APP下載
活動
爆料
圖輯
AI爆報
追蹤新聞
3
台灣彩券開獎直播中
三立iNEWS新聞台線上直播
LIVE三立+24小時直播
即時
非洲豬瘟侵台
輝達進駐台北
新聞
熱門
政治
社會
娛樂
生活
新奇
健康
國際
兩岸
運動
財經
房產
旅遊
科技
汽車
遊戲
ESG
影音
總覽
政論
節目
熱搜
直播
iNEWS
專題
總覽
特企
專頁
大事件
彩券
專欄
民調
快訊
11月首盤將開 台股上衝四大利多必知
18:36
北投溫泉池2工人慘亡 勞檢出爐勒令停工
18:30
「陳財佑」現況曝!正修校慶驚喜露面
18:28
安德魯王子被控泰國公費出差「召妓40人」
18:26
恐怖份子掐燃料命脈 西非馬利恐淪陷
18:23
妙齡女腿麻劇痛急診 醒來「1條腿沒了」
18:22
桃猿留黃子鵬拿誠意 已提前和林立談續約
18:20
屠穎廣州辭世 李麗芬號召捐款助遺體返台
18:20
3本柱封王遊行合體 盼明年體驗拋彩帶!
18:12
桃園男衝桃客:要替學生報仇 嚇壞乘客
18:11
謝侑芯猝逝內幕曝 雪碧:我確定她沒吸毒
18:07
粿粿淚訴一肩扛家務事!網挖舊片打臉1句
18:05
彰化和美塑膠廠烈焰狂竄 消防急馳援
18:03
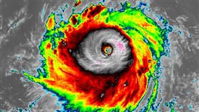
怪物颶風重創牙買加 極端天氣全球受害
18:03
黃明志捲謝侑芯猝死案 兩人同框畫面遭挖
17:59
二擇一!領中國護照丟台灣戶籍:已廢50人
17:56
瞬間曝光!白車撞電桿 2歲女童慘死
17:53
新/黃明志驗出4毒反應 警疑有性行為
17:49
性別趴面癱!護理師爆王子陪懷孕粿粿看診
17:38
非洲豬瘟最關鍵5天 1前提禁宰令有望解除
17:38
台灣彩券開獎直播中
20:31
創意無極限!國中小生飆戲 宣傳節約能源
11:00
台灣大日月潭花火音樂會吸3.5萬人齊聚
22:00
外送專法受矚 三大平台籲政府加強溝通
14:00
有酷澎WOW會員 毛孩照顧更輕鬆
11:00
維生素B群功效與補充全解析!
14:00
日本熱銷4億包!糖脂對策 隨餐1包纖維粉
12:00
酷澎雙11狂購祭 美國保健品限時五折
11:00
八里國際化成形!港灣特區陸海空黃金三角
11:00
13聖杯!桃園護國宮爐主淚:太子爺早暗示
19:40
首頁
關鍵字
雲圖
雲圖
鄭明典PO整片沙塵暴衛星圖 揭影響台機率
全台各地今(16日)為穩定晴朗的好天氣,不過自周六(...
2025/04/16 13:30
全台準備變天!氣象粉專:「這天」才回溫
今(12)日白天鋒面接近,水氣增加,天氣逐漸不穩定。...
2025/04/12 18:00
除夕夜下探6度!鄭明典貼雲圖:蠻特別的
中央氣象署今(28)日16時38分發布低溫特報指出,...
2025/01/28 19:08
神秘的冷心低壓 鄭明典、氣象署揭真面目
鄭明典表示,冷心低壓移入,高層氣溫降低,等於是增加當...
2024/07/08 10:03
瑪娃颱風雲圖超壯觀!風雨注意區域一次看
中央氣象局表示,中度颱風瑪娃(MAWAR)今(30)...
2023/05/30 10:26
瑪娃重返強颱變緊實 1圖看核心如鐵牆
今年的第2號颱風「瑪娃」,動向持續受到關注,中央氣象...
2023/05/25 10:58
高溫飆31度 鄭明典曬1圖:今天陽光露臉
今(27)日鋒面帶遠離,中央氣象局局長鄭明典一早就在...
2023/04/27 08:00
超罕見!雲圖出現台灣影子 氣象局長揭密
近日受到東北季風影響,北台灣明顯感受到涼意,氣象局今...
2022/12/10 11:42
國慶天氣變數大 專家:下週恐有颱風
本週末(2、3日)風向轉為偏東風,東半部地區有局部短...
2021/10/01 17:20
16歲童星驚傳死訊!編劇:劇本已排
英國女星米亞-萊西亞·內勒(Mya-Lecia Na...
2019/04/18 18:23
明北部轉有雨 氣溫直掉周日探20度
「卡努」颱風在今(16)日清晨登陸雷州半島,強度很快...
2017/10/16 19:38
強聖嬰後一年 鄭明典:颱風生成延遲
民眾相當關心今年的「颱風」究竟何時來,中央氣象局預報...
2016/05/27 09:50
回味影史經典科幻電影 第一名竟是..
搶不到IMAX很不爽?在家把小時候看不懂、年輕時沒錢...
2014/11/07 13:29
最新圖輯
更多
劉書宏專訪
袁澧林、陳孝萱專訪
第36屆金曲獎星光大道
第36屆金曲獎得獎圖輯
NMIXX林口體育館粉絲演唱會
KISS OF LIFE台北演唱會
林芯儀專訪
GYUBIN大巨蛋開球
陳謙文專訪
孫麥傑專訪
今日頭條
1
中市府擅闖豬瘟案場做1事 陳駿季轟魯莽
2
林佳龍宴請美官員無人出席?他曬照曝內幕
3
新/黃明志驗出4毒反應 警疑有性行為
4
50人設籍中國領中國護照!內政部出手了
5
山本由伸奪MVP!母隊海報神預言逼哭日網
6
性別趴面癱!護理師爆王子陪懷孕粿粿看診
7
海鷗恐轉中颱最新路徑曝 下週這2天雨最大
8
台中女欠債2萬!遭囚摩鐵「鬼剃頭」灌毒
9
UCC今上路!六都13院所「5情況」可就醫
10
高市早苗見林信義中國跳腳 外交部嗆這句
HOT焦點
更多
酷澎雙11狂購祭 美國保健品限時五折
八里國際化成形!港灣特區陸海空黃金三角
13聖杯!桃園護國宮爐主淚:太子爺早暗示
頻道推薦
直播✦活動
三立新聞網
為了提供更好的閱讀內容,我們使用相關網站技術來改善使用者體驗,也尊重用戶的隱私權,特別提出聲明。
了解最新隱私權聲明
知道了