生活中心/許智超報導

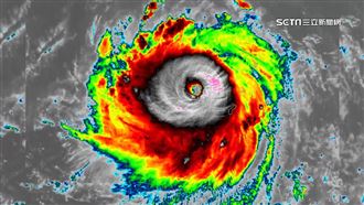
▲氣象粉專發文分享,瑪娃重返強颱了!(圖/翻攝自台灣颱風論壇|天氣特急 臉書)
今年的第2號颱風「瑪娃」,動向持續受到關注,中央氣象局長鄭明典稍早指出,瑪娃颱風眼牆雲系完整,有機會再回強烈颱風等級。對此,氣象粉專《台灣颱風論壇|天氣特急》發文直呼,「瑪娃重返強颱啦!而且變得更緊實強壯了!」
《台灣颱風論壇|天氣特急》在臉書PO出衛星雲圖,並表示從圖中可以看到,颱風眼外那一大圈是颱風核心,鞏固得非常完整,「猶如鐵牆一般,破壞力會很驚人,即將挑戰第2次巔峰,五級熱帶氣旋!強烈颱風前段班」。
貼文曝光後,網友也紛紛回應,「拜託別來東部」、「此娃真兇,麻煩不要來台東」、「好兇猛」、「娃眼睛變的好明顯」、「看起來真的很猛的一個娃」、「有補到水庫的水比較重要」、「沒事的!南部有防護罩」、「希望能帶雨水來高雄,高雄好熱呀」。
此外,氣象局預報員黃恩鴻指出,29、30日是瑪娃颱風北轉關鍵,且有機會發布海上颱風警報,須特別留意,但路徑仍有變數。瑪娃颱風即便不撲台,七級風暴風半徑250公里也將影響台灣天氣,降雨熱區除了東半部、恆春半島地區,由於颱風北轉過程中吹北風,因此基隆北海岸、大台北區域也可能下雨。