APP下載
活動
爆料
圖輯
AI爆報
追蹤新聞
3
台灣彩券開獎直播中
三立iNEWS新聞台線上直播
LIVE三立+24小時直播
即時
財劃法不副署
高虹安涉貪逆轉
新聞
熱門
政治
社會
娛樂
生活
新奇
健康
國際
兩岸
運動
財經
房產
旅遊
科技
汽車
遊戲
ESG
影音
總覽
政論
節目
熱搜
直播
iNEWS
專題
總覽
特企
專頁
大事件
彩券
專欄
民調
快訊
睡一覺就數錢!股神傳隔日沖「神技」曝光
05:20
美國北卡機場空難 商務機墜毀起火多人亡
05:18
盤前/低軌衛星三雄 壓力價一次看
05:17
陸女機場罵台人還辱日語!他酸爆中國一事
05:17
今早「2津貼」入帳!還有13筆錢發到月底
05:12
中國人羽田機場飆罵台遊客 爭執起因曝光
05:11
退休部長誤判2情勢求昔下屬:讓我打工
05:00
藍彈劾賴清德!網揭1關鍵搖頭:不倒閣?
04:54
賺翻!10檔台股基金「他」拿第一!
04:30
熱/SpaceX IPO在即 進補8台股
04:19
有錢人的秘密選項 改用它做資產配置!
04:18
新聞幕後/新青安代價高?打房「三」焦慮
04:00
軍工股王發威!漢翔法說5大關鍵一次看
03:50
外資狂砍270億還沒停 這5檔慘遭倒貨!
03:40
熱/美光財報後 台廠記憶體4強出列
03:19
碳費上路倒數 它卡位減碳龍頭股有賺頭!
02:50
散熱王者 目標價1250元的他
02:19
殺估值正發生 他:1風險曝露市場更挑剔
02:08
狂賀!鴻海的「他」奪「全球量子百強」
02:00
疑護航鍾文智!北市派出所3副所長送北檢
01:56
台灣彩券開獎直播中
20:31
賴瑞隆舉辦願景說明會 陳吉仲站台
20:00
強基金熱議00991A上市後價格震盪
19:00
展現市長級執行力!林岱樺解決園區四痛點
18:00
新北首創「獨居長者不動產防護網」防詐!
16:00
力挺台北愛樂40載!企業深耕藝文活動
15:00
何志偉參拜中壢媽!做客超級夜總會獻唱
12:00
職場霸凌頻傳《職安法》新增《霸凌專章》
12:00
一卡通iPASS MONEY APP推限時回饋
21:00
首頁
關鍵字
銀杏
銀杏
再度全裸入鏡 梁朝偉:還比得過色戒嗎?
梁朝偉首部主演歐洲電影《寂靜的朋友》(Stille ...
2025/10/15 13:53
頻被尿意吵醒?醫建吃「這4樣」保養膀胱
半夜常被尿意驚醒時在事件討厭的事情;對此,泌尿科醫師...
2025/06/18 08:00
吳婉君出國念書驚傳出狀況!懊惱喊:荒謬
女星吳婉君今年3月指控趙駿亞家暴,負傷報警並申請保護...
2025/06/17 11:17
上海龍華寺「銀杏貓咪」爆紅 年輕人朝聖
秋天的上海過後,銀杏轉黃飄落,上海龍華寺發揮創意,將...
2025/01/29 17:33
天兔颱風「路徑轉折時間」 2天距台最近
氣象署今天凌晨發布颱風天兔生成,史上首次11月有4個...
2024/11/12 12:31
11月四颱共舞代表什麼?專家揭驚人真相
中央氣象署於今(12)日清晨4時35分發布颱風生成訊...
2024/11/12 06:03
準天兔颱風這天可能轉向北上!專家曝路徑
颱風接力生成?!氣象粉專「台灣颱風論壇|天氣特急」今...
2024/11/10 15:03
天兔最快晚間生成 11月4颱並存史上首次
氣象署今天表示,目前海面上已有颱風銀杏、桔梗及萬宜,...
2024/11/10 12:02
烏薩奇要來了?!專家:天兔可能造成威脅
今年第23、24號颱風「桔梗」及「萬宜」9日下午接連...
2024/11/10 11:20
天兔颱風可能接力生成 明天雨變多地區曝
今年第23、24號颱風「桔梗」及「萬宜」9日下午接連...
2024/11/10 09:50
迎風面局部雨 3颱風對台灣沒有影響
中央氣象署指出,今天環境吹東北風,迎風面水氣仍多,桃...
2024/11/10 08:39
明又變天降雨熱區出爐!恐4颱共舞路徑曝
昨(9)日東北季風減弱,迎風面的基隆北海岸、桃園以北...
2024/11/10 06:50
「天兔」颱風恐生成 挑戰4颱鼎立!
2024年台灣先後受到3個強颱接力登陸,然而太平洋地...
2024/11/09 20:39
今氣溫升降雨熱區出爐!下週東北季風再來
今(9)日東北季風減弱,各地氣溫回升,氣象署指出,基...
2024/11/09 06:20
預告3熱帶擾動「搶挑大樑」!專家示警了
中颱銀杏今(9)日2時的中心位置在北緯18.6度,東...
2024/11/09 05:40
短暫好天氣!北部週末乾暖 下週又轉濕涼
週末好天氣!三立氣象主播陳宥蓉指出,東北季風的影響將...
2024/11/08 19:59
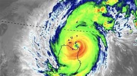
下週恐有「3颱風夾擊」!賈新興1圖揭路徑
根據中央氣象署最新觀測,銀杏颱風今(8)日上午8時中...
2024/11/08 11:12
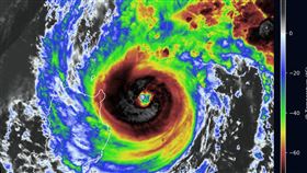
銀杏清晰颱風眼曝!雨彈狂炸5地警戒區曝
銀杏颱風動態備受民眾關注,颱風眼清晰可見。氣象專家表...
2024/11/08 05:27
銀杏龜速!雨彈連日炸 雨勢最快這時減弱
銀杏颱風龜速移動中!三立氣象主播黃家緯指出,目前銀杏...
2024/11/07 20:07
銀杏升級強颱新路徑曝 2地區入夜炸雨彈
第22號颱風「銀杏」今(7)日下午升級為強烈颱風,也...
2024/11/07 16:14
週末2熱帶系統生成?離台近者有機率成颱
今(7)日為立冬,氣象專家賈新興於臉書、YouTub...
2024/11/07 16:03
銀杏颱風帶著小跟班!專家:下週影響台灣
「銀杏還帶著一個小跟班!」氣象專家表示,今明2日受東...
2024/11/07 07:09
今立冬雨彈準備開炸 下最猛警戒區出爐
氣象署指出,今(7)日白天東北季風影響,北部及東北部...
2024/11/07 05:28
銀杏超清晰颱風眼曝光 最新警戒區一次看
銀杏颱風動態備受民眾關注,氣象粉專於今(7)日凌晨發...
2024/11/07 04:28
銀杏炸雨「1地區下最大」 下週恐又有颱風
今天(6日)東北季風影響,大臺北及東半部有局部短暫雨...
2024/11/06 21:30
環流+季風好濕冷!立冬探16度 2區防大雨
明(7)日為立冬,氣溫有望再創新低?三立氣象主播黃家...
2024/11/06 19:43
銀杏颱風影響台灣?「颱風警報」機率曝光
銀杏颱風是否影響台灣仍有變數。今(6)日下午臉書粉專...
2024/11/06 18:42
銀杏旁現大片共伴雲系!鄭明典揭對台影響
今年第22號颱風「銀杏(YINXING)」今(6)日...
2024/11/06 10:47
秋颱銀杏「恐有共伴效應」?專家說話了
氣象署表示,位於菲律賓東方海面的中度颱風「銀杏」,今...
2024/11/06 06:34
今年秋颱真的比較多 專家最擔心「1事」
氣象署表示,位於菲律賓東方海面的中度颱風「銀杏」,今...
2024/11/06 06:04
最新圖輯
更多
第62屆金馬獎得獎後台
第62屆金馬獎紅毯
劉書宏專訪
袁澧林、陳孝萱專訪
第36屆金曲獎星光大道
第36屆金曲獎得獎圖輯
NMIXX林口體育館粉絲演唱會
KISS OF LIFE台北演唱會
林芯儀專訪
GYUBIN大巨蛋開球
今日頭條
1
藍白喊彈劾賴清德 綠開酸:需要憲法法庭
2
連環電爆藍白立委網狂讚 張惇涵發聲了
3
鍾文智潛逃疑有警官護航 3副所長被傳喚
4
誤踩油門暴衝夾殺母子!77歲嬤10萬交保
5
造謠80億換蕭美琴演講竟不罰 外交部回應
6
急診、家醫做醫美談不攏!衛福部下通牒了
7
未來48小時全台冬雨過境!這區雨量特別多
8
獨/江志豐緊急送醫救治!食物中毒狂洗胃
9
75歲李亞萍證實失智症 媳婦柔柔暖心發聲
10
未解限貸令!專家揭楊金龍「關鍵字」含意
HOT焦點
更多
何志偉參拜中壢媽!做客超級夜總會獻唱
職場霸凌頻傳《職安法》新增《霸凌專章》
地方創生824隊精選16隊 龔明鑫參觀團隊
頻道推薦
直播✦活動
三立新聞網
為了提供更好的閱讀內容,我們使用相關網站技術來改善使用者體驗,也尊重用戶的隱私權,特別提出聲明。
了解最新隱私權聲明
知道了