APP下載
活動
爆料
圖輯
AI爆報
追蹤新聞
3
台灣彩券開獎直播中
三立iNEWS新聞台線上直播
LIVE三立+24小時直播
即時
黃明志捲命案
太子集團詐騙
新聞
熱門
政治
社會
娛樂
生活
新奇
健康
國際
兩岸
運動
財經
房產
旅遊
科技
汽車
遊戲
ESG
影音
總覽
政論
節目
熱搜
直播
iNEWS
專題
總覽
特企
專頁
大事件
彩券
專欄
民調
快訊
入圍金馬影帝!星國男神瘦11KG成變裝皇后
16:04
週一颱風假?12縣市暴風圈侵襲率飆破70%
16:01
粿粿道歉撞臉YTR 本尊神回:王子我可以
16:01
選桃園起手式?王義川釋出「最新政見」
16:00
趙露思27歲生日會爆哭!官宣1事粉絲也哭
15:55
舌頭出現5異常要小心 舌苔顏色藏警訊
15:55
有片!超級颱鳳凰襲菲 吊橋像絲帶亂飄
15:52
黃偉哲快閃新加坡 賣力推洋香瓜與大白柚
15:51
才爆缺席F4演唱會 朱孝天不忍拋重磅消息
15:50
2歲童遭鎖車內!警急救援遇山道猴子擋路
15:45
蕭美琴訪歐台灣地位上升 YTR揭中最怕的事
15:43
白家綺結婚第8天就想離 吳東諺吐真實心聲
15:43
超商掃貨沒付錢!店員霸氣壓制喊:又是妳
15:42
祭拜共諜吳石惹議 蔡正元突開罵鄭麗文
15:41
新/半小時連2震!規模4.2地震6縣市有感
15:41
黃子鵬行使自由球員權利 林立盼續留樂天
15:39
中共威脅全球通緝沈伯洋 陸委會發聲了
15:35
瞎扯蕭美琴赴歐靠捐錢 他曝元兇造謠案底
15:34
19歲女星爆不倫戀「又違法」公司火大開除
15:32
2026新北市長選戰藍營派誰?侯友宜這樣說
15:31
台灣彩券開獎直播中
20:31
台中購物節挺豬肉產業 免費發500份肉乾
13:00
文策院共同投資影視製作 強化台灣創作力
17:00
2025 TCCF圓滿落幕!破萬人參與創下新高
17:00
台中第三季預售王 3案竟包辦全市2成銷量
17:00
空姐「制服救星」熱銷200萬盒成高空新寵
12:30
離島醫療後送升級 噴射機後送爭分奪秒
21:00
近視矯正新科技網紅醫師談EVO ICL
15:00
中信房屋公益月 8場捐血活動傳遞生命希望
10:00
TCCF「集集」旅程啟航 臺韓共創浪漫劇
16:00
最愛小孩!「紗布衣、小橘帽」與孩童結緣
16:00
三高患者健康危機!流感、帶狀疱疹預防
12:00
外送員該是承攬還雇傭?她籲四方都要贏
18:57
首頁
關鍵字
IDA
IDA
《木曜》關鍵人物離職 心聲粉絲看哭了
YouTube頻道《木曜4超玩》爆出幕後團隊「集體離...
2023/07/16 13:20
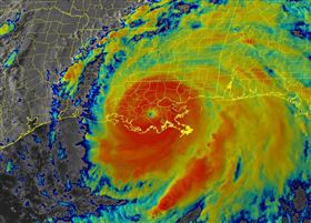
颶風艾達登陸路易斯安那州 災情嚴重
路透社報導,美國國家颶風中心(NHC)表示,經過一夜...
2021/08/30 08:03
16年前卡崔娜侵襲 紐奧良今再備戰
毀滅性颶風卡崔娜16年前席捲美國紐奧良,如今威力增強...
2021/08/29 15:25
國旅底下犧牲品 合歡暗空公園恐失格
報復性旅遊持續蔓延,合歡山海拔高,是全台第一個國際認...
2020/07/23 22:24
國際認證絕美星空!除合歡山還有這些
台灣首個國際認證的「暗空公園」出現了!合歡山在過去4...
2019/08/03 21:04
最新圖輯
更多
劉書宏專訪
袁澧林、陳孝萱專訪
第36屆金曲獎星光大道
第36屆金曲獎得獎圖輯
NMIXX林口體育館粉絲演唱會
KISS OF LIFE台北演唱會
林芯儀專訪
GYUBIN大巨蛋開球
陳謙文專訪
孫麥傑專訪
今日頭條
1
有片!超級颱鳳凰襲菲 吊橋像絲帶亂飄
2
瞎扯蕭美琴赴歐靠捐錢 他曝元兇造謠案底
3
中共威脅全球通緝沈伯洋 陸委會發聲了
4
鳳凰颱風已達中颱上限 近台重點一次看
5
2026新北市長選戰藍營派誰?侯友宜這樣說
6
昔與王子傳緋聞 小薰被問不倫粿粿發聲了
7
外送備註于朦朧真相!官方下令取消該功能
8
朋友嫌政府很差!台語歌手嗆:你不丟臉嗎
9
AIT下周見鄭麗文?綠委:別讓親中毀關係
10
驚險畫面曝!飛行傘玩家空中交纏 墜樹林
HOT焦點
更多
2025 TCCF圓滿落幕!破萬人參與創下新高
拚經濟復甦傳產!林岱樺高雄打造護國產業
管碧玲接見駐聯合國常任代表 促區域合作
頻道推薦
直播✦活動
三立新聞網
為了提供更好的閱讀內容,我們使用相關網站技術來改善使用者體驗,也尊重用戶的隱私權,特別提出聲明。
了解最新隱私權聲明
知道了