快訊
聽新聞
0:00 0:00

快訊/樺加沙颱風逐漸進逼!明天放假?屏東縣晚間8點公佈

生活中心/洪正達報導

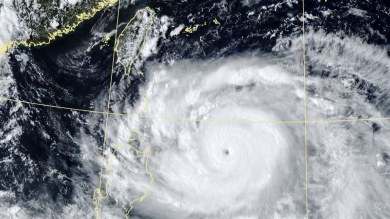
樺加沙颱風逐漸靠近台灣,屏東縣政府將於晚間8點多宣布22日是否停班停課。(圖/氣象署)
樺加沙颱風逐漸靠近台灣,屏東縣政府將於晚間8點多宣布22日是否停班停課。(圖/氣象署)

隨著樺加沙颱風步步進逼,目前雖未發布陸上颱風警報,但屏東縣政府目前正在研議22日是否上班上課,並預計於晚間8點宣布,據中央氣象署指出,樺加沙颱風21日上午升級為強颱,其暴風圈半徑達到300公里,且越接近台灣就「長越胖」,「台灣颱風論壇|天氣特急」粉專就說,樺加沙颱風仍有增強趨勢。

推薦專題

CH54三立新聞台直播
大數據推薦
【#直播中LIVE】驚爆新聞線 20260215
熱銷商品
頻道推薦
直播✦活動
三立新聞網三立新聞網為了提供更好的閱讀內容,我們使用相關網站技術來改善使用者體驗,也尊重用戶的隱私權,特別提出聲明。
了解最新隱私權聲明