注颱風動態!氣象局說,強烈颱風蘇拉30日11時...
2023/08/30 12:09
蘇拉漸進「交通異動一覽」 49航次今停航
強颱「蘇拉」逐漸靠近台灣,預計今(30)日中午前後暴...
2023/08/30 11:12
蘇拉抵台正南方風雨最劇時間曝 4地注意
蘇拉颱風雖然中心不會登陸台灣,不過仍會為台灣帶來風雨...
2023/08/30 10:50
新颱鴻雁最快今晚生成 預估「朝這裡走」
台灣附近的海面上,目前除了第9號颱風「蘇拉」、第11...
2023/08/30 10:18
新/蘇拉颱風逼近!3縣市發豪、大雨特報
中央氣象局今(30)早09:35發布豪雨、大雨特報,...
2023/08/30 09:54
蘇拉最快明解除陸警!「各地風雨」一次看
氣象局已經針對強颱蘇拉發布陸上颱風警報,天氣風險公司...
2023/08/30 08:11
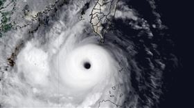
蘇拉完美閃過台灣 網笑:原來是指叉球
中央氣象局今(29)日「蘇拉」颱風發布陸警,將屏東納...
2023/08/29 18:36
蘇拉逼近「是否放颱風假」?黃偉哲回應了
中颱蘇拉進逼,氣象局28日深夜11時30分許發布海上...
2023/08/29 12:38
蘇拉將增強變胖!「4縣市」可能放颱風假
中颱蘇拉進逼台灣,最快今(29)日14時30分發布陸...
2023/08/29 11:02
開學日放颱風假有望?蘇拉暴風圈恐掃4地
氣象局28日深夜已經針對蘇拉颱風發布海上颱風警報,最...
2023/08/29 09:26
颱風蘇拉再南修 最新各國預測路徑一致了
蘇拉颱風逼近,氣象局28日晚間11點30分發布海上颱...
2023/08/29 08:16
蘇拉颱風閃過台灣?最新預測「還差一點」
「蘇拉」颱風預估周三、周四最靠近台灣,中央氣象局今(...
2023/08/28 20:28
開學日遇颱風 東半部、南部颱風假機率高
「蘇拉」颱風預估週三、週四最靠近台灣,剛好就是學生的...
2023/08/28 19:18
新/蘇拉來勢洶洶 太平山週二16時起休園
9號颱風蘇拉正朝台灣東南方海域行進,根據中央氣象局的...
2023/08/28 16:23
海葵生成達2條件恐生藤原 侵台關鍵曝光
海葵颱風接力生成,未來有可能與蘇拉颱風產生「藤原效應...
2023/08/28 12:04
吳德榮:蘇拉稍減弱成中颱 路徑南修
氣象專家吳德榮表示,颱風蘇拉今(28)日稍微減弱至中...
2023/08/28 09:50
蘇拉進逼有機會放4天颱風假?彭啟明回應
蘇拉颱風進逼台灣,不少民眾都想了解是否會放颱風假。對...
2023/08/28 09:46
蘇拉來北部有望放颱風假?彭啟明曝1關鍵
蘇拉颱風路徑又出現變化,許多人都很關心未來中心是否會...
2023/08/28 08:47
輕颱海葵估今將生成!關注「藤原效應」
最新(28日2時)中央氣象局預報資料顯示,「蘇拉」稍...
2023/08/28 07:56
蘇拉向台灣逼近中 暴風圈影響最大時間曝
第九號颱風蘇拉逼近中!氣象專家吳德榮表示,根據最新(...
2023/08/28 06:14
海葵颱風將生成!牽動蘇拉3走法5縣市小心
太平洋地區目前除了第9號中度颱風「蘇拉」,第10號輕...
2023/08/27 15:22
專家:蘇拉颱風不登陸比登陸破壞力更強!
強烈颱風蘇拉來勢洶洶,氣象局提醒「蘇拉」明(28)天...
2023/08/27 14:34
專家揭蘇拉最可能登陸點:8/29有陸警機率
根據中央氣象局颱風消息,強烈颱風蘇拉今(27)日8時...
2023/08/27 11:20
蘇拉不排除在這登陸 各國預測路徑一次看
中央氣象局觀測資料指出,第9號颱風「蘇拉」已增強為強...
2023/08/27 08:54
蘇拉不排除升格強颱 最快下週二發布海警
今年第9號「蘇拉」颱風是否會侵襲台灣?三立氣象主播黃...
2023/08/26 20:06
最新圖輯
更多
劉書宏專訪
袁澧林、陳孝萱專訪
第36屆金曲獎星光大道
第36屆金曲獎得獎圖輯
NMIXX林口體育館粉絲演唱會
KISS OF LIFE台北演唱會
林芯儀專訪
GYUBIN大巨蛋開球
陳謙文專訪
孫麥傑專訪
今日頭條
1
擅清消案場遭陳駿季指魯莽 中市府回應了
2
二擇一!領中國護照丟台灣戶籍:已廢50人
3
桃客司機毆學生「離職又回聘」公司說話了
4
謝侑芯經紀人開撕黃明志 790字爆調查內幕
5
這國即將大選!候選人表態:重啟台邦交
6
撞死過馬路老夫妻 特斯拉女駕駛身份曝光
7
山本由伸奪MVP!母隊海報神預言逼哭日網
8
GD大巨蛋喊台北是我家 小S、林心如也來
9
性別趴面癱!護理師爆王子陪懷孕粿粿看診
10
海鷗恐轉中颱最新路徑曝 下週這2天雨最大
HOT焦點
更多
台灣大日月潭花火音樂會吸3.5萬人齊聚
維生素B群功效與補充全解析!
轉大人文化節 提倡全齡健康管理從小做起
頻道推薦
直播✦活動
三立新聞網
為了提供更好的閱讀內容,我們使用相關網站技術來改善使用者體驗,也尊重用戶的隱私權,特別提出聲明。
了解最新隱私權聲明
知道了