APP下載
活動
爆料
圖輯
AI爆報
追蹤新聞
3
台灣彩券開獎直播中
三立iNEWS新聞台線上直播
LIVE三立+24小時直播
即時
美以突襲伊朗
對等關稅違憲
新聞
熱門
政治
社會
娛樂
生活
新奇
健康
國際
兩岸
運動
財經
房產
旅遊
科技
汽車
遊戲
ESG
影音
總覽
政論
節目
熱搜
直播
iNEWS
專題
總覽
特企
專頁
大事件
彩券
專欄
民調
快訊
伊朗護衛艦遭擊沉 美司令部喊:棄船投降
23:50
伊朗稱飛彈擊中林肯號!美軍打臉:沒射中
23:35
美伊開戰首傳噩耗!3名美軍殉職、5人重傷
23:34
噁男騙2少女裸聊再偷照 結局曝光
23:29
伊朗報復升級!阿曼首「破防」港口慘遭炸
23:04
伊朗4枚飛彈強襲林肯號:陸海將成美墳場
22:42
球迷注意! WBC會場嚴禁拍照、攝影上傳
22:42
費爾柴爾德亮台灣國旗!網嗨:打回美國
22:35
曾馨瑩談家教:比起成績,我更在意這3事
22:27
新/快對獎!明連同1億頭獎繼續加碼
22:06
荷姆茲海峽傳停擺!196艘油輪受困波斯灣
22:06
不敵王楚欽 林昀儒WTT新加坡大滿貫亞軍
22:06
台八女星差點到杜拜!「倖存心聲」曝光
22:04
梁文傑掃街拋金句:選議員「像挑另一半」
22:04
川普斬首哈米尼!外媒:習近平恐睡不安穩
22:00
日圓換算除以 5?內行人揭神算法:超直覺
21:45
中東開打!FIBA 2027世界盃男籃CD組延期
21:24
美伊開打 台股恐震盪考驗!最慘跌900點
21:24
台女滯杜拜!見旅平險1條款崩潰:1毛不賠
21:21
張奕跟前隊友敘舊 30人到齊直呼層次不同
21:14
台灣彩券開獎直播中
20:31
台彩春節加碼12億元創新高
12:00
大樂透加碼480組100萬元
12:00
大樂透加碼800組10萬元
12:00
賓果賓果鬧元宵 大樂透、今彩539續加碼
12:00
開工打造好運勢 小人退散能量水晶迎貴人
12:00
祥獅獻瑞迎開工!愛妮雅集團新年藍圖首曝
17:00
瘦身急救章 一秒塑身穿上小號緊身洋裝
11:00
初九天公生 松山奉天宮備平安麵共享
16:00
捷運七張站走路2分鐘 友座明明德機能到位
15:00
開學換機酷澎火箭速配隔日到貨
10:00
企業暖心故事 一份工作撐起整個家
13:00
Xtars人氣直播主大揭密 鏡頭下的甘苦
13:00
土城永福岩清水祖師廟擲筊大賽 頭獎百萬
12:00
初一金山財神廟湧人潮 聯名蛋捲禮盒喜氣
11:00
首頁
關鍵字
銀杏颱風
銀杏颱風
準桔梗颱風最快明生成!路徑、對台影響曝
週末東北季風隨北方高壓東移而減弱,而南來的水氣雲層也...
2024/11/09 10:43
一圖看3熱帶擾動 專家:恐再生成1到2颱
今年第22颱風銀杏在11月生成,今(8)日8時的中心...
2024/11/08 10:23
銀杏外圍挾東北季風發威 降雨熱區一次看
中央氣象署表示,受到颱風外圍雲系及東北季風影響,今(...
2024/11/08 06:44
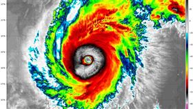
銀杏達巔峰狀態接近強颱!渾圓、紮實圖曝
銀杏颱風目前已達巔峰狀態,接近強颱等級,即將登陸呂宋...
2024/11/07 14:23
颱風水氣今晚開炸 下波東北季風到時間曝
東北季風持續影響台灣,加上今(7)晚至明天銀杏颱風外...
2024/11/07 10:59
銀杏颱風接近北東炸雨 一圖看雨區
今(6)、明兩日受東北季風影響,北部、東北部偏涼,今...
2024/11/06 10:54
颱風水氣轟3日下到紫爆 明晚低溫探17度
東北季風增強,明(6)天開始到週五清晨普遍各地低溫2...
2024/11/05 17:50
入秋最冷! 銀杏侵台「3地區」防雨彈
「銀杏」颱風於今(5)日上午增強為中度颱風,目前位在...
2024/11/05 11:24
銀杏轉中颱!氣象署最新預測路徑出爐
中央氣象署今(5)日表示,今年第22號颱風銀杏已轉為...
2024/11/05 10:16
銀杏西北前進2地有雨 冷空氣襲低溫1字頭
颱風銀杏目前朝西方移動,各國預測路徑顯示,直接威脅台...
2024/11/05 09:51
11月還有颱風假?日氣象廳曝銀杏最新路徑
進入11月份後,銀杏颱風已在4日生成,最快今(5)日...
2024/11/05 09:10
銀杏恐「朝1處移動」!各國預測路徑曝光
銀杏颱風昨(4)日生成,未來不排除增強為中颱,不過路...
2024/11/05 09:05
銀杏颱風1特徵超明顯!鄭明典:還有變數
輕度颱風銀杏昨(4)日凌晨生成,是今年第22號颱風,...
2024/11/05 08:21
北東轉濕涼低溫將探1字頭 銀杏恐生共伴
今(5日)東北季風持續增強,迎風面雲量偏多,桃園以北...
2024/11/05 07:07
銀杏恐轉中颱最新路徑曝光 12縣市防強風
繼康芮颱風之後,銀杏颱風4日生成,未來可能增強為中度...
2024/11/05 06:30
銀杏颱風真的會來嗎?日氣象廳曝最新路徑
康芮颱風前腳剛走,太平洋上又一颱風「銀杏成形」,目前...
2024/11/05 00:57
銀杏颱風關鍵轉折時間曝!北東雨彈炸3天
今年第22號銀杏颱風於今(4)日凌晨2點生成,未來動...
2024/11/04 18:39
銀杏路徑週三是關鍵 今晚起北部變天轉涼
今年第22號颱風「銀杏」在今(4)日凌晨2時生成,受...
2024/11/04 11:47
銀杏後面還一顆!「桔梗」再幾天就有雛型
氣象署今(4)天凌晨發布颱風銀杏生成訊息,未來將朝台...
2024/11/04 10:13
銀杏颱風路徑偏西!最快這天恐發布警報
今年第22號颱風銀杏今(4)日凌晨2時生成,中心位置...
2024/11/04 09:37
今變天!這天低溫探1字頭 銀杏恐變中颱
輕度颱風「銀杏」今(4)日凌晨2時生成,目前位於菲律...
2024/11/04 09:22
銀杏恐影響台 日氣象廳:暴風圈這天觸陸
輕度颱風「銀杏」今(4)日凌晨2時生成,目前中心位置...
2024/11/04 08:53
銀杏颱風高機率路徑曝 這2天最接近台灣
中央氣象署表示,原位於菲律賓東方海面的熱帶性低氣壓已...
2024/11/04 08:12
銀杏恐轉中颱!侵台機率、各國最新路徑曝
今年第22號颱風「銀杏」今(4)日凌晨2時於律賓東方...
2024/11/04 06:41
銀杏生成恐滯留影響台灣!專家2路徑示警
輕颱銀杏今(4)日凌晨生成,根據中央氣象署最新預測,...
2024/11/04 05:04
準銀杏颱風會來嗎?日氣象廳曝最新路徑
本週康芮颱風侵襲台灣,尤其超大風勢造成大台北地區不少...
2024/11/03 23:41
銀杏颱風不襲台機率高 天氣粉專:免恐慌
中央氣象署預估,熱帶性低氣壓TD26最快今(3)晚將...
2024/11/03 17:40
銀杏颱風恐撲台?專家估下週抵台1處打轉
今(3)日受東北季風持續影響,清晨氣溫較涼,各地平地...
2024/11/03 16:43
最新圖輯
更多
初孟軒、鍾岳軒專訪
龍千玉與翁立友領豪記唱片群星拜年
Rain鄭智薰小巨蛋演唱會
金在中演唱會
羅志祥30周年演唱會
凱琳專訪
黃鐙輝、吳念軒、黃騰浩專訪
第62屆金馬獎得獎後台
第62屆金馬獎紅毯
劉書宏專訪
今日頭條
1
美伊開戰首傳噩耗!3名美軍殉職、5人重傷
2
伊朗稱飛彈擊中林肯號!美軍打臉:沒射中
3
荷姆茲海峽傳停擺!196艘油輪受困波斯灣
4
大葉高島屋2櫃姐遭毆打!1男送辦
5
不敵王楚欽 林昀儒WTT新加坡大滿貫亞軍
6
弦子與老公在杜拜!目擊「帆船飯店起火」
7
元宵節全台有雨驟降近10度 雨彈炸到這天
8
梁文傑掃街拋金句:選議員「像挑另一半」
9
周杰倫8歲愛子正面曝!全網暴動根本爸爸
10
王子粿粿婚外情後首合體!現身宮廟團拜
HOT焦點
更多
台灣燈會2燈區先點燈 民眾天燈寫嘉義夢
「賴」財產申報 一票人不信?曝背後故事
台灣祭行前派對「南國趴」熱血開唱
頻道推薦
直播✦活動
三立新聞網
為了提供更好的閱讀內容,我們使用相關網站技術來改善使用者體驗,也尊重用戶的隱私權,特別提出聲明。
了解最新隱私權聲明
知道了