生活中心/綜合報導
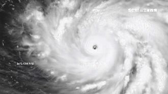
今年第8號颱風「瑪莉亞」今(6)日下午已增強為強烈颱風,未來是否侵台仍待觀察。不過根據中央氣象局「天氣10日報」指出,隨著強颱瑪莉亞逼近,下週二至下週四,即便沒登陸也可能牽引低壓雲系,南部、東南部及東部地區慎防大雨。
氣象局表示,週六(7日)西南風持續減弱,風向轉為偏南風,中南部清晨至上午雖仍有短暫陣雨或雷雨,不過機率降低、雨勢減緩,其他地區以多雲為主,各地出現午後雷陣雨的機率仍高,高溫約31至34度。
下週日、下週一(8日、9日)颱風逐漸接近琉球群島,風場由偏南風轉為偏東風,迎風面東半部有局部短暫陣雨,其他地區大多為多雲到晴,午後有局部短暫雷陣雨。
下週二至下週四(10日至12日)颱風通過琉球群島後逐漸北上,使得南方低壓雲系移進臺灣,南部、東南部及東部地區天氣較不穩定,有局部短暫陣雨或雷雨,其他地區大致為多雲到晴,午後有局部短暫雷陣雨。
13日至15日持續受南方低壓雲系影響,南部、東南部及東部地區水氣仍較多,有局部短暫陣雨或雷雨,其他地區大致是午後有局部短暫雷陣雨的天氣型態。

▲氣象局預測強颱瑪莉亞下週三最接近台灣。(圖/翻攝畫面)