APP下載
活動
爆料
圖輯
AI爆報
追蹤新聞
6
蔡英文走春覺修宮參香、祈福
卓榮泰走春、參拜祈福
賴清德新北參香、發放福袋
台灣彩券開獎直播中
三立iNEWS新聞台線上直播
LIVE三立+24小時直播
即時
高金遭搜索
台美關稅定案
新聞
熱門
政治
社會
娛樂
生活
新奇
健康
國際
兩岸
運動
財經
房產
旅遊
科技
汽車
遊戲
ESG
影音
總覽
政論
節目
熱搜
直播
iNEWS
專題
總覽
特企
專頁
大事件
彩券
專欄
民調
快訊
熱戀安芝儇 成百賢被封換乘4最討厭成員
10:42
新/北投洲美快速道路火燒車 駕駛驚逃
10:41
卓榮泰參香祈福 盼百工百業「再衝一波」
10:41
韓國瑜江啟臣為何挑除夕發聲明?她曝關鍵
10:38
湧蓮寺「國運籤」下下籤!侯友宜這樣看
10:33
美伊核談川普將間接坐鎮 再搬轟炸機警告
10:32
桃園無業男遺棄6月兒 警除夕夜逮到狠父
10:28
安芝儇爆熱戀換乘成百賢 泳裝辣照洩線索
10:26
7旬翁離奇失蹤!靠Google Earth破9年懸案
10:24
騎士黏「假車牌」犯1罪…下場比開罰嚴重
10:23
王菲再登春晚唱功遭嫌 眉型也成討論焦點
10:19
小姑連2年包2100元 背後竟藏超暖心祝福
10:17
痛失媽媽首過年 小嫻除夕包紅包給爸爸
10:15
賈永婕談鄭南榕 為什麼要向老公道歉?
10:13
央視春晚驚見中國台灣新北 台灣國旗遭刪
10:11
馬年換新錢包!命理師:4顏色無法招財
10:10
ICU護理師揭「死亡預知」 臨終前都說1句
10:09
不滿被國安局退訓 台大生揭長官、主任名
10:09
數學題「答4字」拿0分 眾驚:可上醫學系
10:07
春節換機正夯 4G、5G綁約購機這樣最划算
10:06
台灣彩券開獎直播中
20:31
台彩春節加碼12億元創新高
12:00
大樂透加碼480組100萬元
12:00
大樂透加碼800組10萬元
12:00
賴清德新北參香、發放福袋
08:16
卓榮泰走春、參拜祈福
08:30
蔡英文走春覺修宮參香、祈福
09:30
拜拜,其實很有台灣式幽默!
09:00
WE ARE我們的除夕夜 跨世代卡司陪觀眾
11:00
星城Online攜手《戲說台灣》拍創意單元劇
12:00
MY管管尾牙熱鬧登場 主打福利吸新戰力!
17:45
土城永福岩祖師廟擲筊賽 首獎祭百萬現金
14:50
春節最佳去處!桃園龍德宮成網美打卡點
13:00
以高回饋機制協助家庭資金更有效率運用
16:00
暗黑風格吸血鬼遊戲新作3/11上市!
12:00
幸福企業!愛妮雅集團成員工最強後盾
12:00
永旭保經留才 調整制度拚長期發展
11:30
首頁
關鍵字
路徑
路徑
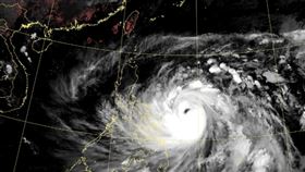
西望洋颱風生成了!路徑、對台影響曝光
新颱風生成了!日本氣象廳最新預測,熱帶性低氣壓TD0...
2026/02/04 21:20
負北極振盪訊號顯著!他曝冷空氣外流3路徑
今(27)日東北季風增強,北部及東北部氣溫下降,明(...
2026/01/27 07:52
洛鞍未來路徑曝光 賈新興:這天全台轉雨
今年第一號颱風「洛鞍」已於昨日下午生成。氣象專家賈新...
2026/01/16 09:20
洛鞍颱風估今生成 專家示警:降雨更明顯
今(15)日輻射冷卻影響,各地早晚仍偏冷,日夜溫差大...
2026/01/15 07:11
今年第1號颱風最快這天生成 預估路徑曝
今、明(13、14)兩天大陸冷氣團南下、影響及輻射冷...
2026/01/13 08:50
2026年第1個颱風恐生成 最新曝模擬路徑
受到大陸冷氣團影響,今(12)日清晨中央氣象署持續針...
2026/01/12 07:04
獨/警官棄鐵飯碗!爬「致富梯」逆轉勝
在當今強調「速成」、「暴富」的金融亂象中,知名財經作...
2025/12/27 06:00
中俄核武轟炸機行動!竟瞄準「東京都心」
中國與俄羅斯9日罕見出動具備核攻擊能力的戰略轟炸機,...
2025/12/13 11:37
下週冷空氣再襲 「這區」雨下到一片紅
今(4)日持續受到東北季風影響,水氣逐漸減少,迎風面...
2025/12/04 11:55
最強冷空氣今晚報到!天琴西進最新路徑曝
氣象署發布陸上強風特報,東北風偏強,今(26)日晨至...
2025/11/26 06:38
下週有熱帶擾動!專家揭成颱可能 路徑曝
今(20)日維持東北季風影響,東北季風強度有稍減弱,...
2025/11/20 11:04
鳳凰登陸點有變數?各國穿心路徑新預測曝
鳳凰颱風持續逼近,到底會從何處登陸是觀察重點。氣象專...
2025/11/12 08:35
鳳凰直撲高屏!5地進危險半圓風雨最劇
鳳凰颱風持續逼近台灣,不過中央氣象署已於今(11)日...
2025/11/11 19:43
最強冷空氣下週襲變天!這天創入秋最低溫
中央氣象署今(11)日持續發布颱風「鳳凰」海上、陸上...
2025/11/11 09:39
鳳凰路徑閃過中央山脈 網哀:天佑台灣
鳳凰颱風今(10)日8時的中心位置在北緯17.0度,...
2025/11/10 12:27
鳳凰最新路徑曝 日氣象廳估這時登陸台灣
鳳凰颱風今(10)日8時的中心位置在北緯17.0度,...
2025/11/10 10:59
鳳凰共伴這2天最劇 最強風雨未必在登陸地
「鳳凰」颱風維持中度颱風上限強度,目前已通過呂宋島,...
2025/11/10 07:32
北東雨開炸!鳳凰1原因「登陸位置難測」
據中央氣象署今(10)日凌晨2時觀測,鳳凰颱風中心位...
2025/11/10 05:34
鳳凰會有颱風假?專家估「13縣市」機率大
據中央氣象署今(10)日凌晨2時觀測,鳳凰颱風中心位...
2025/11/10 05:13
鳳凰北轉襲台會多可怕?鄭明典點出1關鍵
鳳凰颱風威力不可小覷!目前颱風正在菲律賓,遇到呂宋島...
2025/11/09 22:47
鳳凰颱風「大甩尾」!延後12小時穿越台灣
鳳凰颱風結構紮實,颱風眼清晰可見,氣象署預估 9日至...
2025/11/09 13:51
鳳凰颱風登陸台灣機率高!強風豪雨時程曝
鳳凰颱風在過去六小時內持續快速移動,強度也增強至中度...
2025/11/09 12:34
鳳凰路徑「百年罕見」!氣象署:像丹娜絲
鳳凰颱風「不但長得壯、走得快、還走少見路線」!氣象署...
2025/11/09 12:14
穿心颱鳳凰登陸點北修!全台搖滾風雨時程
第26號颱風「鳳凰」颱風預計今(9)日將達強烈颱風,...
2025/11/09 09:19
勇敢鳳凰決定硬幹!專家:有機會死在台灣
第26號颱風「鳳凰」颱風升格成中度颱風,預計今(9)...
2025/11/09 08:02
鳳凰共伴效應2天影響最劇!致災雨炸2地區
中央氣象署指出,今年第26號颱風「鳳凰」預計今(9)...
2025/11/09 07:18
鳳凰將登陸 下週停班課?北市府回應了
中颱鳳凰持續增強,且路徑逼近台灣,根據中央氣象署最新...
2025/11/08 19:37
鳳凰颱風恐變「風王」?巔峰強度曝光
鳳凰(Fung-wong)颱風路徑逼近台灣,威力持續...
2025/11/08 18:59
鳳凰開眼了!最新路徑曝:又肥又厚
鳳凰開眼了!鳳凰颱風來勢洶洶,目前已升格為中度颱風,...
2025/11/08 17:09
放颱風假?氣象粉專列7重點示警:皮繃緊
根據中央氣象署今(8)日凌晨2時最新觀測,鳳凰颱風持...
2025/11/08 09:42
最新圖輯
更多
初孟軒、鍾岳軒專訪
龍千玉與翁立友領豪記唱片群星拜年
Rain鄭智薰小巨蛋演唱會
金在中演唱會
羅志祥30周年演唱會
凱琳專訪
黃鐙輝、吳念軒、黃騰浩專訪
第62屆金馬獎得獎後台
第62屆金馬獎紅毯
劉書宏專訪
今日頭條
1
法鼓山除夕撞鐘 鄭麗文握紅繩抖動網熱議
2
持續對台軍售?川普再發聲:很快會做決定
3
桃園無業男遺棄6月兒 警除夕夜逮到狠父
4
小姑連2年包2100元 背後竟藏超暖心祝福
5
央視春晚驚見中國台灣新北 台灣國旗遭刪
6
新/媽祖駐駕保庇!苗栗彩券行連開大獎
7
ICU護理師揭「死亡預知」 臨終前都說1句
8
辛柏毅失聯逾40天 愛妻淚喊1句惹哭萬人
9
美議員避答協防台 他:想選總統就認真回
10
初一釀1死1傷慘劇!里長揭死者一家庭狀況
HOT焦點
更多
拜拜,其實很有台灣式幽默!
春節最佳去處!桃園龍德宮成網美打卡點
以高回饋機制協助家庭資金更有效率運用
頻道推薦
直播✦活動
三立新聞網
為了提供更好的閱讀內容,我們使用相關網站技術來改善使用者體驗,也尊重用戶的隱私權,特別提出聲明。
了解最新隱私權聲明
知道了