APP下載
活動
爆料
圖輯
AI爆報
追蹤新聞
5
疫豬流入市面?最新疫情說明
輝達選址何時定?蔣萬安報告
台灣彩券開獎直播中
三立iNEWS新聞台線上直播
LIVE三立+24小時直播
即時
非洲豬瘟侵台
輝達進駐台北
新聞
熱門
政治
社會
娛樂
生活
新奇
健康
國際
兩岸
運動
財經
房產
旅遊
科技
汽車
遊戲
ESG
影音
總覽
政論
節目
熱搜
直播
iNEWS
專題
總覽
特企
專頁
大事件
彩券
專欄
民調
快訊
遭控婚內出軌!粿粿被酸「福原愛2號」
15:09
普發一萬做錯1事秒沒了 10類人11/12入帳
15:06
玩具消失又出現竟沾污漬 疑弟偷拿她崩潰
15:03
WeMo宣布調漲起步價、擴區12地布局離島
15:02
馬光中醫蟬聯「幸福企業」衛武營度家庭日
15:00
王子認超出朋友界線 美國行女星表情露餡
14:59
王子喊「不是破壞家庭的人」 曝關係始末
14:58
王子道歉曝時間軸 得知婚變後過度關心
14:57
老豬農找王姓獸醫佐…特約獸醫揭心碎真相
14:55
遭控介入婚姻 王子發聲道歉:我沒有藉口
14:51
陳佩琪再怨:我們活在一個悲慘世界裡…
14:48
高蛋白飲輸了!運動後吃「它」更能長肌肉
14:48
非王大陸?網提閃兵潮「最大受害者是他」
14:47
謝龍介質詢把官員都搞錯 吳思瑤說話了
14:47
新/高雄驚傳墜樓意外 女子陳屍社區中庭
14:47
新銳建築獎前進東京 與日本建築師交流
14:46
最後中常會!朱立倫曝4年黨主席感言
14:45
遭范姜控出軌粿粿 王子發文道歉認了
14:45
王子衝范姜IG!甜喊:沒看粿粿那麼開心過
14:42
Gmail傳大量密碼外洩 快做2步驟保護帳戶
14:41
台灣彩券開獎直播中
20:31
台彩中秋加碼總獎金達4.5億
12:00
大樂透加碼100組100萬元
12:00
疫豬流入市面?最新疫情說明
15:00
長輩備餐變吃力 快煮稀飯恐增營養風險
12:00
為何選他?基隆房市異軍突起!
12:00
首頁
關鍵字
暴風圈
暴風圈
秀智也捲辱華!上海拍戲急喊卡關鍵原因曝
韓劇《魅惑》由秀智與金宣虎主演,原訂將赴上海取景,不...
2025/10/15 16:11
全智賢被指辱華!他不捨:反過來安慰我們
南韓女神全智賢近日在演出的影集《暴風圈》中,因一句劇...
2025/10/02 17:29
全智賢惹怒小粉紅!「恐賠9億」公司慌了
南韓女神全智賢時隔四年回歸小螢幕,出演影集《暴風圈》...
2025/09/23 14:55
宜蘭人出門傻眼:風雨超大 怒轟代理縣長
中央氣象署持續發布強颱樺加沙陸上、海上警報,根據今(...
2025/09/23 07:40
宜蘭7校今緊急停班停課!全台颱風假一覽
強颱樺加沙(RAGASA)暴風圈已觸陸,中央氣象署指...
2025/09/23 07:15
風王樺加沙暴風圈直闖2縣市!侵襲率飆97%
根據中央氣象署最新資料顯示,強颱樺加沙(RAGASA...
2025/09/23 04:47
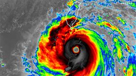
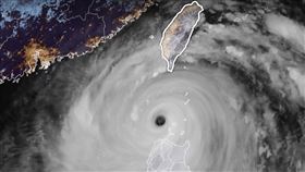
樺加沙「渾圓大眼」 專家驚:2025最強颱
強颱樺加沙穿越台灣南方海域,其暴風圈籠罩恆春半島,並...
2025/09/22 21:16
樺加沙怪物風眼結構曝 專家:史詩級風暴
強颱「樺加沙」正以「最顛峰」的姿態穿越台灣南方海域,...
2025/09/22 19:43
全智賢官方IG遭陸網灌爆 公司1舉動滅火
韓國女神全智賢因《我的野蠻女友》、《來自星星的你》爆...
2025/09/22 17:06
新/高雄明停班課?陳其邁「這時間」公布
強颱「樺加沙」暴風圈擴大,今(22)日上午11時已侵...
2025/09/22 16:55
樺加沙襲恆春半島!飯店民宿堆沙包防淹水
「樺加沙」颱風暴風圈擴大,屏東恆春半島受影響,氣象署...
2025/09/22 14:46
樺加沙達超級颱風標準!暴風圈今觸4地區
今年第18號颱風樺加沙在昨日升級為強烈颱風,今(22...
2025/09/22 09:20
樺加沙獨佔風王!各國路徑一致 專家示警
強颱樺加沙(RAGASA)持續逼近,中央氣象署持續發...
2025/09/22 08:42
樺加沙風雨搖滾時段來了!影響最劇地區曝
強颱樺加沙(RAGASA)持續逼近,中央氣象署持續發...
2025/09/22 07:54
樺加沙逼台!粉專曝風雨時程圖2地一片紫
強颱樺加沙(RAGASA)持續逼近中,氣象粉專「台灣...
2025/09/22 07:47
10縣市達停班課標準!全台最新風雨預測曝
強颱樺加沙(RAGASA)持續逼近,中央氣象署持續發...
2025/09/22 07:17
樺加沙逼台路徑曝!暴風圈侵襲2縣市破95%
強颱樺加沙(RAGASA)持續逼近中,暴風半徑也會擴...
2025/09/22 07:09
樺加沙暴風圈擴大挾雨!全台今停班課一覽
強颱樺加沙(RAGASA)持續逼近中,暴風半徑也會擴...
2025/09/22 06:53
樺加沙陸警擴大納高雄!豪雨強風警報齊發
強颱樺加沙(RAGASA)持續逼近中,暴風半徑也會擴...
2025/09/22 05:19
颱風樺加沙風速達每秒58公尺 暴風圈擴大
氣象署表示,颱風樺加沙的環境適合發展,過去3小時再度...
2025/09/22 00:48
樺加沙「暴風圈肥厚」變更強!陸警範圍曝
今年第18號颱風樺加沙強度又增強了,根據氣象署觀測資...
2025/09/21 23:53
樺加沙週一週二最接近!各地風雨時程出爐
中央氣象署今(21)日下午5時30分發布強颱「樺加沙...
2025/09/21 20:27
颱風假有望?最新暴風圈侵襲率曝光
颱風樺加沙今(21)日已升格為強烈颱風,且暴風半徑逐...
2025/09/21 16:11
週一颱風假有望?樺加沙暴風圈侵襲率90%
颱風樺加沙(RAGASA)持續逼近中,暴風半徑也會擴...
2025/09/21 10:32
樺加沙恐達強颱等級 台灣風雨時程一次看
樺加沙颱風警報發布,明後天風雨影響大,氣象專家吳聖宇...
2025/09/21 10:13
樺加沙今轉強颱估陸警範圍!颱風假關鍵曝
颱風樺加沙(RAGASA)持續逼近中,中央氣象署今(...
2025/09/21 10:10
樺加沙開眼強又大!這時暴雨巨浪最劇烈
第18號颱風樺加沙未來強度會持續增強,暴風半徑也逐漸...
2025/09/21 06:46
樺加沙恐升級強颱!8:30發海警、晚間陸警
第18號颱風樺加沙未來強度會持續增強,暴風半徑也逐漸...
2025/09/21 06:18
颱風假?樺加沙最新路徑曝 暴風侵襲85%
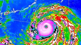
第19號颱風「浣熊」增強,轉為今年第一個強烈颱風,由...
2025/09/21 05:02
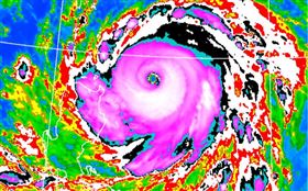
浣熊轉今年第1個強颱!小鋼炮恐怖雲圖曝
第19號颱風「浣熊」迅速增強,升級為今年第一個強烈颱...
2025/09/21 04:45
«
‹
1
2
›
»
最新圖輯
更多
劉書宏專訪
袁澧林、陳孝萱專訪
第36屆金曲獎星光大道
第36屆金曲獎得獎圖輯
NMIXX林口體育館粉絲演唱會
KISS OF LIFE台北演唱會
林芯儀專訪
GYUBIN大巨蛋開球
陳謙文專訪
孫麥傑專訪
今日頭條
1
遭范姜控出軌粿粿 王子發文道歉認了
2
范姜控出軌王子 粿粿駁不實:將還原事實
3
范姜彥豐看到出軌證據!知情人曝:是照片
4
快訊/輝達進駐台北!蔣萬安宣布最終用地
5
新/高雄驚傳墜樓意外 女子陳屍社區中庭
6
范姜控粿粿出軌 被挖早退追2人:知情?
7
新/燕子口堰塞湖恐潰決!立霧溪水勢暴衝
8
范姜9分鐘影片控粿粿出軌王子 千字文曝
9
限速30…單車超速被拍 會罰嗎?警解答了
10
黃仁勳首度回應 輝達台灣總部卡關問題
HOT焦點
更多
馬光中醫蟬聯「幸福企業」衛武營度家庭日
破百場媒合會助臺灣文化科技內容國際合作
光澤醫美響應乳癌防治 伴女性重建自信
頻道推薦
直播✦活動
三立新聞網
為了提供更好的閱讀內容,我們使用相關網站技術來改善使用者體驗,也尊重用戶的隱私權,特別提出聲明。
了解最新隱私權聲明
知道了