APP下載
活動
爆料
圖輯
AI爆報
追蹤新聞
3
台灣彩券開獎直播中
三立iNEWS新聞台線上直播
LIVE三立+24小時直播
即時
非洲豬瘟侵台
輝達進駐台北
新聞
熱門
政治
社會
娛樂
生活
新奇
健康
國際
兩岸
運動
財經
房產
旅遊
科技
汽車
遊戲
ESG
影音
總覽
政論
節目
熱搜
直播
iNEWS
專題
總覽
特企
專頁
大事件
彩券
專欄
民調
快訊
川普:見中國遏止芬太尼成果就撤10%關稅
06:16
知名喜劇男星辭世 民代117字哀悼證實噩耗
06:07
來台定居39年 港星「牛頭帆」馮淬帆辭世
06:05
疑費鴻泰侄子涉詐 騙百戶裝潢捲上億落跑
06:00
瞄準G6奪冠 春天哥帶傷上陣藍鳥最強合體
05:58
亞馬遜和蘋果財報亮麗 激勵美股反彈收紅
05:42
粿粿出軌反應露餡!律師揭1句話只是話術
05:36
最毒蔬果排行曝!含4種以上農藥
05:30
美財長:2年內可保稀土替代來源北京失算
05:10
外資狂倒284億 這檔大牛竟被買到漲停!
04:39
熱/金流追蹤10日漲多 15檔分析必看
04:00
Win10退場帶旺PC換機 法人點這2檔組合
03:50
9月外銷訂單創史高 這檔擁供應鏈續點火
03:03
輝達銷售5000億鎂 台股獨家豪賺的他!
03:00
算力啟動多頭主升段來了 它3年報酬1.5倍
02:08
台中豬瘟場3度採陽 將採樣飼主家環境
01:21
輝達台灣總部落腳處 黃仁勳回應了
01:17
熱/結束光輝10月 資金轉向16檔題材曝
01:11
新/美股漲跌互見 Amazon、Twilio成亮點
01:07
AI還沒瘋才剛暖身 這檔將大啖投資商機!
00:58
台灣彩券開獎直播中
20:31
維生素B群功效與補充全解析!
14:00
日本熱銷4億包!糖脂對策 隨餐1包纖維粉
12:00
酷澎雙11狂購祭 美國保健品限時五折
11:00
八里國際化成形!港灣特區陸海空黃金三角
11:00
13聖杯!桃園護國宮爐主淚:太子爺早暗示
19:40
首頁
關鍵字
瑪利亞颱風
瑪利亞颱風
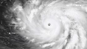
超級颱風來襲?瑪莉亞侵台看這關鍵點
今年第8號颱風瑪莉亞強度更猛!短短42小時在今(6)...
2018/07/06 20:18
最新圖輯
更多
劉書宏專訪
袁澧林、陳孝萱專訪
第36屆金曲獎星光大道
第36屆金曲獎得獎圖輯
NMIXX林口體育館粉絲演唱會
KISS OF LIFE台北演唱會
林芯儀專訪
GYUBIN大巨蛋開球
陳謙文專訪
孫麥傑專訪
今日頭條
1
來台定居39年 港星「牛頭帆」馮淬帆辭世
2
美財長:2年內可保稀土替代來源北京失算
3
粿粿出軌反應露餡!律師揭1句話只是話術
4
鄭麗文明就任藍黨魁 中共介選證據全曝光
5
和林信義見面 高市早苗喊:台灣總統府資政
6
總部卡關 黃仁勳親曝:大家都希望在台北
7
2700萬勞斯萊斯撞賓士 驚人維修費曝光
8
范姜3度發聲打臉王子說辭!4點律師聲明曝
9
全台最大黃牛夫妻又犯 夫聲押妻15萬交保
10
獨/清2次…豬瘟案場滿地糞便老鼠橫行
HOT焦點
更多
八里國際化成形!港灣特區陸海空黃金三角
13聖杯!桃園護國宮爐主淚:太子爺早暗示
全台首輛行動CT車 桃園啟程貼心服務市民
頻道推薦
直播✦活動
三立新聞網
為了提供更好的閱讀內容,我們使用相關網站技術來改善使用者體驗,也尊重用戶的隱私權,特別提出聲明。
了解最新隱私權聲明
知道了