APP下載
活動
爆料
圖輯
AI爆報
追蹤新聞
4
卓榮泰出席台灣燈會TW館開幕
台灣彩券開獎直播中
三立iNEWS新聞台線上直播
LIVE三立+24小時直播
即時
美以突襲伊朗
對等關稅違憲
新聞
熱門
政治
社會
娛樂
生活
新奇
健康
國際
兩岸
運動
財經
房產
旅遊
科技
汽車
遊戲
ESG
影音
總覽
政論
節目
熱搜
直播
iNEWS
專題
總覽
特企
專頁
大事件
彩券
專欄
民調
快訊
元宵節全台有雨驟降近10度 雨彈炸到這天
16:59
林昀儒首闖WTT大滿貫男單決賽 矢言迎戰
16:58
伊朗炸波斯灣!中東戰火延燒 卓榮泰發聲
16:57
她問:習近平盟友遭斬首,中共還剩什麼?
16:57
周杰倫8歲愛子正面曝!全網暴動根本爸爸
16:52
高柏鎧首節超勇猛 台灣隊上半場領先中國
16:49
中東戰火緊張杜拜遭炸!女星見導彈聽巨響
16:46
《甄嬛傳》流朱撞刀看哭萬人!戰菁一揭密
16:43
春天甜甜!beard papa's布丁泡芙限時開吃
16:43
合體掃街 他:基層拱沈伯洋選台北市長
16:43
新華社重砲轟美以攻伊朗:窮兵黷武必反噬
16:41
滾水懲前夫害燒燙傷!悍婦賠償金出爐
16:40
網路拐女童裸聊還偷截圖 男下場慘了
16:37
萬華女通緝犯拒捕 狠心丟男友「變裝逃」
16:35
街頭行車糾紛變亮刀驚魂 警鷹眼破謊言
16:33
少女隊女星宣布懷雙胞胎!感動曝懷孕心聲
16:32
假銀行電郵夾帶假網站 18人年終飛了
16:30
正妹女警換不來治安!基層砲轟警政署
16:28
美以聯合斬首哈米尼!以色列防長還原現場
16:28
林子揚連假首站上宣傳車 車掃練習展決心
16:24
台灣彩券開獎直播中
20:31
台彩春節加碼12億元創新高
12:00
大樂透加碼480組100萬元
12:00
大樂透加碼800組10萬元
12:00
賓果賓果鬧元宵 大樂透、今彩539續加碼
12:00
開工打造好運勢 小人退散能量水晶迎貴人
12:00
祥獅獻瑞迎開工!愛妮雅集團新年藍圖首曝
17:00
瘦身急救章 一秒塑身穿上小號緊身洋裝
11:00
初九天公生 松山奉天宮備平安麵共享
16:00
捷運七張站走路2分鐘 友座明明德機能到位
15:00
開學換機酷澎火箭速配隔日到貨
10:00
企業暖心故事 一份工作撐起整個家
13:00
Xtars人氣直播主大揭密 鏡頭下的甘苦
13:00
土城永福岩清水祖師廟擲筊大賽 頭獎百萬
12:00
初一金山財神廟湧人潮 聯名蛋捲禮盒喜氣
11:00
首頁
關鍵字
換眼
換眼
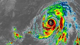
「野獸」哈吉貝換眼!堪稱活體教科書
沒有最狂只有更狂!堪稱2019年地表最強颱風的「哈吉...
2019/10/10 10:59
最新圖輯
更多
初孟軒、鍾岳軒專訪
龍千玉與翁立友領豪記唱片群星拜年
Rain鄭智薰小巨蛋演唱會
金在中演唱會
羅志祥30周年演唱會
凱琳專訪
黃鐙輝、吳念軒、黃騰浩專訪
第62屆金馬獎得獎後台
第62屆金馬獎紅毯
劉書宏專訪
今日頭條
1
美以聯合斬首哈米尼!以色列防長還原現場
2
伊朗炸波斯灣!中東戰火延燒 卓榮泰發聲
3
川普嗆伊朗:我們將以史無前例的力量回擊
4
美軍斬首哈米尼 他揭:北京三大恐懼成真
5
哈米尼喪命!前朝王儲嗨:嗜血暴君亡
6
郭正亮又翻車 呂捷:他點到名的無一倖存
7
大撞小…一家3口「遭壓成鐵棺」2死1命危
8
元宵節全台有雨驟降近10度 雨彈炸到這天
9
蘇巧慧秀政績!推「公共出借權」挺創作者
10
周杰倫8歲愛子正面曝!全網暴動根本爸爸
HOT焦點
更多
運動場也有彩虹!板橋體育場彩虹看臺開箱
賓果賓果鬧元宵 大樂透、今彩539續加碼
祥獅獻瑞迎開工!愛妮雅集團新年藍圖首曝
頻道推薦
直播✦活動
三立新聞網
為了提供更好的閱讀內容,我們使用相關網站技術來改善使用者體驗,也尊重用戶的隱私權,特別提出聲明。
了解最新隱私權聲明
知道了